Benvenuto Ospite

Forum Entomologi Italiani

www.entomologiitaliani.net/forum
 
Oggi è 30/11/2025, 23:06

Tutti gli orari sono UTC + 1 ora [ ora legale ]

Planeustomus sp. - Staphylinidae

31.XII.2011 - ITALIA - Emilia-Romagna - BO, Casalecchio di Reno - Tizzano


nuovo argomento
rispondi
Pagina 1 di 1 [ 9 messaggi ]
Autore Messaggio
 Oggetto del messaggio: Planeustomus sp. - Staphylinidae
MessaggioInviato: 02/01/2012, 22:53 
Avatar utente

Iscritto il: 05/02/2009, 17:25
Messaggi: 4894
Località: Zola Predosa (BO)
Nome: Loris Colacurcio
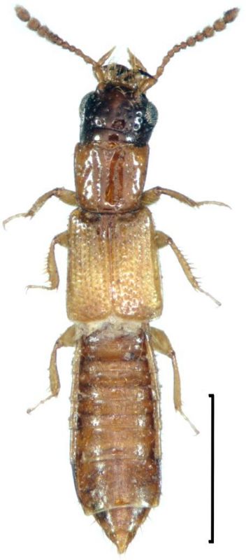
Ecco la bestiola (per me :oops: ) particolarmente "bella".
Nonostante la colorazione, è perfettamente scleritizzato....e la presenza degli occhi, ci racconta di bestiola ancora legata alla "luce" :D

Lunghezza: 2.2 mm. circa

z Stafi 2.2mm Tizzano.JPG



z Stafi2 2.2mm Tizzano.JPG


_________________
Loris


Top
profilo
MessaggioInviato: 03/01/2012, 12:40 
Avatar utente

Iscritto il: 05/02/2009, 17:25
Messaggi: 4894
Località: Zola Predosa (BO)
Nome: Loris Colacurcio
Mi sono divertito nel ricercare un nome papabile per questa bestiola.....beh, secondo me è:

Manda mandibularis (Gyllenhal, 1827), un esemplare più chiaro del normale

...o qualche cosa di molto vicino :oops:

:hi:

_________________
Loris


Top
profilo
MessaggioInviato: 03/01/2012, 18:27 
Avatar utente

Iscritto il: 05/02/2009, 17:47
Messaggi: 7252
Località: Cagliari
Nome: Piero Leo
:) Ciao Loris.
Questa discussione mi interessa parecchio: ho in collezione un esemplare molto simile al tuo, però con gli occhi della metà più piccoli. Credo si possa trattare dello stesso genere, non ho ancora capito quale!?
Manda mandibularis si può escludere: ci somiglia un po', però ha una taglia molto maggiore (intorno ai 6 mm).
Per curiosità, quanti articoli tarsali ha il tuo esemplare?

:) Ciao
Piero


Top
profilo
MessaggioInviato: 03/01/2012, 19:13 
Avatar utente

Iscritto il: 09/11/2009, 14:12
Messaggi: 5158
Località: Hradec Kralove,Czech republik
Nome: Jan Matějíček
non è Manda

molto simile genere Planeustomus
Penso che in questa dimensione Planeustomus palpalis (Erichson, 1839)


Manda mandibularis (Gyllenhal, 1827)
Manda mandibularis (Gyllenhal, 1827).jpg

Planeustomus kahri Kraatz, 1857
Planeustomus kahri Kraatz, 1857.jpg


_________________
Research Fields
Taxonomy, ecology, biomonitoring , faunistic of Staphylinidae
Top
profilo
MessaggioInviato: 03/01/2012, 21:21 
Avatar utente

Iscritto il: 05/02/2009, 17:25
Messaggi: 4894
Località: Zola Predosa (BO)
Nome: Loris Colacurcio
Ok, non è certo del genere Manda, le dimensioni proprio non le avevo fumate (ma anche il pronoto è completamente diverso).

Devo però ammettere che anche con il genere Planeustomus, almeno con il P. palpalis, vedo troppe differenze: il capo, gli occhi e soprattutto il pronoto.
Il mio esemplare ha il pronoto e la testa quasi lisci e privi di punti; le elitre sono molto più corte....insomma rimango ancora con molti dubbi. :?

Sarei curioso, se possibile e con tutta la calma di questo mondo, vedere anche l'esemplare di Leo...intanto provo a guardarmi ancora in giro, poi vedremo :ok:

:hi:

_________________
Loris


Top
profilo
MessaggioInviato: 03/01/2012, 22:12 
Avatar utente

Iscritto il: 09/11/2009, 14:12
Messaggi: 5158
Località: Hradec Kralove,Czech republik
Nome: Jan Matějíček
Ho in collezione Planeustomus palpalis (Erichson, 1839) ben poco per me sulla foto. :oops:


Planeustomu Manda.JPG


_________________
Research Fields
Taxonomy, ecology, biomonitoring , faunistic of Staphylinidae


Ultima modifica di Honza il 03/01/2012, 22:54, modificato 1 volta in totale.
Top
profilo
MessaggioInviato: 03/01/2012, 22:34 
Avatar utente

Iscritto il: 30/12/2009, 22:20
Messaggi: 31564
Località: Roma
Nome: Maurizio Gigli
Loriscola ha scritto:

Il mio esemplare ha il pronoto e la testa quasi lisci e privi di punti; le elitre sono molto più corte....insomma rimango ancora con molti dubbi. :?

Non per contraddirti, ma anche sul tuo si vedono parecchi punti sulla testa, ed alcuni sul pronoto. Nelle foto di Jan forse è stata fatta una maschera di contrasto un po' forte, e i punti sembrano più marcati.
In quanto alle elitre, non era già capitato con qualche altra specie di Staphylinidae che fossero più o meno lunghe da un esemplare all'altro?

Poi, se fosse una bestia nuova non mi meraviglierebbe affatto. Chissà quante specie ancora non descritte esistono tra gli Staphylinidae!

_________________
Maurizio Gigli
http://utenti.romascuola.net/bups
http://bup.xoom.it/


Top
profilo
MessaggioInviato: 04/01/2012, 17:14 
Avatar utente

Iscritto il: 05/02/2009, 17:25
Messaggi: 4894
Località: Zola Predosa (BO)
Nome: Loris Colacurcio
Tranquillo, potete contraddirmi come e quando più vi aggrada :ok: , in fin dei conti siamo qui proprio per confrontarci ... :birra:

Comunque la punteggiatura del mio è veramente scarsa e molto superficiale, mentre nell'esemplare di Jan vedo grossi punti più impressi e profondi. Inoltre i solchi evidenti sul pronoto, qui proprio non ci sono...la colorazione ed il contrasto possono avermi confuso :? , ma la "larghezza" di punti mi appare difforme.

Sulle elitre hai perfettamente ragione; un inghippo simile era capitato con il Boreaphilus velox, che avevo raccolto sia macro- che brachittero.....ed ovviamente mi sembravano specie distinte.

:hi:

_________________
Loris


Top
profilo
MessaggioInviato: 10/01/2012, 11:12 
Avatar utente

Iscritto il: 05/02/2009, 17:25
Messaggi: 4894
Località: Zola Predosa (BO)
Nome: Loris Colacurcio
Ho voluto tediare ancora una volta Adriano Zanetti (ringrazio sempre per la sua disponibilità) per avere un suo parere professionale ....e devo dire, bravo Jan ci avevi preso in pieno ! E' proprio un Planeustomus sp.

Per la specie, il discorso è più complicato e come dice Zanetti "Purtroppo questo genere ha bisogno di una revisione, ma per quel che ne so nessuno se ne sta occupando al momento. Sono animaletti rari e solo uno studio dei genitali sarebbe decisivo. Quindi, per ora, posso solo dirti Planeustomus sp."

Almeno possiamo mettere il genere, che non è poco, con queste bestiole :ok:

:hi:

_________________
Loris


Top
profilo
Visualizza ultimi messaggi:  Ordina per  
nuovo argomento
rispondi
Pagina 1 di 1 [ 9 messaggi ]

Tutti gli orari sono UTC + 1 ora [ ora legale ]


Chi c’è in linea

Visitano il forum: Nessuno e 0 ospiti


Non puoi aprire nuovi argomenti
Non puoi rispondere negli argomenti
Non puoi modificare i tuoi messaggi
Non puoi cancellare i tuoi messaggi
Non puoi inviare allegati

Cerca per:
Vai a: