| Autore |
Messaggio |
|
Fumea crassiorella
|
Inviato: 03/06/2012, 16:52 |
|
Iscritto il: 02/09/2009, 20:57 Messaggi: 8703 Località: Cagliari
Nome: Roberto Rattu
|
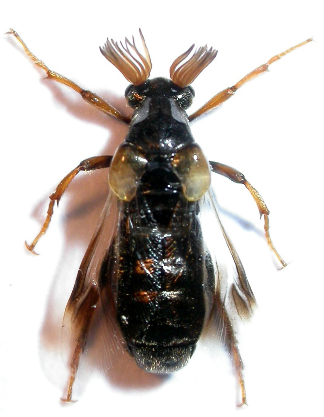
Uno dei coleotteri più straordinari della nostra fauna  : Ripiphorus subdipterus. Oggi ho avuto per la prima volta la fortuna di trovarlo. E' lungo circa 8 mm
|
|
| Top |
|
 |
|
Andricus
|
Inviato: 03/06/2012, 16:57 |
|
Iscritto il: 01/07/2010, 22:26 Messaggi: 5665 Località: Viterbo
Nome: Marco Selis
|
In che tipo di ambiente l'hai trovato? Mi piacerebbe trovarlo 
|
|
| Top |
|
 |
|
FORBIX
|
Inviato: 03/06/2012, 16:59 |
|
Iscritto il: 17/02/2009, 0:05 Messaggi: 8524 Località: Isola d'Elba - Arcipelago Toscano
Nome: Leonardo Forbicioni
|
Questo è un colpo basso!!! ....parto per la Sardegna!!
_________________ "Stay hungry, stay foolish". Steve Jobs, 2005 ___________________ jjuniper8(at)gmail.com Twitter: @weevil_forbixcell. 339/5275910 ___________________
|
|
| Top |
|
 |
|
Julodis
|
Inviato: 03/06/2012, 17:04 |
|
Iscritto il: 30/12/2009, 22:20 Messaggi: 31564 Località: Roma
Nome: Maurizio Gigli
|
FORBIX ha scritto: Questo è un colpo basso!!! ....parto per la Sardegna!! emoticons-cattive-061.gif Non c'è bisogno! Ricordatevi che a settembre scorso Andrea Hallgass ne ha trovati tre (due maschi ed una femmina) in un prataccio* vicino Mentana (RM). *) L'ho girato tutto nella vana speranza di trovarne anche io nei giorni seguenti
|
|
| Top |
|
 |
|
FORBIX
|
Inviato: 03/06/2012, 17:34 |
|
Iscritto il: 17/02/2009, 0:05 Messaggi: 8524 Località: Isola d'Elba - Arcipelago Toscano
Nome: Leonardo Forbicioni
|
Julodis ha scritto: FORBIX ha scritto: Questo è un colpo basso!!! ....parto per la Sardegna!! emoticons-cattive-061.gif Non c'è bisogno! Ricordatevi che a settembre scorso Andrea Hallgass ne ha trovati tre (due maschi ed una femmina) in un prataccio* vicino Mentana (RM). *) L'ho girato tutto nella vana speranza di trovarne anche io nei giorni seguenti Hai perfettamente ragione! Faccio marcia indietro e li cerco all'Elba!!.....del resto questa è la mia terra ed è di quest'Isola che devo studiarne l'entomofauna!! Comunque è una gran bella bestia!!
_________________ "Stay hungry, stay foolish". Steve Jobs, 2005 ___________________ jjuniper8(at)gmail.com Twitter: @weevil_forbixcell. 339/5275910 ___________________
|
|
| Top |
|
 |
|
Julodis
|
Inviato: 03/06/2012, 17:41 |
|
Iscritto il: 30/12/2009, 22:20 Messaggi: 31564 Località: Roma
Nome: Maurizio Gigli
|
FORBIX ha scritto: Hai perfettamente ragione! Faccio marcia indietro e li cerco all'Elba!!.....del resto questa è la mia terra ed è di quest'Isola che devo studiarne l'entomofauna!! Comunque è una gran bella bestia!! E probabilmente ci sarà anche all'Elba. Il problema è che non si sa mai dove trovarli. Bisognerebbe studiare bene le condizioni necessarie all'ospite, ma anche così con bestie di questo tipo è sempre un terno al lotto, anche perchè credo che gli adulti abbiano vita breve (e tra l'altro ho idea che spesso si confondano con i ditteri, passando inosservati ai coleotterologi).
|
|
| Top |
|
 |
|
Fumea crassiorella
|
Inviato: 03/06/2012, 18:08 |
|
Iscritto il: 02/09/2009, 20:57 Messaggi: 8703 Località: Cagliari
Nome: Roberto Rattu
|
Andricus ha scritto: In che tipo di ambiente l'hai trovato? Mi piacerebbe trovarlo  In una zona praticamente priva di cespugli, piuttosto secca, con abbondanti Daucus carota, Dittrichia viscosa, Scabiosa sp.: sfalcia, sfalcia, sfalcia e ancora sfalcia!! 
|
|
| Top |
|
 |
|
elleelle
|
Inviato: 03/06/2012, 18:22 |
|
Iscritto il: 28/05/2009, 16:38 Messaggi: 5086
Nome: luigi lenzini
|
Mai visto! Somiglia ad uno strepsittero gigante.  luigi
|
|
| Top |
|
 |
|
Fumea crassiorella
|
Inviato: 03/06/2012, 21:05 |
|
Iscritto il: 02/09/2009, 20:57 Messaggi: 8703 Località: Cagliari
Nome: Roberto Rattu
|
Julodis ha scritto: con bestie di questo tipo è sempre un terno al lotto, anche perchè credo che gli adulti abbiano vita breve Ho dato uno sguardo alle varie discussioni del FEI dove compare questa specie: non so quanto vivano gli adulti (e in effetti non hanno l'aria di bestie longeve) ma pare che la loro presenza si distribuisca complessivamente in un numero di mesi abbastanza ampio: da maggio a settembre. 
|
|
| Top |
|
 |
|
gomphus
|
Inviato: 03/06/2012, 21:17 |
|
Iscritto il: 05/02/2009, 17:31 Messaggi: 9527 Località: milano
Nome: maurizio pavesi
|
|
io l'ho trovato due volte in vita mia: in sicilia a selinunte nell'agosto 1985 e a otranto a fine maggio l'anno scorso, in entrambi i casi l'ambiente erano prati incolti con abbondanti fioriture di Daucus e alberi isolati
_________________ ***************** maurizio
|
|
| Top |
|
 |
|
aphodius
|
Inviato: 03/06/2012, 21:23 |
|
Iscritto il: 16/09/2009, 22:40 Messaggi: 599 Località: Czech Republic
|
Amazing beautiful beetle!!! Congratulations! 
_________________ Daniel
Ἦν τὸ φῶς τὸ ἀληθινόν, ὃ φωτίζει πάντα ἄνθρωπον, ἐρχόμενον εἰς τὸν κόσμον. (ΚΑΤΑ ΙΩΑΝΝΗΝ, 1,9)
|
|
| Top |
|
 |
|
Julodis
|
Inviato: 03/06/2012, 21:53 |
|
Iscritto il: 30/12/2009, 22:20 Messaggi: 31564 Località: Roma
Nome: Maurizio Gigli
|
|
Quelli di Mentana fotografati da Andrea (la coppia che ha raccolto me l'ha gentilmente regalata) sono stati presi la mattina presto aggrappati a piante erbacee (steli di ombrellifere) in un terreno di bassa collina coltivato ad olivi, tra i quali cresce una fitta vegetazione erbacea con prevalenza appunto di ombrellifere (uno dei tanti generi a fiori bianchi comuni anche a fine estate. Qualcuno di recente mi diceva di averli trovati anni fa all'Insugherata (bella area verde alla periferia di Roma), in più occasioni, sempre nello stesso tratto di prato.
|
|
| Top |
|
 |
|
Daniele Sechi
|
Inviato: 04/06/2012, 9:19 |
|
Iscritto il: 04/02/2009, 17:49 Messaggi: 5557 Località: Cagliari
Nome: Daniele Sechi
|
|
Se può essere utile io l'ho trovato in Grecia in quota ad agosto, su infiorescenza di Daucus.
_________________  Daniele
|
|
| Top |
|
 |
|
f.izzillo
|
Inviato: 04/06/2012, 13:18 |
|
Iscritto il: 22/12/2009, 13:31 Messaggi: 9646 Località: Napoli
Nome: Francesco Izzillo
|
Daniele Sechi ha scritto: Se può essere utile io l'ho trovato in Grecia in quota ad agosto, su infiorescenza di Daucus. Anch'io numeroso in volo e un esemplare a Policoro.
_________________ Francesco Izzillo
|
|
| Top |
|
 |
|
Seraph
|
Inviato: 04/06/2012, 13:20 |
|
Iscritto il: 07/02/2011, 21:42 Messaggi: 265
Nome: Alessandro Girodo
|
|
wow, mai visto nulla di simile! un insetto davvero affascinante. cosa si sa della vita da larva?
_________________ _________ Ale
|
|
| Top |
|
 |
|