Benvenuto Ospite

Forum Entomologi Italiani

www.entomologiitaliani.net/forum
 
Oggi è 19/11/2025, 16:32

Tutti gli orari sono UTC + 1 ora [ ora legale ]

Phloeopora sp. - Staphylinidae Aleocharinae Oxypodini

2.I.2013 - ITALIA - Lazio - RM, Bosco di Manziana


nuovo argomento
rispondi
Pagina 1 di 1 [ 5 messaggi ]
Autore Messaggio
MessaggioInviato: 30/01/2013, 0:46 
Avatar utente

Iscritto il: 30/12/2009, 22:20
Messaggi: 31564
Località: Roma
Nome: Maurizio Gigli
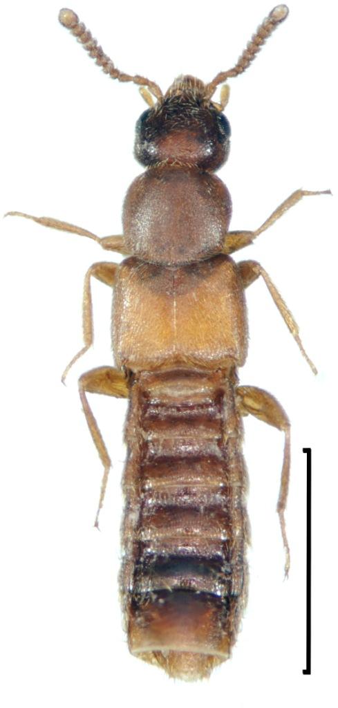
Sempre della serie di subcorticicoli di Manziana.

Lazio, Roma, Bosco di Manziana, sotto corteccia di quercia, 2.I.2013, M. Gigli legit

2,7 mm
Staphylinidae_Manziana_2-I-2013_2,7mm_grey.jpg


_________________
Maurizio Gigli
http://utenti.romascuola.net/bups
http://bup.xoom.it/


Top
profilo
MessaggioInviato: 06/02/2013, 9:18 
 

Iscritto il: 02/11/2010, 22:33
Messaggi: 990
Nome: Aleksei Kovalev
Phloeopora sp. (Aleocharinae: Oxypodini)


Top
profilo
MessaggioInviato: 06/02/2013, 11:36 
Avatar utente

Iscritto il: 09/11/2009, 14:12
Messaggi: 5147
Località: Hradec Kralove,Czech republik
Nome: Jan Matějíček
Non ho visto questo link :oops:

in Italia
Phloeopora Erichson, 1837

Phloeopora angustiformis Baudi, 1869 (N, S, Sa)
Phloeopora concolor (Kraatz, 1856) (N)
Phloeopora scribae (Eppelsheim, 1884) (N)
Phloeopora teres (Gravenhorst, 1802) (N, S, Si, Sa)
Phloeopora testacea (Mannerheim, 1831) (N, S, Si, Sa)


Ho una foto di soli questo species


Phloeopora testacea (Mannerheim, 1831)
Phloeopora testacea (Mannerheim, 1831).jpg

Phloeopora teres (Gravenhorst, 1802)
Phloeopora teres (Gravenhorst, 1802).jpg

Phloeopora concolor (Kraatz, 1856)
Phloeopora concolor (Kraatz, 1856).jpg


_________________
Research Fields
Taxonomy, ecology, biomonitoring , faunistic of Staphylinidae
Top
profilo
MessaggioInviato: 06/02/2013, 17:37 
Avatar utente

Iscritto il: 30/12/2009, 22:20
Messaggi: 31564
Località: Roma
Nome: Maurizio Gigli
Potrebbe essere una Phloeopora teres un po' più scura del tuo esemplare?

Grazie a entrambi.

_________________
Maurizio Gigli
http://utenti.romascuola.net/bups
http://bup.xoom.it/


Top
profilo
MessaggioInviato: 06/02/2013, 20:17 
Avatar utente

Iscritto il: 09/11/2009, 14:12
Messaggi: 5147
Località: Hradec Kralove,Czech republik
Nome: Jan Matějíček
http://www.coleo-net.de/coleo/texte/phloeopora.htm

Penso che sia possibile
(dettaglio foto Phloeopora teres (Gravenhorst, 1802))


Phloeopora teres (Gravenhorst, 1802)
Phloeopora teres (Gravenhorst, 1802) - Kopie.jpg

Phloeopora teres (Gravenhorst, 1802)
Phloeopora teres (Gravenhorst, 1802).jpg


_________________
Research Fields
Taxonomy, ecology, biomonitoring , faunistic of Staphylinidae
Top
profilo
Visualizza ultimi messaggi:  Ordina per  
nuovo argomento
rispondi
Pagina 1 di 1 [ 5 messaggi ]

Tutti gli orari sono UTC + 1 ora [ ora legale ]


Chi c’è in linea

Visitano il forum: Nessuno e 4 ospiti


Non puoi aprire nuovi argomenti
Non puoi rispondere negli argomenti
Non puoi modificare i tuoi messaggi
Non puoi cancellare i tuoi messaggi
Non puoi inviare allegati

Cerca per:
Vai a: