| Autore |
Messaggio |
|
Loriscola
|
Inviato: 24/11/2009, 21:32 |
|
Iscritto il: 05/02/2009, 17:25 Messaggi: 4894 Località: Zola Predosa (BO)
Nome: Loris Colacurcio
|
Con questo esperimento vorrei iniziare un nuovo filone di post in cui sia possibile illustrare i risultati di una determinata spedizione entomologica, cosa che in parte è già stata proposta (ad esempio da Sama con le sue invidiabili spedizioni in Africa) e che vorrebbe riprendere i vari "Trip Report" che ho visto in numerosi siti di entomologi. Come sempre, il sottoscritto vuole "vendere" la sua mercanzia più gettonata ed anche questa volta vi offrirò la cara e vecchia località del bolognese, ovvero: Sasso Marconi (BO) - Palazzo Rossi Il 23 novembre (ieri) mi sono regalato un giorno di insetti ed ho voluto portarmi dietro la macchina fotografica; visto il periodo (freddo e poco "vitale") ho voluto indirizzarmi unicamente su un particolare ambiente, che è maggiormente "ricco" nel periodo invernale. Stiamo parlando della fauna sub-corticicola. Palazzo Rossi è un piccolissimo borgo medievale racchiuso all'interno delle mura del castello e si trova ad una ventina di chilometri da Bologna, nella prima collina bolognese. Per arrivare al borgo esiste una vecchia strada, ormai in disuso, delimitata da due filari di giganteschi Platani Il Platano ha la straordinaria qualità: una corteccia che si sfalda in ampie squame e che pertanto offre un invidiabile riparo per molti insetti: veramente infestante è questo eterottero che presumo sia la Corythucha ciliata (Say) Dopo pochi minuti, mi sono subito imbattuto in un coleottero mai visto prima, che con moltissima fatica e nella speranza di non essermi sbagliato, ho attribuito ai Bothrideridi, in particolare il Bothrideres bipunctatus (Gmelin 1790) Sotto alla corteccia del platano ho poi raccolto alcuni Ptinidi, sicuramente di diverse specie che vi propongo, purtroppo, senza nome. La cosa interessante è che tipicamente incontro queste bestiole unicamente sotto la corteccia dei Platani e mai su altre essenze. continua....
_________________ Loris
|
|
| Top |
|
 |
|
Loriscola
|
Inviato: 24/11/2009, 21:44 |
|
Iscritto il: 05/02/2009, 17:25 Messaggi: 4894 Località: Zola Predosa (BO)
Nome: Loris Colacurcio
|
...solo per questo esemplare, mi posso azzardare a proporre la specie: Ptinus (Gynopterus) sexpunctatus Panzer, 1789 Quasi casualmente, mentre scortecciavo ho notato che ai piedi di alcuni grossi platani, crescevano rigogliosi "ciuffi" di muschi (o licheni, non so) Esaminando la corteccia marcescente al di sotto di questo muschio (e solo in questo ambiente) ho trovato in gran quantità uno splendido Anthribide (spero), mai incontrato prima. Ed insieme a questi Anthribidi, ho raccolto anche un paio di minuscoli Throscidi Continuando con i platani, mi sono poi imbattuto in un Tenebrionide già presentato e quindi determinabile: Palorus depressus (Fabricius, 1790) Uno stafilinide, probabilmente uno Xantholino continua....
_________________ Loris
|
|
| Top |
|
 |
|
Loriscola
|
Inviato: 24/11/2009, 21:53 |
|
Iscritto il: 05/02/2009, 17:25 Messaggi: 4894 Località: Zola Predosa (BO)
Nome: Loris Colacurcio
|
...poi mi sono imbattuto nell'ennesimo "mai visto prima". La corteccia è davvero un ambiente ricco di sorprese !! Si tratta di un curioso Curculionide molto particolare e che credo possa essere vicino agli Acalles sp. Trovando poi un platano profondamente cariato, mi sono subito gettato a capofitto, scavando nella rosura e cercando qualche coleottero....parte di questa rosura l'ho poi raccolta per vagliarla comodamente a casa. Comunque, sul posto ho trovato un bel Dorcus parallelepipedus (Linneo, 1758)..... ...e l'altrettanto splendido Lacon punctatus (Herbst, 1779), probabile predatore del precedente Ultimo coleottero tra i platani, un altro curculionide che mi è stato determinato (su altri esemplari identici raccolti l'anno scorso): Polydrosus sparsus (Gyllenhal) continua.....
_________________ Loris
|
|
| Top |
|
 |
|
Loriscola
|
Inviato: 24/11/2009, 22:03 |
|
Iscritto il: 05/02/2009, 17:25 Messaggi: 4894 Località: Zola Predosa (BO)
Nome: Loris Colacurcio
|
Passando ad altra corteccia, sempre a ridosso del castello, ho trovato alcuni grossi pioppi abbattuti e con la corteccia parzialmente staccata.... ...sotto la quale ho trovato alcune ragguardevoli larve di Cerambycide.....Morimus asper, Lamia textor o nessuna delle due ? Numerosi heterotteri si trovavano in ogni dove.... Un angolino di corteccia era poi abitato da un piccolo nucleo di un altro Tenebrionide già conosciuto: Diaclina fagi (Panzer 1799) Sotto la corteccia del pioppo, sul tronco denudato e stillante di umidità, ho poi raccolto due interessanti Histeridi: Acritus minutus (Herbst, 1792) ...e Paromalus flavicornis (Herbst, 1792) ...oltre ad uno splendido Stafilinide (mi ripeto: mai visto prima) dalla peculiare caratteristica...sembra un lucanide !! Siagonium quadricorne (Kirby) spero di aver azzeccato la specie... continua...
_________________ Loris
|
|
| Top |
|
 |
|
Anillus
|
Inviato: 25/11/2009, 0:39 |
|
Iscritto il: 18/02/2009, 0:24 Messaggi: 3909 Località: Asciano (Siena)
Nome: Andrea Petrioli
|
_________________ ______ Andrea
|
|
| Top |
|
 |
|
aug
|
Inviato: 25/11/2009, 8:41 |
|
Iscritto il: 05/02/2009, 17:44 Messaggi: 2694 Località: Garbagnate Milanese
Nome: Augusto Franzini
|
|
Quante belle bestioline, Loris! Insisti, non è l'Africa ma c'è comunque una bella varietà. Niente Carabidi? (Dromius o Philorhizus ci dovrebbero stare, vista la buona condizione dell'ambiente)
_________________ Augusto (aug) Prediction is very difficult, especially about the future (Niels Bohr, fisico)
|
|
| Top |
|
 |
|
Daniele Sechi
|
Inviato: 25/11/2009, 9:00 |
|
Iscritto il: 04/02/2009, 17:49 Messaggi: 5555 Località: Cagliari
Nome: Daniele Sechi
|
Bravo Loris, bellissimo report! 
_________________  Daniele
|
|
| Top |
|
 |
|
Hemerobius
|
Inviato: 25/11/2009, 9:23 |
|
Iscritto il: 02/02/2009, 23:32 Messaggi: 5645 Località: da Ferrara ad Alghero
Nome: Roberto A. Pantaleoni
|
Attento Loris, nella rosura degli alberi cavi va a finire che trovi le larve di Dendroleon pantherinus, un bellissimo formicaleone. Nel caso non ucciderle, ma tienile vive e contattaci, MI RACCOMANDO  !!! Ciao Roberto 
_________________ verum stabile cetera fumus
|
|
| Top |
|
 |
|
Notoxus59
|
Inviato: 25/11/2009, 11:23 |
|
Iscritto il: 06/02/2009, 9:03 Messaggi: 6379 Località: Bubano di Mordano (Bologna)
Nome: Augusto Degiovanni
|
Ciao Loris, bella e interessante sequenza  lo Stafilinidae è da urlo  .
|
|
| Top |
|
 |
|
Loriscola
|
Inviato: 25/11/2009, 12:58 |
|
Iscritto il: 05/02/2009, 17:25 Messaggi: 4894 Località: Zola Predosa (BO)
Nome: Loris Colacurcio
|
...mi sono portato un po' di foto a lavorare e posso (segretamente) continuare Grazie per i vostri apprezzamenti.  Per rispondere ad Augusto....sì i carabidi ci sono: purtroppo ho visto una Lebia (forse la scapularis), ma la simpaticona ha pensato bene di lasciarsi cadere e l'ho persa.... Continuando la disamina della mia spedizione corticicola del 23 novembre, sempre sotto la corteccia di alcuni grossi pioppi abbattuti, mi sono imbattuto (scusate il gioco di parole) in un coleottero ignoto.....a vista potrebbe essere un Monotomide Tra la rosura, appare invece un bel tenebrionide, abbastanza comune da queste parti.......Dendarus (Dendarus) coarcticollis (tristis) Mulsant, 1854 ...e un curculionide che ho trovato spessissimo nel legno fradicio dei pioppi e che mi è stato determinato: Melicius cylindrus (Boheman) A dispetto delle minuscole dimensioni era poi possibile osservare, subito dopo aver tolto la corteccia (sul tronco molto bagnato) dei Ptilidi, come questi due: la prima è probabilmente una Ptinella, forse la aptera Sul secondo, oltre a dire che si tratta di un'altra specie, non vado oltre.... continua....

|
_________________ Loris
|
|
| Top |
|
 |
|
Loriscola
|
Inviato: 25/11/2009, 13:07 |
|
Iscritto il: 05/02/2009, 17:25 Messaggi: 4894 Località: Zola Predosa (BO)
Nome: Loris Colacurcio
|
...poco più in là si trovano alcuni grossi tronchi di un albero ancora sconosciuto e che ormai è diventato un mio abituale appuntamento: ed infatti ho aggiunto artificialmente della "corteccia di carta", utilizzando una pezzo di cartone ondulato.... Qui ho potuto trovare il già noto Colydiide, Corticus celtis (Germar 1824) e l'altrettanto conosciuto Scaphidium quadrimaculatum (G.A. Olivier, 1790) Ovviamente, visto che era passato già un bel po' di tempo, mi sono ricordato di esaminare alcune "trappole a fascia" create su suggerimento di Ranatra... ...e qui ho rinvenuto un Tenebrionide....forse un Nalassus sp., e due heterotteri: spero che il prima sia Rhyparochromus (Xanthochilus) saturnius (Rossi, 1790), ma potre tranquillamente aver preso un granchio. il secondo non ci provo nemmeno  continua....
_________________ Loris
|
|
| Top |
|
 |
|
Loriscola
|
Inviato: 25/11/2009, 13:15 |
|
Iscritto il: 05/02/2009, 17:25 Messaggi: 4894 Località: Zola Predosa (BO)
Nome: Loris Colacurcio
|
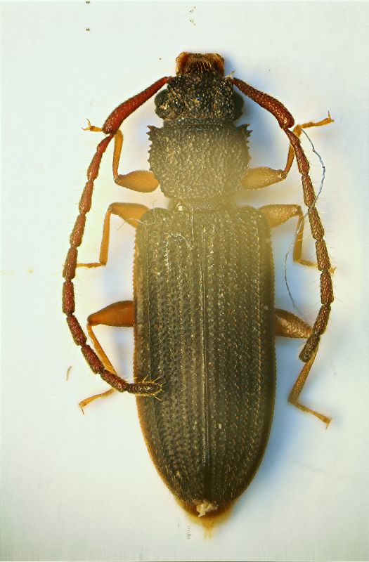
Infine ho controllato l'ennesimo tronco abbandonato, questa volta dico con una certa sicurezza che si tratta di un ippocastano Sotto la spessa corteccia mi è subito balzato agli occhi questo grosso tenebrionide che, guardando un po' in rete ho immaginato potesse essere un Accanthopus velikensis (Piller & Mitterpacher, 1783) Oltre a questo, controllando più da vicino, il tronco era pieno di un Silvanide molto diffuso, la Uleiota planata (Linneo, 1761) Infine, dopo non vi assillo più, ecco l'ultimo incontro....davvero abbondante (Cucuidi) Placonotus testaceus (Fabricius) Un saluto a tutti voi, pazienti lettori Loris
_________________ Loris
|
|
| Top |
|
 |
|
Glaphyrus
|
Inviato: 25/11/2009, 21:27 |
|
Iscritto il: 05/02/2009, 17:28 Messaggi: 3228
Nome: Marco Uliana
|
Accidenti, che bella caccia! E che bel report Ti do qualche nome: Secondo Ptinide preparato (pronoto molto peloso) Ptinus ( Cyphoderes) sp. Terzo Ptinide preparato: Giusto: Ptinus ( Gynopterus) sexpunctatus Panzer, 1789 Antribide ignoto: Phaenotherion fasciculatum Presunto monotomide: Synchita cfr. mediolanensis (Colydiidae, una volta, ora... boh) Continua così! Ciao, Marco
|
|
| Top |
|
 |
|
Hemerobius
|
Inviato: 25/11/2009, 21:58 |
|
Iscritto il: 02/02/2009, 23:32 Messaggi: 5645 Località: da Ferrara ad Alghero
Nome: Roberto A. Pantaleoni
|
Loriscola ha scritto: ...poco più in là si trovano alcuni grossi tronchi di un albero ancora sconosciuto ... Olmo? Possibile secondo te? Ciao Roberto 
_________________ verum stabile cetera fumus
|
|
| Top |
|
 |
|
Loriscola
|
Inviato: 26/11/2009, 9:10 |
|
Iscritto il: 05/02/2009, 17:25 Messaggi: 4894 Località: Zola Predosa (BO)
Nome: Loris Colacurcio
|
|
Grazie Marco per le dritte....se l'Anthribide interessa, ne ho alcuni esemplari.
Per Hemerobius.....sì che può essere. Io pensavo ad un tiglio, ma in effetti è più plausibile la tua ipotesi.
Ciao, Loris
_________________ Loris
|
|
| Top |
|
 |
|