Benvenuto Ospite

Forum Entomologi Italiani

www.entomologiitaliani.net/forum
 
Oggi è 22/03/2026, 22:25

Tutti gli orari sono UTC + 1 ora [ ora legale ]

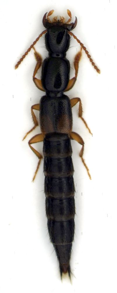
Leptobium gracile (Gravenhorst, 1802) - Staphylinidae

3.XII.2012 - ITALIA - Toscana - PI, San Rossore


nuovo argomento
rispondi
Pagina 1 di 1 [ 3 messaggi ]
Autore Messaggio
MessaggioInviato: 09/01/2013, 1:20 
Avatar utente

Iscritto il: 18/02/2009, 0:24
Messaggi: 3909
Località: Asciano (Siena)
Nome: Andrea Petrioli
Tra i numerosi stafilinidi ottenuti dalla vagliatura dell'uscita Pisana, questo è stato per me il più abbondante.

Si riesce ad arrivare alla specie?

Se occorre posso inviare la foto dell'edeago

Lunghezza dell'esemplare: quasi 9 mm.



staf1rid.jpg


_________________
:hi:
______
Andrea


Top
profilo
 Oggetto del messaggio: Re: Staphylinidae
MessaggioInviato: 09/01/2013, 7:28 
Avatar utente

Iscritto il: 09/11/2009, 14:12
Messaggi: 5196
Località: Hradec Kralove,Czech republik
Nome: Jan Matějíček
Leptobium gracile (Gravenhorst, 1802) - Staphylinidae - Peederinae


Leptobium gracile (Gravenhorst, 1802).jpg

Leptobium gracile (Gravenhorst, 1802).jpg


_________________
Research Fields
Taxonomy, ecology, biomonitoring , faunistic of Staphylinidae
Top
profilo
MessaggioInviato: 09/01/2013, 12:06 
Avatar utente

Iscritto il: 18/02/2009, 0:24
Messaggi: 3909
Località: Asciano (Siena)
Nome: Andrea Petrioli
Grazie Jan :birra:

E' proprio lui, l'edeago corrisponde perfettamente :hp:

_________________
:hi:
______
Andrea


Top
profilo
Visualizza ultimi messaggi:  Ordina per  
nuovo argomento
rispondi
Pagina 1 di 1 [ 3 messaggi ]

Tutti gli orari sono UTC + 1 ora [ ora legale ]


Chi c’è in linea

Visitano il forum: Nessuno e 2 ospiti


Non puoi aprire nuovi argomenti
Non puoi rispondere negli argomenti
Non puoi modificare i tuoi messaggi
Non puoi cancellare i tuoi messaggi
Non puoi inviare allegati

Cerca per:
Vai a: