Benvenuto Ospite

Forum Entomologi Italiani

www.entomologiitaliani.net/forum
 
Oggi è 23/11/2025, 11:45

Tutti gli orari sono UTC + 1 ora [ ora legale ]

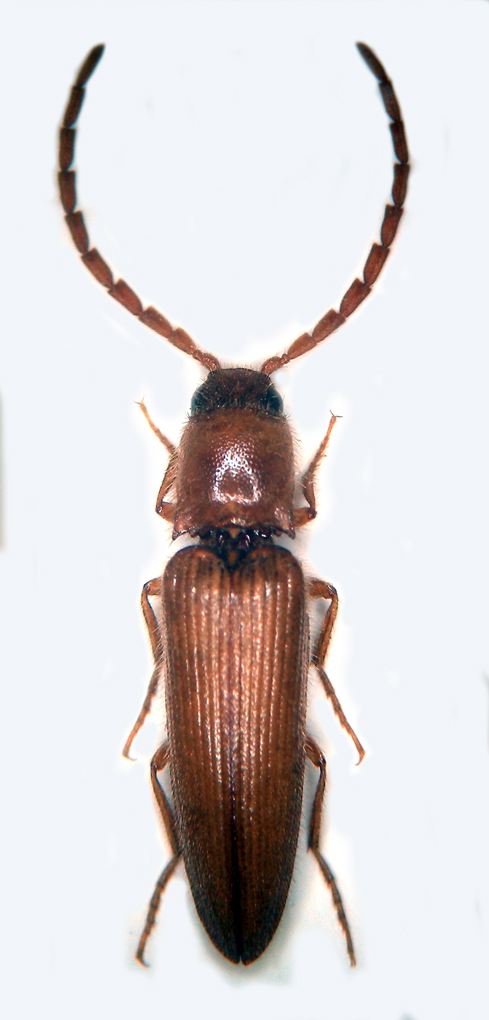
Isidus moreli Mulsant & Rey, 1874 - Elateridae

5.IV.2010 - ITALIA - Toscana - GR, Spiaggia Marina di Alberese Legit:Bastianini M.


nuovo argomento
rispondi
Pagina 1 di 1 [ 12 messaggi ]
Autore Messaggio
MessaggioInviato: 17/01/2012, 21:24 
Avatar utente

Iscritto il: 10/05/2010, 22:31
Messaggi: 4371
Località: Gavorrano (GR)
Nome: marco bastianini
Questo elegante elateride l'ho raccolto mentre sollevavo tronchi spiaggiati.Dimensioni mm.9,3
Elateride giallo 001 copia.jpg


_________________
:to: Marco
"Le foreste a precedere le civiltà, i deserti a seguire."
François-René de Chateaubriand


Top
profilo
 Oggetto del messaggio: Re: Elateridae Toscana
MessaggioInviato: 17/01/2012, 22:03 
Avatar utente

Iscritto il: 05/02/2009, 17:44
Messaggi: 2683
Località: Garbagnate Milanese
Nome: Augusto Franzini
Mi sa proprio :oops: che è uno che mi manca...salvo errori, in base alla forma tutta peculiare delle antenne Neotrichophorus guillebeaui (Muls. e Godart 18533). Ovviamente Anostirus NON confermerà :no1: :no1: :no1: :no1: :no1: :no1: Se è lui, credo sia una cattura parecchio interessante.

_________________
Augusto (aug)
Prediction is very difficult, especially about the future (Niels Bohr, fisico)


Top
profilo
 Oggetto del messaggio: Re: Elateridae Toscana
MessaggioInviato: 17/01/2012, 22:07 
Avatar utente

Iscritto il: 10/05/2010, 22:31
Messaggi: 4371
Località: Gavorrano (GR)
Nome: marco bastianini
Grazie Augusto
spero che Anostirus confermi tutto quello che hai detto, compreso il fatto che sia una cattura parecchio interessante :hp:

_________________
:to: Marco
"Le foreste a precedere le civiltà, i deserti a seguire."
François-René de Chateaubriand


Top
profilo
 Oggetto del messaggio: Re: Elateridae Toscana
MessaggioInviato: 17/01/2012, 22:55 
Avatar utente

Iscritto il: 10/05/2010, 22:31
Messaggi: 4371
Località: Gavorrano (GR)
Nome: marco bastianini
...uhmmm, caro Augusto mi sorgono dei dubbi;rovistando in rete, ma anche nel forun stesso, ci sono delle immagini della specie da te indicata (che adesso si chiama Mulsanteus guillebelli) che mi appaiono diverse dal mio esemplare.Le antenne sono si simili, ma il pronoto è decisamente diverso.Una cosa che sono sicurissimo che Anostirus non potrà mai confermare è la data di pubblicazione della specie da te indicata
aug ha scritto:
(Muls. e Godart 18533)
:mrgreen: :mrgreen: .Spero mi perdonerai, ma è solo per riderci un pò su :lov2: :lov2:

_________________
:to: Marco
"Le foreste a precedere le civiltà, i deserti a seguire."
François-René de Chateaubriand


Top
profilo
 Oggetto del messaggio: Re: Elateridae Toscana
MessaggioInviato: 17/01/2012, 23:24 
Avatar utente

Iscritto il: 05/02/2009, 17:44
Messaggi: 2683
Località: Garbagnate Milanese
Nome: Augusto Franzini
Ovviamente 1853 :lol1: In effetti in base alla Fauna d'Italia, il Neotrichophorus ha il II ed il II articolo piccolissimi, e qui non sembra il caso. Forse le :no1: sono giustificate.

_________________
Augusto (aug)
Prediction is very difficult, especially about the future (Niels Bohr, fisico)


Top
profilo
 Oggetto del messaggio: Re: Elateridae Toscana
MessaggioInviato: 18/01/2012, 1:04 
Avatar utente

Iscritto il: 18/02/2009, 0:24
Messaggi: 3909
Località: Asciano (Siena)
Nome: Andrea Petrioli
Come diceva Marco, dovrebbe essere uguale a questo :oops: :)

........quindi Mulsanteus guillebelli (Mulsant & Godart, 1853) :D

_________________
:hi:
______
Andrea


Top
profilo
 Oggetto del messaggio: Re: Elateridae Toscana
MessaggioInviato: 18/01/2012, 1:26 
Avatar utente

Iscritto il: 05/02/2009, 17:28
Messaggi: 3226
Nome: Marco Uliana
Io proporrei invece Isidus moreli, un tipico abitante dei litorali sabbiosi... immagino che il colore scuro di antenne e apice elitrale siano un artefatto.
Questa specie è decisamente difficile da incontrare durante il giorno, mentre può accorrere a decine alla lampada. Solo i maschi, però. Le femmine sono quasi introvabili, io ne ho una fortunatamente allevata da pupa.
Le larve si osservano con grande facilità e talvolta in numero sotto tronchi spiaggiati, dentro i tronchi morti (predano le larve di Mesites), anche sotto i cespugli di Ammophila.

... spero che l'esperto (Platia) sia d'accordo.


Top
profilo
 Oggetto del messaggio: Re: Elateridae Toscana
MessaggioInviato: 18/01/2012, 1:35 
Avatar utente

Iscritto il: 18/02/2009, 0:24
Messaggi: 3909
Località: Asciano (Siena)
Nome: Andrea Petrioli
Anillus ha scritto:
Come diceva Marco, dovrebbe essere uguale a questo :oops: :)

........quindi Mulsanteus guillebelli (Mulsant & Godart, 1853) :D



:oooner: :oops: :oooner: ...in realtà Marco (Bastianini) diceva esattamente il contrario, cioè che non era Mulsanteus guillebelli (Mulsant & Godart, 1853)....... 8-)

_________________
:hi:
______
Andrea


Top
profilo
 Oggetto del messaggio: Re: Elateridae Toscana
MessaggioInviato: 18/01/2012, 7:44 
Avatar utente

Iscritto il: 10/05/2010, 22:31
Messaggi: 4371
Località: Gavorrano (GR)
Nome: marco bastianini
Glaphyrus ha scritto:
mmagino che il colore scuro di antenne e apice elitrale siano un artefatto.

Si Marco, il colore scuro è dovuto ai miei scarsi mezzi fotografici;la bestiola è di un colore gialo chiaro uniforme.Aspettiamo Giuseppe, ma a questo punto tutto mi sembra convergere verso la specie da te indicata.

_________________
:to: Marco
"Le foreste a precedere le civiltà, i deserti a seguire."
François-René de Chateaubriand


Top
profilo
 Oggetto del messaggio: Re: Elateridae Toscana
MessaggioInviato: 18/01/2012, 14:07 
Avatar utente

Iscritto il: 05/02/2009, 17:44
Messaggi: 2683
Località: Garbagnate Milanese
Nome: Augusto Franzini
Credo proprio :oops: che abbia ragione Glaphyrus...a questo punto me le sono meritate. :no1: :no1: :no1: :no1: :no1:

_________________
Augusto (aug)
Prediction is very difficult, especially about the future (Niels Bohr, fisico)


Top
profilo
 Oggetto del messaggio: Re: Elateridae Toscana
MessaggioInviato: 19/01/2012, 21:43 
Avatar utente

Iscritto il: 24/09/2009, 20:40
Messaggi: 1951
Nome: Giuseppe Platia
:D :D Proprio un bel maschio di Isidus moreli, tipica specie dei litorali.


:hi: :hi:


Top
profilo
MessaggioInviato: 19/01/2012, 22:45 
Avatar utente

Iscritto il: 10/05/2010, 22:31
Messaggi: 4371
Località: Gavorrano (GR)
Nome: marco bastianini
Grazie Giuseppe :ok:

_________________
:to: Marco
"Le foreste a precedere le civiltà, i deserti a seguire."
François-René de Chateaubriand


Top
profilo
Visualizza ultimi messaggi:  Ordina per  
nuovo argomento
rispondi
Pagina 1 di 1 [ 12 messaggi ]

Tutti gli orari sono UTC + 1 ora [ ora legale ]


Chi c’è in linea

Visitano il forum: Nessuno e 1 ospite


Non puoi aprire nuovi argomenti
Non puoi rispondere negli argomenti
Non puoi modificare i tuoi messaggi
Non puoi cancellare i tuoi messaggi
Non puoi inviare allegati

Cerca per:
Vai a: