Benvenuto Ospite

Forum Entomologi Italiani

www.entomologiitaliani.net/forum
 
Oggi è 18/04/2026, 15:55

Tutti gli orari sono UTC + 1 ora [ ora legale ]

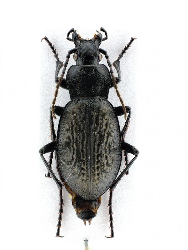
Carabus (Orinocarabus) alpestris dolomitanus Mandl, 1956 - Carabidae Carabinae

7.VIII.2012 - ITALIA - Trentino-Alto Adige - BZ, Loc. Plan Ciautier, Seceda, Ortisei


nuovo argomento
rispondi
Pagina 1 di 1 [ 3 messaggi ]
Autore Messaggio
MessaggioInviato: 17/09/2012, 20:01 
Avatar utente

Iscritto il: 10/05/2009, 15:30
Messaggi: 7183
Località: Ancona
Nome: Giacomo Giovagnoli
Preso sotto pietra il 07.VIII.2012 a Plan Ciautier (Seceda, Ortisei, Bolzano) in altopiano con pascoli a 2200m circa.

Mi fermo ad Carabus (Orinocarabus)...

[grazie zio per le foto!!! :birra: ]

Esemplare 1; dimensioni: 19mm
Comb0268_10jcr.jpg


a.jpg


Comb0269_12jcr.jpg


Comb0270_13jcr.jpg


Comb0271_16jcr.jpg



Esemplare 2; dimensioni: 19mm
Comb0272_11jcr.jpg


Comb0273_13jcr.jpg


Comb0274_13jcr.jpg


Comb0275_14jcr.jpg



Ciao :)

_________________
Immagine Giacomo


Top
profilo
MessaggioInviato: 18/09/2012, 8:18 
Avatar utente

Iscritto il: 05/02/2009, 17:44
Messaggi: 2699
Località: Garbagnate Milanese
Nome: Augusto Franzini
alpestris dolomitanus Mandl. Da quelle parti non c'è altro, a parte qualche carinthiacus (che però è facilmente riconoscibile).
Ciao!

_________________
Augusto (aug)
Prediction is very difficult, especially about the future (Niels Bohr, fisico)


Top
profilo
MessaggioInviato: 18/09/2012, 9:06 
Avatar utente

Iscritto il: 10/05/2009, 15:30
Messaggi: 7183
Località: Ancona
Nome: Giacomo Giovagnoli
Grande Augusto! :birra:
Essendo femmine non contavo nell'identificazione!!! :hp: :hp: :hp:

_________________
Immagine Giacomo


Top
profilo
Visualizza ultimi messaggi:  Ordina per  
nuovo argomento
rispondi
Pagina 1 di 1 [ 3 messaggi ]

Tutti gli orari sono UTC + 1 ora [ ora legale ]


Chi c’è in linea

Visitano il forum: Nessuno e 6 ospiti


Non puoi aprire nuovi argomenti
Non puoi rispondere negli argomenti
Non puoi modificare i tuoi messaggi
Non puoi cancellare i tuoi messaggi
Non puoi inviare allegati

Cerca per:
Vai a: