Benvenuto Ospite

Forum Entomologi Italiani

www.entomologiitaliani.net/forum
 
Oggi è 22/11/2025, 12:29

Tutti gli orari sono UTC + 1 ora [ ora legale ]

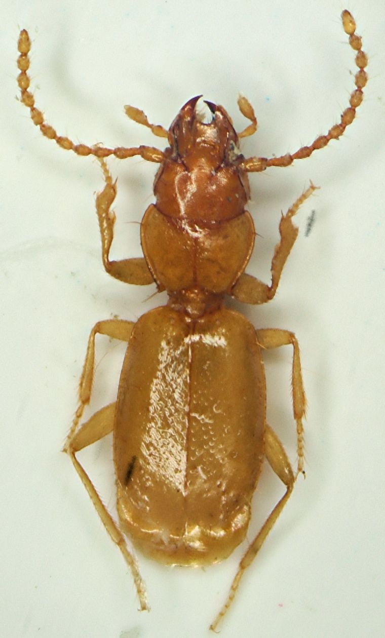
Scotodipnus glaber glaber (Baudi, 1859) - Carabidae

9.V.2012 - ITALIA - Emilia-Romagna - BO, Lizzano in Belvedere mt. 1.000


nuovo argomento
rispondi
Pagina 1 di 1 [ 5 messaggi ]
Autore Messaggio
MessaggioInviato: 10/05/2012, 22:34 
Avatar utente

Iscritto il: 05/02/2009, 17:25
Messaggi: 4894
Località: Zola Predosa (BO)
Nome: Loris Colacurcio
Ieri mi sono preso una giornata di ferie e ho puntato la macchina verso le nostre montagne, sino a raggiungere la zona del Corno alle Scale.....e qui ho cominciato a voltare pietre, pietroni e pietruzze, nonché a vagliare in ogni dove. Sotto una di queste pietre, particolarmente infossata e vicino ad un piccolo torrentello, ho trovato queste due piccole meraviglie.
Non ho idea di cosa siano, ma ho provato a determinarle con le miserrime cognizioni carabidologiche in mio possesso :oops: : direi che assomiglia vagamente ad un Anillus, indi per cui presumo sia un genere affine....e per questo ho pensato al genere Scotodipnus. Per la sottospecie ho invece puntato su quella geograficamente più plausibile.
Ora vedremo quante cavolate ho detto :no1:

Lunghezza: 3 mm. abbondanti.

Da notare la notevole carena sulla mandibola sinistra...

scoto1.JPG


scoto2.JPG



scoto3.JPG


_________________
Loris


Top
profilo
MessaggioInviato: 10/05/2012, 22:51 
Avatar utente

Iscritto il: 22/05/2009, 21:00
Messaggi: 2776
Località: Pergine Valsugana (TN)
Nome: Andrea Carlin
:shock: :birra: Grande Loris!!! Bella caccia!!! :birra: :shock:
:lov3: :p Sono favolose creature! :p :lov3:

:hi: :hi: :hi: :hi: :hi:

_________________
Andrea Carlin, Pergine Valsugana (TN) carlin.andrea(AT)gmail.com

Nota: tutti gli esemplari inseriti nelle discussioni aperte da me sono da ritenere "Andrea Carlin legit" se non diversamente specificato.


Top
profilo
MessaggioInviato: 11/05/2012, 14:43 
Avatar utente

Iscritto il: 21/02/2011, 15:25
Messaggi: 3879
Località: Montecchio Emilia (RE)
Nome: Violi Michele
:shock: :o Questi sono magnifici, come del resto gli stafilini anoftalmi che hai postato!

_________________
Michele :D


Top
profilo
MessaggioInviato: 11/05/2012, 20:09 
Avatar utente

Iscritto il: 05/02/2009, 17:25
Messaggi: 4894
Località: Zola Predosa (BO)
Nome: Loris Colacurcio
Grazie....ma, quindi ho azzeccato la determinazione ? :shock:

_________________
Loris


Top
profilo
MessaggioInviato: 11/05/2012, 20:36 
Avatar utente

Iscritto il: 01/07/2010, 22:26
Messaggi: 5650
Località: Viterbo
Nome: Marco Selis
Fantastici! :shock:


Top
profilo
Visualizza ultimi messaggi:  Ordina per  
nuovo argomento
rispondi
Pagina 1 di 1 [ 5 messaggi ]

Tutti gli orari sono UTC + 1 ora [ ora legale ]


Chi c’è in linea

Visitano il forum: Nessuno e 7 ospiti


Non puoi aprire nuovi argomenti
Non puoi rispondere negli argomenti
Non puoi modificare i tuoi messaggi
Non puoi cancellare i tuoi messaggi
Non puoi inviare allegati

Cerca per:
Vai a: