Benvenuto Ospite

Forum Entomologi Italiani

www.entomologiitaliani.net/forum
 
Oggi è 24/12/2025, 20:34

Tutti gli orari sono UTC + 1 ora [ ora legale ]

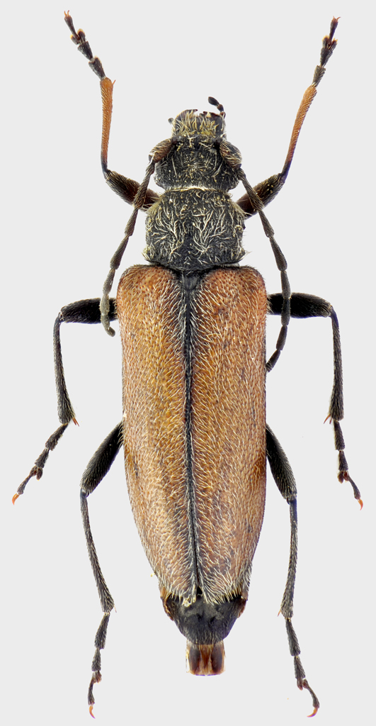
Cortodera umbripennis Reitter, 1890 - Cerambycidae

8.VI.2013 - TURCHIA - EE, Ardahan Prov. - 3 km SW of Göle - m 2100-2200


nuovo argomento
rispondi
Pagina 1 di 1 [ 6 messaggi ]
Autore Messaggio
MessaggioInviato: 31/07/2013, 19:05 
Avatar utente

Iscritto il: 25/11/2009, 9:31
Messaggi: 8157
Località: Lecce
Nome: Maurizio Bollino
Di Cerambycidae ne capisco pochissimo, men che meno di specie turche. Nonostante ciò questi due esemplari mi sembrano conspecifici, raccolti su Ranunculus. La percentuale di esemplari neri era di poco più del 10%.


Cortodera-3.jpg


Cortodera-2.jpg


_________________
Maurizio Bollino


Top
profilo
 Oggetto del messaggio: Re: Cortodera sp. - Cerambycidae
MessaggioInviato: 01/08/2013, 15:19 
Avatar utente

Iscritto il: 21/05/2009, 14:59
Messaggi: 6994
Località: Parigi
Nome: Riccardo Poloni
Posso solo azzardare con vergogna che assomiglia al gruppo della steineri :oops:

_________________
Riccardo Poloni
La dignità degli elementi
la libertà della poesia,
al di là dei tradimenti degli uomini
è magia, è magia, è magia...
Negrita, Rotolando verso sud


Top
profilo
 Oggetto del messaggio: Re: Cortodera sp. - Cerambycidae
MessaggioInviato: 01/08/2013, 16:43 
 

Iscritto il: 13/09/2009, 18:04
Messaggi: 881
Nome: Pierpaolo Rapuzzi
Ciao Maurizio,
sono entrambe Cortodera umbripennis. La forma a elitre chiare e quella ad elitre nere. Questa specie, assieme ad alcune altre, si sviluppano a spese dell'apparato radicale di Ranunculus.
Pierpaolo


Top
profilo
 Oggetto del messaggio: Re: Cortodera sp. - Cerambycidae
MessaggioInviato: 01/08/2013, 16:49 
Avatar utente

Iscritto il: 21/05/2009, 14:59
Messaggi: 6994
Località: Parigi
Nome: Riccardo Poloni
:no1: :no1:

_________________
Riccardo Poloni
La dignità degli elementi
la libertà della poesia,
al di là dei tradimenti degli uomini
è magia, è magia, è magia...
Negrita, Rotolando verso sud


Top
profilo
 Oggetto del messaggio: Re: Cortodera sp. - Cerambycidae
MessaggioInviato: 01/08/2013, 18:46 
Avatar utente

Iscritto il: 25/11/2009, 9:31
Messaggi: 8157
Località: Lecce
Nome: Maurizio Bollino
Caro Pierpaolo, grazie per l'identificazione.

_________________
Maurizio Bollino


Top
profilo
 Oggetto del messaggio: Re: Cortodera sp. - Cerambycidae
MessaggioInviato: 01/08/2013, 18:56 
Avatar utente

Iscritto il: 05/08/2009, 18:02
Messaggi: 2264
Nome: Marcello Benelli
Xylosteus ha scritto:
Ciao Maurizio,
sono entrambe Cortodera umbripennis. La forma a elitre chiare e quella ad elitre nere. Questa specie, assieme ad alcune altre, si sviluppano a spese dell'apparato radicale di Ranunculus.
Pierpaolo


Lo avevo pensato anche io, ma sono troppo insicuro in materia di cortodera per esprimermi attivamente! Se non altro stavolta l'avevo imbroccata :twisted:

_________________
Marci
"S'i fosse fuoco, arderei 'l mondo,
S'i fosse vento, lo tempesterei,
S'i fosse acqua, i' l'annegherei
s'i fosse dio, mandereil' en profondo" ( Cecco Angiolieri).


Top
profilo
Visualizza ultimi messaggi:  Ordina per  
nuovo argomento
rispondi
Pagina 1 di 1 [ 6 messaggi ]

Tutti gli orari sono UTC + 1 ora [ ora legale ]


Chi c’è in linea

Visitano il forum: Nessuno e 1 ospite


Non puoi aprire nuovi argomenti
Non puoi rispondere negli argomenti
Non puoi modificare i tuoi messaggi
Non puoi cancellare i tuoi messaggi
Non puoi inviare allegati

Cerca per:
Vai a: