Benvenuto Ospite

Forum Entomologi Italiani

www.entomologiitaliani.net/forum
 
Oggi è 30/11/2025, 16:34

Tutti gli orari sono UTC + 1 ora [ ora legale ]

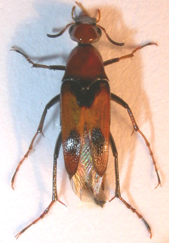
Macrosiagon tricuspidatum (Lepechin, 1774) - Ripiphoridae

6.VI.2012 - ITALIA - Sardegna - CA, Quartu, loc. Flumini, leg. R. Rattu


nuovo argomento
rispondi
Vai alla pagina 1, 2  Prossimo
Pagina 1 di 2 [ 16 messaggi ]
Autore Messaggio
MessaggioInviato: 06/06/2012, 18:37 
Avatar utente

Iscritto il: 02/09/2009, 20:57
Messaggi: 8703
Località: Cagliari
Nome: Roberto Rattu
Continua la saga dei Ripiphoridae: Macrosiagon tricuspidatum, specie non certo particolare come il Ripiphorus subdipterus ma che comunque fa la sua figura. Un maschio, lungo circa 12 mm:

DSCN1122.JPG



Una femmina, lunga 6 mm:

DSCN1125.JPG



La differenza di dimensioni tra i due sessi è quindi notevole: una foto della coppia

DSCN1123.JPG



Top
profilo
MessaggioInviato: 06/06/2012, 18:44 
Avatar utente

Iscritto il: 21/02/2011, 15:25
Messaggi: 3879
Località: Montecchio Emilia (RE)
Nome: Violi Michele
:o :shock: Fantastica, l'avevo vista su Google immagini poco fa, mai avrei pensato fosse una specie italiana che avremmo avuto sul forum! Per me non ha nulla da invidiare all'altro Ripiphoride. Mi ricorda certi cerambicidi floricoli... quanti ne hai presi? :lov3: :p :p :oops:

_________________
Michele :D


Top
profilo
MessaggioInviato: 06/06/2012, 18:52 
Avatar utente

Iscritto il: 30/12/2009, 22:20
Messaggi: 31564
Località: Roma
Nome: Maurizio Gigli
Ma lascia qualcosa pure per gli altri sardi! Vuoi svuotare l'isola?

_________________
Maurizio Gigli
http://utenti.romascuola.net/bups
http://bup.xoom.it/


Top
profilo
MessaggioInviato: 06/06/2012, 19:00 
Avatar utente

Iscritto il: 09/11/2009, 14:12
Messaggi: 5158
Località: Hradec Kralove,Czech republik
Nome: Jan Matějíček
? Macrosiagon bimaculata (Fabricius, 1787) No 8,9


Scan577.jpg

Scan576.jpg


_________________
Research Fields
Taxonomy, ecology, biomonitoring , faunistic of Staphylinidae
Top
profilo
MessaggioInviato: 06/06/2012, 19:11 
Avatar utente

Iscritto il: 30/12/2009, 22:20
Messaggi: 31564
Località: Roma
Nome: Maurizio Gigli
Uno più strano dell'altro! Che specie è il n° 7?

_________________
Maurizio Gigli
http://utenti.romascuola.net/bups
http://bup.xoom.it/


Top
profilo
MessaggioInviato: 06/06/2012, 19:14 
Avatar utente

Iscritto il: 09/11/2009, 14:12
Messaggi: 5158
Località: Hradec Kralove,Czech republik
Nome: Jan Matějíček
Macrosiagon tricuspidatum (Lepechin, 1774)
viewtopic.php?f=67&t=23740


Scan578.jpg

Scan579.jpg

Scan580.jpg


_________________
Research Fields
Taxonomy, ecology, biomonitoring , faunistic of Staphylinidae
Top
profilo
MessaggioInviato: 06/06/2012, 19:21 
Avatar utente

Iscritto il: 01/07/2010, 22:26
Messaggi: 5650
Località: Viterbo
Nome: Marco Selis
In che ambiente l'hai trovato?

Assomiglia molto a un Mordellide :o


Top
profilo
MessaggioInviato: 06/06/2012, 19:25 
Avatar utente

Iscritto il: 25/11/2009, 9:31
Messaggi: 8157
Località: Lecce
Nome: Maurizio Bollino
Bestie veramente strane!!! La cosa per me più insolita è lo sviluppo delle antenne nella femmina, mentre il maschio le ha "normali". In genere succede il contrario, almeno nei Lepidotteri (come i Saturniidae), ma anche in Melolontha, Polyphilla ed altri.

_________________
Maurizio Bollino


Top
profilo
MessaggioInviato: 06/06/2012, 19:28 
Amministratore
Avatar utente

Iscritto il: 02/02/2009, 23:30
Messaggi: 7104
Località: Capaci (Pa)
Nome: Marcello Romano
Maurizio Bollino ha scritto:
Bestie veramente strane!!! La cosa per me più insolita è lo sviluppo delle antenne nella femmina, mentre il maschio le ha "normali". In genere succede il contrario, almeno nei Lepidotteri (come i Saturniidae), ma anche in Melolontha, Polyphilla ed altri.


Ho però l'impressione che Roberto si sia sbagliato sull'attribuzione dei due sessi, basandosi sulle dimensioni.

_________________
:hi: Marcello Romano


Top
profilo
MessaggioInviato: 06/06/2012, 19:28 
Avatar utente

Iscritto il: 02/09/2009, 20:57
Messaggi: 8703
Località: Cagliari
Nome: Roberto Rattu
Mikiphasmide ha scritto:
quanti ne hai presi?


Troppo pochi per i miei canoni.... :gh:

Andricus ha scritto:
In che ambiente l'hai trovato?


Un campo incolto, arido, con pochi arbusti e molta Scabiosa sp.: se fai come per il R. subdipterus, domani trovi anche questa specie!! :D

Velvet Ant ha scritto:
Maurizio Bollino ha scritto:
Bestie veramente strane!!! La cosa per me più insolita è lo sviluppo delle antenne nella femmina, mentre il maschio le ha "normali". In genere succede il contrario, almeno nei Lepidotteri (come i Saturniidae), ma anche in Melolontha, Polyphilla ed altri.


Ho però l'impressione che Roberto si sia sbagliato sull'attribuzione dei due sessi, basandosi sulle dimensioni.


Ops.... :oops: :oooner: , correggo.....


Top
profilo
MessaggioInviato: 06/06/2012, 19:32 
Avatar utente

Iscritto il: 25/11/2009, 9:31
Messaggi: 8157
Località: Lecce
Nome: Maurizio Bollino
Fumea crassiorella ha scritto:
Velvet Ant ha scritto:
Maurizio Bollino ha scritto:
Bestie veramente strane!!! La cosa per me più insolita è lo sviluppo delle antenne nella femmina, mentre il maschio le ha "normali". In genere succede il contrario, almeno nei Lepidotteri (come i Saturniidae), ma anche in Melolontha, Polyphilla ed altri.


Ho però l'impressione che Roberto si sia sbagliato sull'attribuzione dei due sessi, basandosi sulle dimensioni.


Ops.... :oops: :oooner: , correggo.....


Adesso tutto torna!! La perdita di alcune certezze, alla mia età, avrebbe potuto essere deleteria :mrgreen: :mrgreen: :mrgreen: :mrgreen: :mrgreen:

_________________
Maurizio Bollino


Top
profilo
MessaggioInviato: 06/06/2012, 19:39 
Avatar utente

Iscritto il: 01/07/2010, 22:26
Messaggi: 5650
Località: Viterbo
Nome: Marco Selis
Fumea crassiorella ha scritto:
se fai come per il R. subdipterus, domani trovi anche questa specie!!


Spero succeda davvero! :lol:


Top
profilo
MessaggioInviato: 06/06/2012, 23:12 
Avatar utente

Iscritto il: 30/12/2009, 22:20
Messaggi: 31564
Località: Roma
Nome: Maurizio Gigli
Maurizio Bollino ha scritto:
Adesso tutto torna!! La perdita di alcune certezze, alla mia età, avrebbe potuto essere deleteria :mrgreen: :mrgreen: :mrgreen: :mrgreen: :mrgreen:

Non ti ci mettere pure tu! Già oggi abbiamo stabilito che io e Francesco ci siamo ormai rincitrulliti. Vuoi entrare a far parte del gruppo?

Comunque, già dalla tavola di Jan si capiva che erano i machi ad avere le antenne più sviluppate.

A proposito, grazie jan per l'altra pagina con le indicazioni delle specie in foto.
Certo che il genere Ripidius è forse ancor più strano degli altri, con quel dimorfismo sessuale estremo!

_________________
Maurizio Gigli
http://utenti.romascuola.net/bups
http://bup.xoom.it/


Top
profilo
MessaggioInviato: 06/06/2012, 23:22 
Avatar utente

Iscritto il: 25/11/2009, 9:31
Messaggi: 8157
Località: Lecce
Nome: Maurizio Bollino
Julodis ha scritto:
Maurizio Bollino ha scritto:
Adesso tutto torna!! La perdita di alcune certezze, alla mia età, avrebbe potuto essere deleteria :mrgreen: :mrgreen: :mrgreen: :mrgreen: :mrgreen:

Non ti ci mettere pure tu! Già oggi abbiamo stabilito che io e Francesco ci siamo ormai rincitrulliti. Vuoi entrare a far parte del gruppo?


Veramente io sono socio fondatore del gruppo :mrgreen: :mrgreen: :mrgreen: :mrgreen:

_________________
Maurizio Bollino


Top
profilo
MessaggioInviato: 06/06/2012, 23:24 
Avatar utente

Iscritto il: 30/12/2009, 22:20
Messaggi: 31564
Località: Roma
Nome: Maurizio Gigli
Maurizio Bollino ha scritto:
Veramente io sono socio fondatore del gruppo :mrgreen: :mrgreen: :mrgreen: :mrgreen:

In fin dei conti, tra tutti e tre siamo prossimi a 170 anni!

_________________
Maurizio Gigli
http://utenti.romascuola.net/bups
http://bup.xoom.it/


Top
profilo
Visualizza ultimi messaggi:  Ordina per  
nuovo argomento
rispondi
Vai alla pagina 1, 2  Prossimo
Pagina 1 di 2 [ 16 messaggi ]

Tutti gli orari sono UTC + 1 ora [ ora legale ]


Chi c’è in linea

Visitano il forum: Nessuno e 0 ospiti


Non puoi aprire nuovi argomenti
Non puoi rispondere negli argomenti
Non puoi modificare i tuoi messaggi
Non puoi cancellare i tuoi messaggi
Non puoi inviare allegati

Cerca per:
Vai a: