Benvenuto Ospite

Forum Entomologi Italiani

www.entomologiitaliani.net/forum
 
Oggi è 25/12/2025, 6:39

Tutti gli orari sono UTC + 1 ora [ ora legale ]

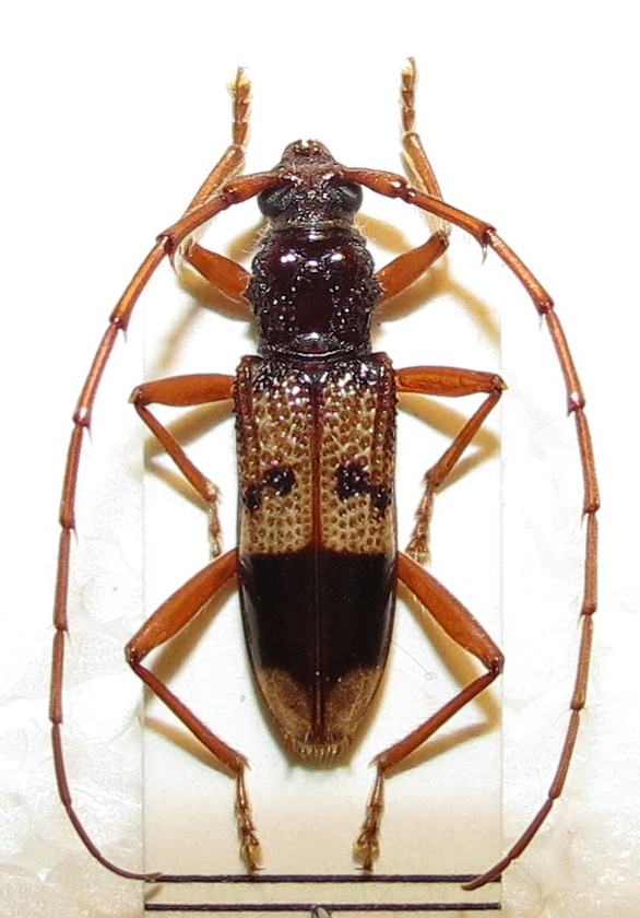
Phoracantha recurva Newman, 1840 Dettagli della specie

15.X.2012 - ITALIA - Sicilia - PA, Addaura


nuovo argomento
rispondi
Vai alla pagina 1, 2  Prossimo
Pagina 1 di 2 [ 18 messaggi ]
Autore Messaggio
MessaggioInviato: 20/10/2012, 17:29 
Avatar utente

Iscritto il: 01/06/2011, 11:43
Messaggi: 292
Località: Palermo
Nome: Lello Brancato
La specie è ormai comune ed abbastanza diffusa, ma la particolarità sta nel fatto che l'ho trovata in una trappola innescata con vino pochi giorni addietro. Non pensavo ne fosse attirata.
Quest'anno sto lasciando le trappole ancora attive e, anche a causa dell'estate che tarda ad andarsene (oggi quasi 30° e a Mondello in spiaggia sembrava luglio ! :hol ) continuo a trovare Potosia cuprea hyprocrita e Trichoferus fasciculatus in abbondanza, oltre ad altro come la Phoracantha appunto.


IMG_6365.jpg


_________________
....ed era tutta vela la navicella dell'ingegno mio.
Top
profilo
MessaggioInviato: 20/10/2012, 18:05 
Avatar utente

Iscritto il: 02/06/2012, 11:02
Messaggi: 434
Località: Quartucciu ( Cagliari )
Nome: Federico Alamanni
Sì. sembra che vadano matte per il vino :p :p ,infatti questa estate ne ho trovate una settantina tutte in una trappola , per non parlare di quei 5-10 esemplari presenti in ogni trappola :hp: :hp:

_________________
Federico Alamanni

federico.alamanni@gmail.com


Top
profilo
MessaggioInviato: 20/10/2012, 18:23 
Avatar utente

Iscritto il: 09/06/2012, 20:57
Messaggi: 4283
Località: Mesola (FE)
Nome: Daniele Maccapani
Secondo voi se metto adesso qualche trappola dolce alle mie latitudini (per chi non lo sa abito nel Delta del Po...) posso ancora prendere qualche coleottero?

Grazie, :hi:

_________________
"Lasciate questo mondo un po' migliore di come lo avete trovato" (Sir Robert Baden Powell)
Immagine Daniele


Top
profilo
MessaggioInviato: 20/10/2012, 18:41 
Avatar utente

Iscritto il: 17/02/2009, 0:05
Messaggi: 8521
Località: Isola d'Elba - Arcipelago Toscano
Nome: Leonardo Forbicioni
Caro Lello, in Sicilia non fate testo!! :lol:
Da voi fioriscono gli Himantoglossum robertianum (Loisel.) (ex Barlia robertiana) già alla metà di novembre!! :x :x :devil: :devil:
Penso che valga lo stesso per alcuni coleotteri!! :lol: :lol:

_________________
"Stay hungry, stay foolish".
Steve Jobs, 2005
___________________
jjuniper8(at)gmail.com
Twitter: @weevil_forbix
cell. 339/5275910
___________________


Top
profilo
MessaggioInviato: 20/10/2012, 19:04 
Avatar utente

Iscritto il: 30/12/2009, 22:20
Messaggi: 31564
Località: Roma
Nome: Maurizio Gigli
Federico A. ha scritto:
Sì. sembra che vadano matte per il vino :p :p ,infatti questa estate ne ho trovate una settantina tutte in una trappola , per non parlare di quei 5-10 esemplari presenti in ogni trappola :hp: :hp:

Vedi di levarne di mezzo più che puoi, che fai un favore a quei poveri eucalipti.

_________________
Maurizio Gigli
http://utenti.romascuola.net/bups
http://bup.xoom.it/


Top
profilo
MessaggioInviato: 20/10/2012, 20:07 
Avatar utente

Iscritto il: 02/06/2012, 11:02
Messaggi: 434
Località: Quartucciu ( Cagliari )
Nome: Federico Alamanni
Julodis ha scritto:
Federico A. ha scritto:
Sì. sembra che vadano matte per il vino :p :p ,infatti questa estate ne ho trovate una settantina tutte in una trappola , per non parlare di quei 5-10 esemplari presenti in ogni trappola :hp: :hp:

Vedi di levarne di mezzo più che puoi, che fai un favore a quei poveri eucalipti.


Lo so ,qui in Sardegna in questi ultimi anni c'è stato un esplosione "demografica" di questa specie che sta uccidendo parecchi eucalipti e sopratutto... ha fatto diminuire drasticamente il numero della semipunctata :D :D

_________________
Federico Alamanni

federico.alamanni@gmail.com


Top
profilo
MessaggioInviato: 20/10/2012, 20:53 
Avatar utente

Iscritto il: 30/12/2009, 22:20
Messaggi: 31564
Località: Roma
Nome: Maurizio Gigli
Federico A. ha scritto:
Lo so ,qui in Sardegna in questi ultimi anni c'è stato un esplosione "demografica" di questa specie che sta uccidendo parecchi eucalipti e sopratutto... ha fatto diminuire drasticamente il numero della semipunctata :D :D

E' successo lo stesso anche qui.

_________________
Maurizio Gigli
http://utenti.romascuola.net/bups
http://bup.xoom.it/


Top
profilo
MessaggioInviato: 20/10/2012, 21:57 
Avatar utente

Iscritto il: 02/06/2012, 11:02
Messaggi: 434
Località: Quartucciu ( Cagliari )
Nome: Federico Alamanni
Julodis ha scritto:
Federico A. ha scritto:
Lo so ,qui in Sardegna in questi ultimi anni c'è stato un esplosione "demografica" di questa specie che sta uccidendo parecchi eucalipti e sopratutto... ha fatto diminuire drasticamente il numero della semipunctata :D :D

E' successo lo stesso anche qui.

Una domanda: come mai?? :roll:

_________________
Federico Alamanni

federico.alamanni@gmail.com


Top
profilo
MessaggioInviato: 21/10/2012, 17:49 
Avatar utente

Iscritto il: 01/06/2011, 11:43
Messaggi: 292
Località: Palermo
Nome: Lello Brancato
[quote="Julodis"Vedi di levarne di mezzo più che puoi, che fai un favore a quei poveri eucalipti.[/quote]

Devo dire in tutta onestà che anche l'eucalipto lo consiìdero un "intruso" e del resto il suo parassita se lo è portato appresso dall'Australia :D
Non l'ho mai considerato un bell'albero, se non fosse per l'enorme comodità in ambito forestale che è capace di dare per la sua rapidissima crescita; ma è anche vero che proprio in ambito Forestale (quello del corpo intendo) sicuramente in questi 50/60 anni se ne è fatto abuso, impiantando di una specie alloctona intere montagne e preferendola a specie sicuramente più belle e stanziali per motivi di comodità appunto.
Non parliamo poi dell'invasività delle sue radici che ti trovi spesso nello scarico del bagno o dei lavandini provenienti magari dal terreno del vicino !!
Lello

_________________
....ed era tutta vela la navicella dell'ingegno mio.


Top
profilo
MessaggioInviato: 21/10/2012, 17:56 
Avatar utente

Iscritto il: 02/06/2012, 11:02
Messaggi: 434
Località: Quartucciu ( Cagliari )
Nome: Federico Alamanni
Caliddo ha scritto:
[quote="Julodis"Vedi di levarne di mezzo più che puoi, che fai un favore a quei poveri eucalipti.

Devo dire in tutta onestà che anche l'eucalipto lo consiìdero un "intruso" e del resto il suo parassita se lo è portato appresso dall'Australia :D
Non l'ho mai considerato un bell'albero, se non fosse per l'enorme comodità in ambito forestale che è capace di dare per la sua rapidissima crescita; ma è anche vero che proprio in ambito Forestale (quello del corpo intendo) sicuramente in questi 50/60 anni se ne è fatto abuso, impiantando di una specie alloctona intere montagne e preferendola a specie sicuramente più belle e stanziali per motivi di comodità appunto.
Non parliamo poi dell'invasività delle sue radici che ti trovi spesso nello scarico del bagno o dei lavandini provenienti magari dal terreno del vicino !!
Lello


Ti dò pienamente ragione , infatti anche qui , in certe zone ,ci sono decine e decine di etteri in montagna nei quali son stati piantati eucalipti , che rovinano l'ambiente e il paesaggio :devil: :devil:

_________________
Federico Alamanni

federico.alamanni@gmail.com


Top
profilo
MessaggioInviato: 21/10/2012, 18:27 
Avatar utente

Iscritto il: 30/12/2009, 22:20
Messaggi: 31564
Località: Roma
Nome: Maurizio Gigli
Cercherò di non dilungarmi perchè questa discussione si è già fatta, ma qualcosa devo dirla.

Certo che l'eucalipto è una specie esotica, e son d'accordo con voi che sarebbe meglio fare i rimboschimenti con specie autoctone, ma forse avete perso di vista la situazione reale.
Ormai quel che è fatto è fatto. I rimboschimenti ad eucalipto ci sono e sono sempre meglio di niente. Se non altro proteggono il terreno dall'erosione. E poi molto spesso gli eucalipti vengono piantati per altri motivi, ad esempio come barriere frangivento nelle zone pianeggianti, e questo compito lo svolgono egregiamente. Sono una buona fonte di nettare per le api.
E da un punto di vista naturalistico servono da rifugio per molti subcorticicoli ed altri insetti e piccoli animali (compresi alcuni vertebrati), anche migliore di quelli che trovano di solito. Inoltre lungo i filari di eucalipti, se non vengono curati, dopo un po' si sviluppa tutta una vegetazione erbacea ed arbustiva.
E più di ogni altra cosa, l'eucalipto è una pianta alloctona, ma non è infestante! Dove lo pianti resta. A differenza, ad esempio, della robinia o dell'ailanto, che tendono ad invadere tutto lo spazio a disposizione.

Non per niente gli insetti esotici che lo danneggiano vengono trattati alla stregua di quelli dannosi alle piante autoctone.

Federico A. ha scritto:
Una domanda: come mai?? :roll:
... ha fatto diminuire la semipunctata?

Presumo perchè entra in diretta competizione con essa. Per quale motivo abbia la meglio, non so. Forse si riproduce più velocemente, o si adatta meglio al nostro clima (la semipunctata negli inverni più freddi viene decimata, la recurva non so, ma forse meno), o attacca gli eucalipti prima che diventino adatti all'altra specie, o un insieme di più cause. Il fatto è che pian piano la recurva sta soppiantando la semipunctata, e mi pare che sia anche molto più dannosa. Tra l'altro, in Australia, di cui entrambe sono originarie, queste due specie potrebbero anche essere allopatriche (non ne ho idea), ed essere entrate in competizione solo dopo l'arrivo in altri continenti.

_________________
Maurizio Gigli
http://utenti.romascuola.net/bups
http://bup.xoom.it/


Top
profilo
MessaggioInviato: 21/10/2012, 18:41 
Avatar utente

Iscritto il: 01/06/2011, 11:43
Messaggi: 292
Località: Palermo
Nome: Lello Brancato
Sul meglio di niente sono assolutamente d'accordo e mi rendo conto che in certe zone è veramente un toccasana, considerando la velocità di crescita e la robustezza dimostrata e soprattutto lo stato del suolo di certe zone d'Italia.
Sull'invasività un po meno d'accordo; dove vedi Eucaliptus non vedi altro, sottobosto scarso o niente e come dicevo le radici sono incredibili (esperienza personale: fascio di radici di 10 cm che mi sono visto spuntare nel water al primo piano :x :x da un'albero del vicino ad almeno 25-30 mt. Aveva bucato le tubature o meglio si era infiltrato da un raccordo fra un tubo e l'altro ed era risalito nella rete di scarico invadendola praticamente tutta; insomma quando cerca acqua la deve trovare!
Che poi per noi entomologi cercare sotto le sue infinite sfoglie di corteccia sia una pacchia :lol: :lol: non c'è dubbio !!!
E comunque, per carità, è sempre un albero e va rispettato e preservato a prescindere !

_________________
....ed era tutta vela la navicella dell'ingegno mio.


Top
profilo
MessaggioInviato: 21/10/2012, 18:46 
Avatar utente

Iscritto il: 02/06/2012, 11:02
Messaggi: 434
Località: Quartucciu ( Cagliari )
Nome: Federico Alamanni
Julodis ha scritto:
Cercherò di non dilungarmi perchè questa discussione si è già fatta, ma qualcosa devo dirla.

Certo che l'eucalipto è una specie esotica, e son d'accordo con voi che sarebbe meglio fare i rimboschimenti con specie autoctone, ma forse avete perso di vista la situazione reale.
Ormai quel che è fatto è fatto. I rimboschimenti ad eucalipto ci sono e sono sempre meglio di niente. Se non altro proteggono il terreno dall'erosione. E poi molto spesso gli eucalipti vengono piantati per altri motivi, ad esempio come barriere frangivento nelle zone pianeggianti, e questo compito lo svolgono egregiamente. Sono una buona fonte di nettare per le api.
E da un punto di vista naturalistico servono da rifugio per molti subcorticicoli ed altri insetti e piccoli animali (compresi alcuni vertebrati), anche migliore di quelli che trovano di solito. Inoltre lungo i filari di eucalipti, se non vengono curati, dopo un po' si sviluppa tutta una vegetazione erbacea ed arbustiva.
E più di ogni altra cosa, l'eucalipto è una pianta alloctona, ma non è infestante! Dove lo pianti resta. A differenza, ad esempio, della robinia o dell'ailanto, che tendono ad invadere tutto lo spazio a disposizione.

Non per niente gli insetti esotici che lo danneggiano vengono trattati alla stregua di quelli dannosi alle piante autoctone.

Federico A. ha scritto:
Una domanda: come mai?? :roll:
... ha fatto diminuire la semipunctata?

Presumo perchè entra in diretta competizione con essa. Per quale motivo abbia la meglio, non so. Forse si riproduce più velocemente, o si adatta meglio al nostro clima (la semipunctata negli inverni più freddi viene decimata, la recurva non so, ma forse meno), o attacca gli eucalipti prima che diventino adatti all'altra specie, o un insieme di più cause. Il fatto è che pian piano la recurva sta soppiantando la semipunctata, e mi pare che sia anche molto più dannosa. Tra l'altro, in Australia, di cui entrambe sono originarie, queste due specie potrebbero anche essere allopatriche (non ne ho idea), ed essere entrate in competizione solo dopo l'arrivo in altri continenti.


Verissimo anche questo punto di vista ,
e poi in Sardegna, come nel resto d'italia credo :roll: , viene coltivato sopratutto per essere usato come combustibile, e questo ha fatto si che venisse adoperato sempre più.

Lello mi ha superato di qualche secondo :lol: :lol:

_________________
Federico Alamanni

federico.alamanni@gmail.com


Top
profilo
MessaggioInviato: 21/10/2012, 18:59 
Avatar utente

Iscritto il: 30/12/2009, 22:20
Messaggi: 31564
Località: Roma
Nome: Maurizio Gigli
Sul fatto del sottobosco scarso se non nullo sono d'accordo con te. Ma non so se dipenda da una alterazione della chimica del suolo (magari l'eucaliptolo contenuto nelle foglie e nella corteccia potrebbe giocare un ruolo in questo) o semplicemente dal fatto che i boschi di eucalipto da noi sono quasi sempre rimboschimenti con piante piuttosto giovani, tutte della stessa taglia, troppo vicine, e non permettono lo sviluppo di altro. Del resto la stessa situazione qui si ha nei boschetti puri di Robinia. Magari col tempo, in boschi maturi di eucalipto potrebbe svilupparsi un sottobosco migliore. Qui, dove gli eucalipti sono quasi solo in filari, questo problema è minore.

Capisco la tua esperienza spiacevole con l'eucalipto che ti entrava in casa dallo scarico del bagno, ma può succedere con parecchie piante. Tre anni fa ho dovuto eliminare un bell'albero di susino (che mi faceva delle buonissime Regina Claudia) che avevo piantato qualche anno prima in un'aiuola che avevamo fatto su un terrazzo (a livello della strada dal lato paese) della casa a Serrone. In pochi anni era diventato un bell'albero rigoglioso, malgrado la poca terra. Infatti aveva bucato lo strato catramato che avevamo messo sotto la terra, poi le radici erano passate tra il pavimento del terrazzo ed il muro esterno (la casa ha 300 anni, quindi niente cemento armato), avevano attraversato la stradina in paese passando sotto il lastricato e erano entrate nella fogna sottostante, intasandola!

_________________
Maurizio Gigli
http://utenti.romascuola.net/bups
http://bup.xoom.it/


Top
profilo
MessaggioInviato: 21/10/2012, 19:02 
Avatar utente

Iscritto il: 30/12/2009, 22:20
Messaggi: 31564
Località: Roma
Nome: Maurizio Gigli
[quote="Federico A."
e poi in Sardegna, come nel resto d'italia credo :roll: , viene coltivato sopratutto per essere usato come combustibile, e questo ha fatto si che venisse adoperato sempre più.[/quote]
Questo è un altro punto a suo favore: tutto il legno di eucalipto bruciato, è legno di altre piante risparmiato (o, peggio, carbone).

_________________
Maurizio Gigli
http://utenti.romascuola.net/bups
http://bup.xoom.it/


Top
profilo
Visualizza ultimi messaggi:  Ordina per  
nuovo argomento
rispondi
Vai alla pagina 1, 2  Prossimo
Pagina 1 di 2 [ 18 messaggi ]

Tutti gli orari sono UTC + 1 ora [ ora legale ]


Chi c’è in linea

Visitano il forum: Nessuno e 0 ospiti


Non puoi aprire nuovi argomenti
Non puoi rispondere negli argomenti
Non puoi modificare i tuoi messaggi
Non puoi cancellare i tuoi messaggi
Non puoi inviare allegati

Cerca per:
Vai a:  
cron