Benvenuto Ospite

Forum Entomologi Italiani

www.entomologiitaliani.net/forum
 
Oggi è 28/04/2026, 22:56

Tutti gli orari sono UTC + 1 ora [ ora legale ]

Braconidae Cheloninae da id.

22.IX.2012 - ITALIA - Sardegna - CA, San Gregorio (Sìnnai), leg. R. Rattu


nuovo argomento
rispondi
Pagina 1 di 1 [ 9 messaggi ]
Autore Messaggio
 Oggetto del messaggio: Braconidae Cheloninae da id.
MessaggioInviato: 03/10/2012, 11:15 
Avatar utente

Iscritto il: 02/09/2009, 20:57
Messaggi: 8703
Località: Cagliari
Nome: Roberto Rattu
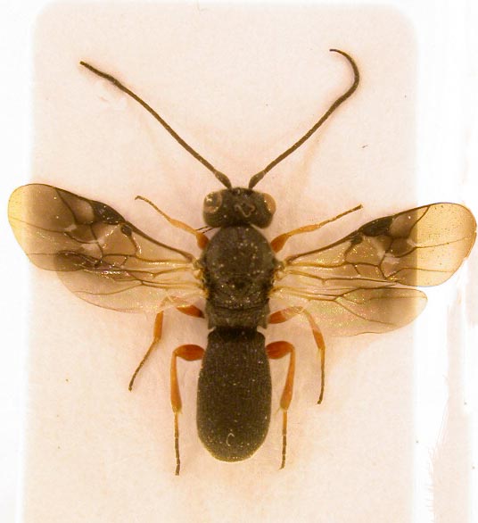
Piccolo imenottero trovato mentre retinavo per i crisidi: dal capo all'apice dell'addome sono 6 mm. Ne ho trovato tre esemplari:
DSCN2258.jpg


DSCN2265.JPG


DSCN2266.JPG



Top
profilo
 Oggetto del messaggio: Re: Hymenoptera Symphyta
MessaggioInviato: 03/10/2012, 11:53 
Avatar utente

Iscritto il: 17/02/2009, 0:05
Messaggi: 8524
Località: Isola d'Elba - Arcipelago Toscano
Nome: Leonardo Forbicioni
Symphyta ? :no: :no:
Apocrita :ok: :ok:
Braconidae-Cleoninae :birra: :birra:
Sono bestie bellissime.....con l'addome "tutto d'un pezzo"!! :lol: :lol:

_________________
"Stay hungry, stay foolish".
Steve Jobs, 2005
___________________
jjuniper8(at)gmail.com
Twitter: @weevil_forbix
cell. 339/5275910
___________________


Top
profilo
 Oggetto del messaggio: Re: Hymenoptera Symphyta
MessaggioInviato: 03/10/2012, 11:57 
Avatar utente

Iscritto il: 02/09/2009, 20:57
Messaggi: 8703
Località: Cagliari
Nome: Roberto Rattu
FORBIX ha scritto:
Symphyta ? :no: :no:
Apocrita :ok: :ok:
Braconidae-Cleoninae :birra: :birra:
Sono bestie bellissime.....con l'addome "tutto d'un pezzo"!! :lol: :lol:



Ops, :oops: grazie Leo, correggo.....

:hi:


Top
profilo
 Oggetto del messaggio: Re: Hymenoptera Symphyta
MessaggioInviato: 03/10/2012, 12:25 
Avatar utente

Iscritto il: 06/02/2009, 9:02
Messaggi: 1429
Località: Verona - Roma - Foggia e sporadicamente Padova
Nome: Filippo Di Giovanni
FORBIX ha scritto:
Sono bestie bellissime.....con l'addome "tutto d'un pezzo"!! :lol: :lol:


Ma che tipo ti piacerebbe studiare :D :D :D :D :D ?

_________________
"Non posso separare il piacere estetico che provo nel vedere una farfalla dal piacere scientifico di sapere che cosa è" (V.Nabokov)


Top
profilo
 Oggetto del messaggio: Re: Hymenoptera Symphyta
MessaggioInviato: 03/10/2012, 12:31 
Avatar utente

Iscritto il: 22/11/2010, 18:16
Messaggi: 1130
Località: Donzy (Bourgogne : Dipart. Nièvre) - Francia
Nome: Jean-Pierre Balmer
FORBIX ha scritto:
Symphyta ? :no: :no:
Apocrita :ok: :ok:
Braconidae-Cleoninae :birra: :birra:
Sono bestie bellissime.....con l'addome "tutto d'un pezzo"!! :lol: :lol:

Cheloninae ?
Ciao.
D & JP Balmer


Top
profilo
 Oggetto del messaggio: Re: Hymenoptera Symphyta
MessaggioInviato: 03/10/2012, 12:35 
Avatar utente

Iscritto il: 17/02/2009, 0:05
Messaggi: 8524
Località: Isola d'Elba - Arcipelago Toscano
Nome: Leonardo Forbicioni
D & JP Balmer ha scritto:
FORBIX ha scritto:
Symphyta ? :no: :no:
Apocrita :ok: :ok:
Braconidae-Cleoninae :birra: :birra:
Sono bestie bellissime.....con l'addome "tutto d'un pezzo"!! :lol: :lol:

Cheloninae ?
Ciao.
D & JP Balmer

Scusa Jean-Pierre. :oops: :ses :bit
Cheloninae :ok:

Eopteryx ha scritto:
Ma che tipo ti piacerebbe studiare :D :D :D :D :D ?


:roll: :? :? Non capisco!! :? :? :roll:

_________________
"Stay hungry, stay foolish".
Steve Jobs, 2005
___________________
jjuniper8(at)gmail.com
Twitter: @weevil_forbix
cell. 339/5275910
___________________


Top
profilo
 Oggetto del messaggio: Re: Braconidae Cleoninae da id.
MessaggioInviato: 03/10/2012, 12:49 
Avatar utente

Iscritto il: 06/02/2009, 9:02
Messaggi: 1429
Località: Verona - Roma - Foggia e sporadicamente Padova
Nome: Filippo Di Giovanni
Leonardo, avevi detto che erano "bellissimi", tanto che speravo mi rispondessi che "sì, mi piacerebbe studiarli".

_________________
"Non posso separare il piacere estetico che provo nel vedere una farfalla dal piacere scientifico di sapere che cosa è" (V.Nabokov)


Top
profilo
 Oggetto del messaggio: Re: Braconidae Cleoninae da id.
MessaggioInviato: 03/10/2012, 12:55 
Avatar utente

Iscritto il: 17/02/2009, 0:05
Messaggi: 8524
Località: Isola d'Elba - Arcipelago Toscano
Nome: Leonardo Forbicioni
Eopteryx ha scritto:
Leonardo, avevi detto che erano "bellissimi", tanto che speravo mi rispondessi che "sì, mi piacerebbe studiarli".

:xyz :xyz :xyz

Curculionidi ed Hydroadephaga mi stanno togliendo già il sonno!!...mi rimane il tempo solo per andare al lavoro! :msic
....questi li lascio volentieri ad altri :gh: :gh:
Ne avevo catturati alcuni esemplari, probabilmente di un paio di specie diverse e le avevo proposte in omaggio a qualche utente FEI in privato!! ;)
Non li ha voluti nessuno! :gh: :gh:
Seppure dovrebbe trattarsi di un gruppo poco numeroso, credo che siano sufficientemente "rognosi"! :lol: :lol:

_________________
"Stay hungry, stay foolish".
Steve Jobs, 2005
___________________
jjuniper8(at)gmail.com
Twitter: @weevil_forbix
cell. 339/5275910
___________________


Top
profilo
 Oggetto del messaggio: Re: Braconidae Cleoninae da id.
MessaggioInviato: 03/10/2012, 13:15 
Avatar utente

Iscritto il: 06/02/2009, 9:02
Messaggi: 1429
Località: Verona - Roma - Foggia e sporadicamente Padova
Nome: Filippo Di Giovanni
FORBIX ha scritto:
Seppure dovrebbe trattarsi di un gruppo poco numeroso, credo che siano sufficientemente "rognosi"! :lol: :lol:


e no... non è neanche un gruppo poco numeroso ! :lol:

e vabbé come non detto

Filippo

_________________
"Non posso separare il piacere estetico che provo nel vedere una farfalla dal piacere scientifico di sapere che cosa è" (V.Nabokov)


Top
profilo
Visualizza ultimi messaggi:  Ordina per  
nuovo argomento
rispondi
Pagina 1 di 1 [ 9 messaggi ]

Tutti gli orari sono UTC + 1 ora [ ora legale ]


Chi c’è in linea

Visitano il forum: Nessuno e 0 ospiti


Non puoi aprire nuovi argomenti
Non puoi rispondere negli argomenti
Non puoi modificare i tuoi messaggi
Non puoi cancellare i tuoi messaggi
Non puoi inviare allegati

Cerca per:
Vai a: