Benvenuto Ospite

Forum Entomologi Italiani

www.entomologiitaliani.net/forum
 
Oggi è 28/04/2026, 18:10

Tutti gli orari sono UTC + 1 ora [ ora legale ]

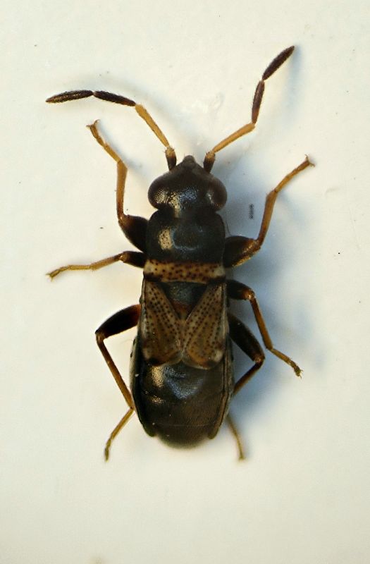
Ischnocoris hemipterus (Schilling, 1829)

IV.2009 - ITALIA - Emilia-Romagna - BO, Sasso Marconi - Palazzo Rossi - Sfalcio


nuovo argomento
rispondi
Vai alla pagina 1, 2  Prossimo
Pagina 1 di 2 [ 19 messaggi ]
Autore Messaggio
MessaggioInviato: 21/11/2009, 0:26 
Avatar utente

Iscritto il: 05/02/2009, 17:25
Messaggi: 4894
Località: Zola Predosa (BO)
Nome: Loris Colacurcio
..è da un pezzo che volevo postarlo, poi come al solito mi dimentico :lol:

Sasso Marconi (BO) - Palazzo Rossi aprile 2009
a sfalcio

Heterottero sfalcio 04.jpg


_________________
Loris


Top
profilo
 Oggetto del messaggio: Re: Lygeide ?
MessaggioInviato: 21/11/2009, 0:52 
Avatar utente

Iscritto il: 06/02/2009, 8:59
Messaggi: 305
Località: Sassari
Nome: Laura Loru
Caro Loris, vabè che sono in debito con te di due ore (solo tu mi puoi capire :lol1: ) ma metterti a postare eterotteri "dimenticati" proprio oggi e a quest'ora della notte proprio quando stavo per spegnere tutto mi sembra un pò troppo :lol1:
Ho visto anche gli altri post, purtroppo non li riconosco :x al volo (non sono mica brava come Dilar con i neurotteri :lol1: ), se solo avessi i libri sui ligeidi fra le mani (proprio stasera me li stavo portando a casa e invece ho dimenticato lo zaino al lavoro :x ) pagherei il mio debito almeno con questo post :lol1:
Questo è di certo un Lygaeidae, assomiglia a quello che ho postato qui viewtopic.php?f=93&t=3495 ma non è lui!
Se nel frattempo non lo determina eremicus, ci provo io......
Laura

P.S. fai attenzione, gira per il forum un certo Dilar :devil: , ormai diventato mio compagno di stanza, che bacchetta chi fà errori (io sono la sua vittima preferita!) si scrive Lygaeidae non Lygeide!

Davide che fai dormi :lol1:?


Top
profilo
 Oggetto del messaggio: Re: Lygeide ?
MessaggioInviato: 21/11/2009, 1:12 
Avatar utente

Iscritto il: 05/02/2009, 17:25
Messaggi: 4894
Località: Zola Predosa (BO)
Nome: Loris Colacurcio
...e pensare che mi sono fermato, perché temevo di esagerare con tutte queste cimici !!

Direi che la tua teoria sia più che verosimile....io vado oltre e mi butto su Ischnocoris hemipterus (Schilling, 1829). Girovagando sulla rete, sembrerebbe proprio lui :oops:

Sulle questioni nomenclatoriali che posso dire ?? oltre ad :oops: accetto supinamente ogni bacchettata....

buona notte a tutti ! :hi:
Loris

_________________
Loris


Top
profilo
 Oggetto del messaggio: Re: Lygeide ?
MessaggioInviato: 21/11/2009, 10:51 
Avatar utente

Iscritto il: 05/02/2009, 17:36
Messaggi: 780
Nome: Attilio Carapezza
Non voglio togliere a Laura il piacere di arrivarci lei; posso solo dirle che ci è andata molto vicino.


Top
profilo
 Oggetto del messaggio: Re: Lygeide ?
MessaggioInviato: 21/11/2009, 21:12 
Avatar utente

Iscritto il: 06/02/2009, 8:59
Messaggi: 305
Località: Sassari
Nome: Laura Loru
Loriscola ha scritto:
Direi che la tua teoria sia più che verosimile....io vado oltre e mi butto su Ischnocoris hemipterus (Schilling, 1829). Girovagando sulla rete, sembrerebbe proprio lui :oops:
Loris


Bravissimo Loris! Concordo con te! Stamattina sono passata al CNR e ho recuperato la mia bibbia sui ligeidi :lol1:
Non sò perchè ma non riesco a fare come effettivamente e giustamente fanno tutti! Mi spiego, seppure ieri avessi intuito che il genere potesse essere giusto, non sono andata a cercare sul web qualcosa che gli assomigliasse, perchè sono molto "legata" al libro! Rileggendo la mia spiegazione non sono sicura di essermi fatta capire :?
Loriscola ha scritto:
...e pensare che mi sono fermato, perché temevo di esagerare con tutte queste cimici !!
Sulle questioni nomenclatoriali che posso dire ?? oltre ad :oops: accetto supinamente ogni bacchettata....
Loris


Non ti fermare mai, non esageri mai con le cimici, ho ancora tantissima strada da fare e tu con i tuoi post mi aiuti ad imparare :ok:
La mia non era una baccettata :no: credo pienamente negli errori di digitazione :!: :lol1:

eremicus ha scritto:
Non voglio togliere a Laura il piacere di arrivarci lei; posso solo dirle che ci è andata molto vicino.


E obiouvsly grazie ad Attilio per avermi aspettato :ok:

Laura


Top
profilo
 Oggetto del messaggio: Re: Lygeide ?
MessaggioInviato: 21/11/2009, 21:20 
Avatar utente

Iscritto il: 06/02/2009, 9:07
Messaggi: 1706
Località: W-Mediterraneo
Nome: Davide Badano
Non dormo mai io!!! Sei sempre sotto osservazione :shock:

:mrgreen:


Top
profilo
 Oggetto del messaggio: Re: Lygeide ?
MessaggioInviato: 21/11/2009, 21:48 
Avatar utente

Iscritto il: 06/02/2009, 8:59
Messaggi: 305
Località: Sassari
Nome: Laura Loru
Maledizione :x
Ma neanche un pò di galanteria per l'unica (o una delle poche) donna che bazzicca sul forum!!!
Comunque ti perdono e mi raccomando, se lunedì a lavoro ti serve qualcosa, puoi sempre contare su di me come del resto stai già facendo! Sono a tua disposizione, specialmente quando mi richiederai i volumi degli atti dei Convegni sui Neurotteri che io posseggo e tu no :lol1: e pensare che stavo pure pensando di regalarteli :lol1: sarà per la prossima vita :lol1: :lol1: :lol1: :lol1: :lol1: :lol1: :lol1: :lol1: :lol1: :lol1:
LAURA

P.S. dato che stasera mi trovi in forma spiffero a tutti che tu ti chiami Dilar ma non hai mai preso un Dilaridae :lol1: , mentre io si :lol1: l'ho consegnato ad Hemerobius e ti dirò di più, io la Ranatra l'ho presa! Ah come mi diverto :lol1:


Top
profilo
 Oggetto del messaggio: Re: Lygeide ?
MessaggioInviato: 21/11/2009, 23:09 
Avatar utente

Iscritto il: 06/02/2009, 9:07
Messaggi: 1706
Località: W-Mediterraneo
Nome: Davide Badano
Ah è così :devil:

Vorrà dire che verrò al tuo esame di inglese e mi mettero a urlare: "she has mistaken, she has mistaken!"

:x :P :twisted:





[ :gh: ]


Top
profilo
MessaggioInviato: 22/11/2009, 9:56 
Avatar utente

Iscritto il: 05/02/2009, 17:36
Messaggi: 780
Nome: Attilio Carapezza
Caro Dilar,
se proprio ci vuoi andare faresti meglio a dire "She is mistaken!"

(Scusate l'intromissione in una contesa tutta sarda)


Top
profilo
MessaggioInviato: 22/11/2009, 10:11 
Avatar utente

Iscritto il: 06/02/2009, 9:07
Messaggi: 1706
Località: W-Mediterraneo
Nome: Davide Badano
Infatti c'era qualcosa che mi suonava male! :no1: :no1:

Questa è la cara Ranatra che fa i riti voodoo per farmi sbagliare :x . Ora chi la sente più!


Top
profilo
MessaggioInviato: 22/11/2009, 17:17 
Avatar utente

Iscritto il: 06/02/2009, 8:59
Messaggi: 305
Località: Sassari
Nome: Laura Loru
eremicus ha scritto:
Caro Dilar,
se proprio ci vuoi andare faresti meglio a dire "She is mistaken!"

Attilio sei un grande! Il tuo intervento mi rende giustizia per tutte quelle volte che Dilar mi ha bacchetteta :hp:
Dilar ha scritto:
Ora chi la sente più!

Sarei tentata a prenderti in giro per almeno una settimana :lol: e invece, non solo non lo farò, ma ti dimostro di essere una signora! Domani (lo dico pubblicamente!) consegnerò nelle tue mani i volumi degli atti dei simposi sui neurotteri che posseggo, tre in tutto, escluso quello al quale ho partecipato che poi mi sà che è l'unico che hai già!
Hai capito bene TE LI REGALO :ok:
Del resto io ormai la mia scelta l'ho fatta :lov3: ETEROTTERI :lov3:
Un ultima curiosità per gli amici del forum, sapete che Davide all'inizio del suo percorso aveva preso in considerazione gli eterotteri quale gruppo su cui specializzarsi, mentre io (sotto la guida di Hemerobius da ormai oltre 10 anni) mi sono occupata e lo faccio ancora di neurotteri (ma non dal punto di vista sistematico)!!
P.S. visto che ho deciso di fare pace con Davide :) non vi spiffero il motivo per cui ha "lasciato perdere" gli eterotteri :no: anche se la tentazione è grande :P

CIAO A TUTTI
Laura


Top
profilo
MessaggioInviato: 22/11/2009, 17:37 
Avatar utente

Iscritto il: 06/02/2009, 9:07
Messaggi: 1706
Località: W-Mediterraneo
Nome: Davide Badano
:lov1: :birra:

Vabbene pace! Ognuno di noi ha comesso un lapsus e siamo pari (il mio è proprio grave però :oops: ).

Ti ricompenserò con il Lygaeidae che ho preso oggi tra le dune.

Il motivo per cui ho abbandonato gli eterotteri è chiaro e non è un mistero: i neurotteri son più belli!!! :mrgreen:

P.S. Capito Daniele (sì mi riferisco a te) abbiamo fatto pace! (che poi era tutto un gioco mica un litigio reale).

:hi:


Top
profilo
MessaggioInviato: 22/11/2009, 17:50 
Avatar utente

Iscritto il: 06/02/2009, 8:59
Messaggi: 305
Località: Sassari
Nome: Laura Loru
Dilar ha scritto:
Ti ricompenserò con il Lygaeidae che ho preso oggi tra le dune.

:ok:
Dilar ha scritto:
Il motivo per cui ho abbandonato gli eterotteri è chiaro e non è un mistero: i neurotteri son più belli!!! :mrgreen

Che strano, eppure ho ben nitido il momento in cui l'altro ieri (nella nostra stanza, vicino alla mia scrivania) mi hai detto che hai mollato gli eterotteri perchè già considerando solo Miridae e Lygaeidae sono un'infinità rispetto ai neurotteri :lol1:
Dilar ha scritto:
i neurotteri son più belli!!!

Su questa affermazione non mi pronuncio, sai come è, ci tengo al mio posto di lavoro :lol1:
Dilar ha scritto:
P.S. Capito Daniele (sì mi riferisco a te) abbiamo fatto pace! (che poi era tutto un gioco mica un litigio reale)

Penso che Daniele e tutti gli altri non abbiano mai avuto dubbi sul fatto che stessimo giocando :D
Laura


Top
profilo
MessaggioInviato: 23/11/2009, 23:37 
Avatar utente

Iscritto il: 05/02/2009, 17:25
Messaggi: 4894
Località: Zola Predosa (BO)
Nome: Loris Colacurcio
Mamma mia che polverone ha sollevato una msera cimicetta.....chissà cosa poteva far scoppiare un Lucanus !!!

Grazie di cuore, Loris

_________________
Loris


Top
profilo
MessaggioInviato: 24/11/2009, 12:45 
Avatar utente

Iscritto il: 06/02/2009, 8:59
Messaggi: 305
Località: Sassari
Nome: Laura Loru
Loriscola ha scritto:
Mamma mia che polverone ha sollevato una msera cimicetta.....chissà cosa poteva far scoppiare un Lucanus !!!

Grazie di cuore, Loris


Le cimicette non sono misere :x
il polverone ha reso Davide felice :hp: con i suoi volumi nuovi di zecca
e il ligeide ha reso felice me :hp:

Tutto è bene ciò che finisce bene!

GRAZIE DI CUORE A TE LORIS :lov1:

Ciao Laura


Top
profilo
Visualizza ultimi messaggi:  Ordina per  
nuovo argomento
rispondi
Vai alla pagina 1, 2  Prossimo
Pagina 1 di 2 [ 19 messaggi ]

Tutti gli orari sono UTC + 1 ora [ ora legale ]


Chi c’è in linea

Visitano il forum: Nessuno e 0 ospiti


Non puoi aprire nuovi argomenti
Non puoi rispondere negli argomenti
Non puoi modificare i tuoi messaggi
Non puoi cancellare i tuoi messaggi
Non puoi inviare allegati

Cerca per:
Vai a: