Benvenuto Ospite

Forum Entomologi Italiani

www.entomologiitaliani.net/forum
 
Oggi è 29/03/2026, 12:29

Tutti gli orari sono UTC + 1 ora [ ora legale ]

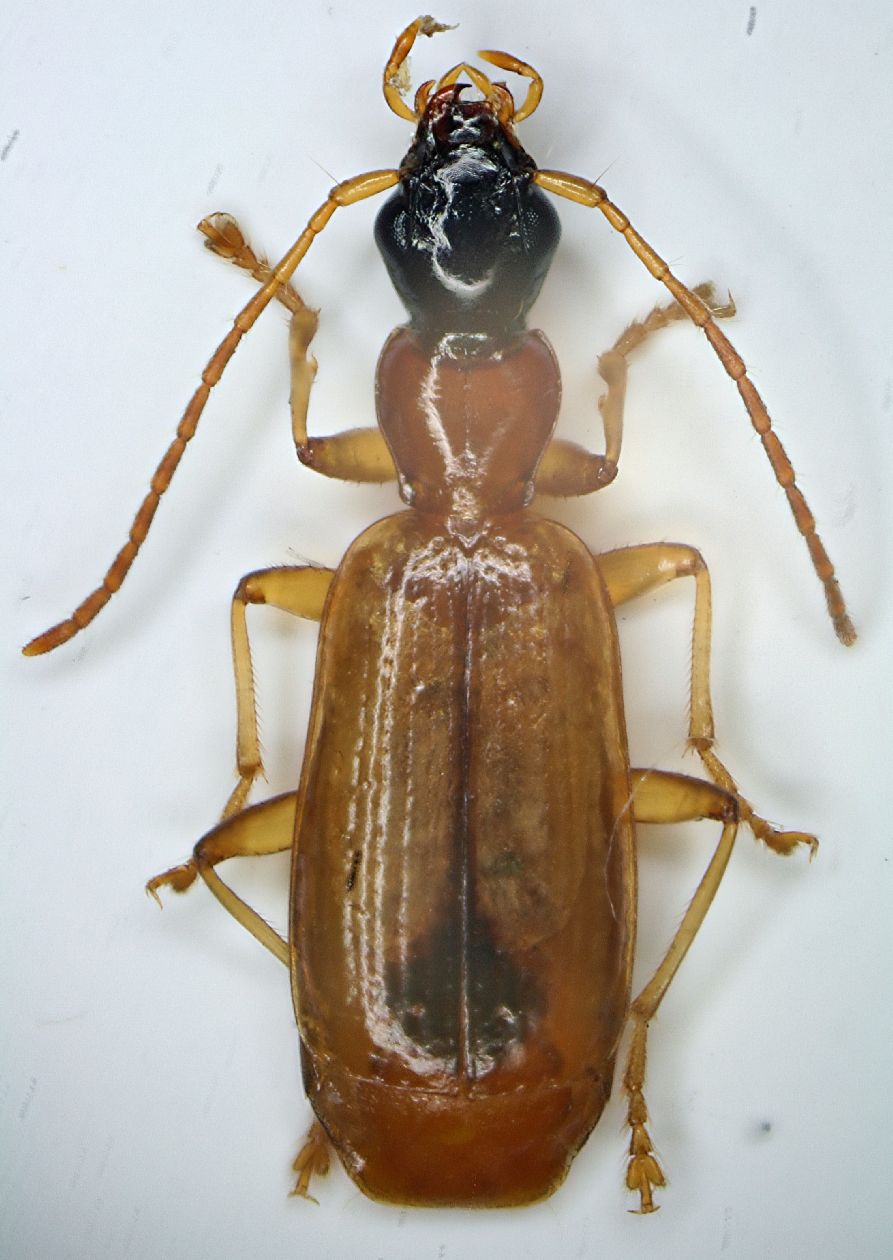
Demetrias monostigma Samouelle, 1819 - Carabidae

30.X.2012 - ITALIA - Emilia-Romagna - BO, Bubano


nuovo argomento
rispondi
Pagina 1 di 1 [ 2 messaggi ]
Autore Messaggio
MessaggioInviato: 03/11/2012, 23:11 
Avatar utente

Iscritto il: 05/02/2009, 17:25
Messaggi: 4894
Località: Zola Predosa (BO)
Nome: Loris Colacurcio
Altra bestiola raccolta vagliando in una zona umida della pianura romagnola. Direi Demetrias, ma la macchia elitrale mi sembra molto meno estesa del solito....ma potrebbe essere una semplice variabilità :oops:

Lunghezza: 4 mm. circa

Carabgiallo 4.5mm.JPG


_________________
Loris


Top
profilo
 Oggetto del messaggio: Re: Demetrias ? - Carabidae
MessaggioInviato: 03/11/2012, 23:48 
Avatar utente

Iscritto il: 05/02/2009, 17:47
Messaggi: 7252
Località: Cagliari
Nome: Piero Leo
Demetrias monostigma Samouelle, 1819

:) Ciao
Piero


Top
profilo
Visualizza ultimi messaggi:  Ordina per  
nuovo argomento
rispondi
Pagina 1 di 1 [ 2 messaggi ]

Tutti gli orari sono UTC + 1 ora [ ora legale ]


Chi c’è in linea

Visitano il forum: Nessuno e 6 ospiti


Non puoi aprire nuovi argomenti
Non puoi rispondere negli argomenti
Non puoi modificare i tuoi messaggi
Non puoi cancellare i tuoi messaggi
Non puoi inviare allegati

Cerca per:
Vai a: