Benvenuto Ospite

Forum Entomologi Italiani

www.entomologiitaliani.net/forum
 
Oggi è 22/05/2026, 23:33

Tutti gli orari sono UTC + 1 ora [ ora legale ]

Trichodes reichei (Mulsant & Rey, 1863) Dettagli della specie

2.VI.2003 - TURCHIA - EE, Monte Mut, Isparta Prov.


nuovo argomento
rispondi
Pagina 1 di 1 [ 9 messaggi ]
Autore Messaggio
MessaggioInviato: 25/12/2009, 2:42 
Avatar utente

Iscritto il: 17/12/2009, 19:19
Messaggi: 581
Località: Miane (TV)
Nome: Franco Sandel
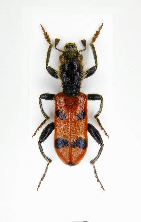
Trichodes sp. 2 raccolto in Turchia, Monte Mut, Isparta Prov. dall' amico Poletti Rolando.
Dimensioni 13 mm.
Franco Sandel


Trichodes sp.2-Turkey-Isparta-Monte Mut-02-VI-2003 Leg.Poletti_02.JPG

Trichodes sp.2-Turkey-Isparta-Monte Mut-02-VI-2003 Leg.Poletti_01.JPG


_________________
Effe Esse
Top
profilo
 Oggetto del messaggio: Re: Trichodes sp.2
MessaggioInviato: 25/12/2009, 19:51 
Avatar utente

Iscritto il: 18/06/2009, 16:54
Messaggi: 1093
Località: Casalecchio di Reno (BO)
Nome: Iuri Zappi
Questo è facile!
Gran bella bestia!
Trichodes reichei (Mulsant & Rey, 1863)

_________________
:hi: :hi: :hi:
Iuri


Top
profilo
 Oggetto del messaggio: Re: Trichodes sp.2
MessaggioInviato: 25/12/2009, 20:54 
Avatar utente

Iscritto il: 18/06/2009, 16:54
Messaggi: 1093
Località: Casalecchio di Reno (BO)
Nome: Iuri Zappi
Scusa Franco,
non riesco a trovare il monte Mut. Dov'è? Mi puoi dare più o meno le coordinate geografiche su Google Earth se non ti scoccia.
Ho trovato Mut ma è nella provincia di Icel.
Purtroppo non sono mai stato in Turchia! :x
:hi: :hi: :hi:

_________________
:hi: :hi: :hi:
Iuri


Top
profilo
 Oggetto del messaggio: Re: Trichodes sp.2
MessaggioInviato: 26/12/2009, 0:27 
Avatar utente

Iscritto il: 20/11/2009, 0:34
Messaggi: 571
Località: Vignola (Mo)
Nome: Claudio Sola
Enoplium ha scritto:
Scusa Franco,
non riesco a trovare il monte Mut. Dov'è? Mi puoi dare più o meno le coordinate geografiche su Google Earth se non ti scoccia.
Ho trovato Mut ma è nella provincia di Icel.
Purtroppo non sono mai stato in Turchia! :x
:hi: :hi: :hi:

Ciao Iuri ,
sono Claudio di Modena , il cartellino è tragicamente sbagliato ! Io ero con Poletti quando ha raccolto l'animale , non esiste il monte Mut a Isparta , Mut è un bel Paesino che si trova tra Sylyfke e Sertavul , la Provincia é Icel , probabilmente Poletti ha dato un Barattolo a Franco con scritto da Mut a Isparta , fa spesso questo sbaglio ! Il problema è probabilmente risolvibile se io o Dodo abbiamo raccolto la stessa specie , basta che tu controlli nel database i dati delle determinazioni , tanto li hai determinati tutti tu .

Ciao ! Buon Natale

_________________
merlino


Top
profilo
MessaggioInviato: 26/12/2009, 14:21 
Avatar utente

Iscritto il: 18/06/2009, 16:54
Messaggi: 1093
Località: Casalecchio di Reno (BO)
Nome: Iuri Zappi
Grazie Claudio!
Pensa che la località più occidentale dell'areale di questa specie, che risulta dal mio database, è:
Anatolia centrale, Konia, Goloren, 1000 m, VI-2003, leg. C. Sola (1 ex.) coll. Sola;
Isparta sposterebbe molto più a occidente il limite a me noto. Che potrebbe anche essere....Mah? Certo che tra Mut e Isparta ci sono 300 km in linea d'aria. :roll: :roll:
Dodo non l'ha trovato.
Se ti ricordi che anche Rolando l'ha trovato insieme a te il problema è bello risolto. Altrimenti direi che è meglio trascurare il dato.
La specie è certamente più frequente in alcune località della Turchia orientale.
:hi: :hi: :hi:
P.S. Come sai per certe bestie io inserisco le coordinate geografiche con la precisione del "secondo sessagesimale" come spero di poter fare per la bestiolina che vive vicino a casa tua. In primavera faccio un salto con Loris Colacurcio e ti sego tutte le querce che hai attorno a casa. :lol: :lol: :lol:
Riciao
Iuri

_________________
:hi: :hi: :hi:
Iuri


Top
profilo
MessaggioInviato: 27/12/2009, 22:52 
Avatar utente

Iscritto il: 17/12/2009, 19:19
Messaggi: 581
Località: Miane (TV)
Nome: Franco Sandel
Carissimi Iuri e Claudio,
eccomi finalmente qui, questi giorni mentre io magari facevo bagordi :hp: , voi siete stati cosi' gentili da
determinarmi gli insetti.
In effetti ho cartellinato tutto come Monte Mut, su indicazioni di Poletti.
Non ho solo i Cleridi, ma bensi' anche Buprestidi e altro :oops: . Comunque sia rifaccio i cartellini, secondo me
Sola potresti darmi le giuste indicazioni, visto che eri con lui. Io personalmente non ho mai controllato
su Google map l'esatezza del luogo, altrimenti mi sarei accorto. Se ricordi ti avevo chiesto l'altr' anno
indicazioni sul nome specifico dei Trichodes, ma mi avevi detto che li avevi dati in studio per determinarli, molto
probabilmente a Iuri.

Ora ho un' altre due/tre specie, delle quali inseriro' foto e localita'.
Carissimo Iuri, nell'attesa di avere le localita' del reichei, ti prego dai un'occhiata anche a queste , chissa' che non riusciamo a darle un nome .
Vi ringrazio ancora entrambi e vi saluto,

Ciao Franco Sandel

_________________
Effe Esse


Top
profilo
MessaggioInviato: 28/12/2009, 12:48 
Avatar utente

Iscritto il: 21/05/2009, 14:59
Messaggi: 6996
Località: Parigi
Nome: Riccardo Poloni
ma tu pensa un po' :mrgreen: , dopo tante volte che glielo abbiamo detto, si è iscritto finalmente!!!! benvenuto Claudio!! :lov2: l'entomologo con più c...oleotteri della storia :mrgreen:

_________________
Riccardo Poloni
La dignità degli elementi
la libertà della poesia,
al di là dei tradimenti degli uomini
è magia, è magia, è magia...
Negrita, Rotolando verso sud


Top
profilo
MessaggioInviato: 11/01/2010, 23:34 
Avatar utente

Iscritto il: 20/11/2009, 0:34
Messaggi: 571
Località: Vignola (Mo)
Nome: Claudio Sola
Ciao Franco ,
io sarei molto felice di aiutarti con le località , ma se non vedo il materiale o almeno un elenco delle specie mi è praticamente impossibile aiutarti , comunque ripensando al viaggio , noi siamo partiti da Goloren e siamo arrivati a Mut lo stesso giorno , quindi è molto realistico che rolando abbia preso la bestiola nel mio stesso luogo e che abbia conservato lo stesso barattolo fino a Mut raccogliendo nei vari luoghi di sosta , che mi sembra , così a memoria siano 2 o 3 , non di più , comunque il materiale di Mut lo puoi cartellinare Goksu Kanyon , la partenza è Mut durante le raccolte , ma abbiamo fatto parecchi Km cercando ambienti adatti , per parecchi dico anche 30 , però non ci sono paesi , quindi siamo sempre in difficoltà per determinare la località precisa . Comunque nel giorno della raccolta siamo partiti al mattino presto e siamo arrivati a Mut alla notte verso le 10 e 30 , in tempo per raccogliere Polyphylla , Prionus e Oryctes sotto ai lampioni , questi sì che sono di Mut , Julodis Perotis Purpuricenus e un poco di Potosia sono del Goksu Kanyon , penso che anche Iuri leggerà questo messaggio e gli sarà utile .
Spero di riuscire a capire come potere inserire foto , per adesso non riesco , io ne ho un poco , ma non sono belle come le vostre , comunque potrebbero servire .

Ciao!

_________________
merlino


Top
profilo
MessaggioInviato: 15/01/2010, 12:44 
Avatar utente

Iscritto il: 17/12/2009, 19:19
Messaggi: 581
Località: Miane (TV)
Nome: Franco Sandel
Ciao Claudio,

grazie mille per le precisazioni sulla localita', io cartellino come mi hai indicato tu.
In effetti Rolando mi ha anche dato alcune Polyphilla, Purpuricenus e buprestidi vari, sempre
in un unico contenitore etichettato "Monte Mut". Lui ha la tendenza di ragruppare tutto in un'unica localita'
anche se magari si raccoglie su 50/60 km. e su localita' diverse. Lo so' molto bene, perche' quano viene a Carabus
con me sono io che poi gli diversifico e gli scrivo le etichette dei contenitori.
Adesso quello che mi hai indicato e' tutto chiaro, ed anche corrispondono gli insetti che mi ha
portato Rolando con i tuoi. Grazie ancora. :ok:

Per inserire una foto spostati sotto e clicca su "sfoglia", ricerca la cartella e la foto che vuoi inserire, selezionala
e poi clicca su "Aggiungi file". Puoi fare questa operazione per massimo 10 foto, inoltre le tue foto perche' vengano accettate devono avere una dimensione max. di 1024x1024 Pixel. Poi su ogni foto ci puoi scrivere anche un commento nello spazio di "commento file".
Prova che voglio vedere qualche altro bel coleottero dei tuoi catturato sul ""Monte Mut"" e dintorni.

Ciao Franco :hi:

_________________
Effe Esse


Top
profilo
Visualizza ultimi messaggi:  Ordina per  
nuovo argomento
rispondi
Pagina 1 di 1 [ 9 messaggi ]

Tutti gli orari sono UTC + 1 ora [ ora legale ]


Chi c’è in linea

Visitano il forum: Nessuno e 0 ospiti


Non puoi aprire nuovi argomenti
Non puoi rispondere negli argomenti
Non puoi modificare i tuoi messaggi
Non puoi cancellare i tuoi messaggi
Non puoi inviare allegati

Cerca per:
Vai a: