Benvenuto Ospite

Forum Entomologi Italiani

www.entomologiitaliani.net/forum
 
Oggi è 29/04/2026, 14:28

Tutti gli orari sono UTC + 1 ora [ ora legale ]

Piezodorus lituratus (Fabricius, 1794)



nuovo argomento
rispondi
Pagina 1 di 1 [ 5 messaggi ]
Autore Messaggio
MessaggioInviato: 15/11/2009, 14:47 
Avatar utente

Iscritto il: 06/02/2009, 9:03
Messaggi: 6381
Località: Bubano di Mordano (Bologna)
Nome: Augusto Degiovanni
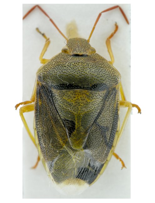
Da determinare Grazie ;)

Sicilia: (PA) Piana Albanesi, 18.III.2008

12mm

Cimice 1.JPG



Cimice 1 2.JPG


_________________
CIAO :hi: Augusto Degiovanni

http://anthicidaeecarabidae.altervista.org


Top
profilo
 Oggetto del messaggio: Re: Cimice 2
MessaggioInviato: 15/11/2009, 15:20 
Avatar utente

Iscritto il: 20/07/2009, 16:32
Messaggi: 5813
Località: Sassari (SS)
Nome: Mauro Doneddu
Famiglia Pentatomidae.
Come specie potrebbe essere Piezodorus lituratus (Fabricius, 1794), ma meglio aspettare conferma da qualcuno più esperto.

_________________
:hi:
Mauro


Top
profilo
 Oggetto del messaggio: Re: Cimice 2
MessaggioInviato: 15/11/2009, 15:30 
Avatar utente

Iscritto il: 06/02/2009, 9:03
Messaggi: 6381
Località: Bubano di Mordano (Bologna)
Nome: Augusto Degiovanni
Anche quì sono andato a cercare e gli somiglia molto :ok: grazie

_________________
CIAO :hi: Augusto Degiovanni

http://anthicidaeecarabidae.altervista.org


Top
profilo
 Oggetto del messaggio: Re: Cimice 2
MessaggioInviato: 18/11/2009, 20:54 
Avatar utente

Iscritto il: 05/02/2009, 17:36
Messaggi: 780
Nome: Attilio Carapezza
Si tratta proprio di Piezodorus lituratus (Fabricius, 1794), uno dei più comuni Pentatomidi italiani; questa è la forma integralmente verde (alliacea), meno frequente della forma tipica, in cui le emielitre hanno una colorazione rosa-rosso più o meno intenso.


Top
profilo
MessaggioInviato: 19/11/2009, 16:26 
Avatar utente

Iscritto il: 06/02/2009, 9:03
Messaggi: 6381
Località: Bubano di Mordano (Bologna)
Nome: Augusto Degiovanni
Grazie per la confrema Attilio :ok:

_________________
CIAO :hi: Augusto Degiovanni

http://anthicidaeecarabidae.altervista.org


Top
profilo
Visualizza ultimi messaggi:  Ordina per  
nuovo argomento
rispondi
Pagina 1 di 1 [ 5 messaggi ]

Tutti gli orari sono UTC + 1 ora [ ora legale ]


Chi c’è in linea

Visitano il forum: Nessuno e 2 ospiti


Non puoi aprire nuovi argomenti
Non puoi rispondere negli argomenti
Non puoi modificare i tuoi messaggi
Non puoi cancellare i tuoi messaggi
Non puoi inviare allegati

Cerca per:
Vai a: