Benvenuto Ospite

Forum Entomologi Italiani

www.entomologiitaliani.net/forum
 
Oggi è 16/04/2026, 12:10

Tutti gli orari sono UTC + 1 ora [ ora legale ]

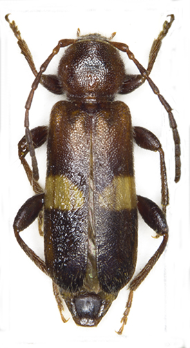
Poecilium fasciatum (Villers, 1789) Dettagli della specie

15.V.1999 - ITALIA - Umbria - PG, Nei pressi di M. Alago


nuovo argomento
rispondi
Pagina 1 di 1 [ 10 messaggi ]
Autore Messaggio
MessaggioInviato: 06/09/2013, 20:54 
 

Iscritto il: 23/07/2011, 16:51
Messaggi: 398
Nome: MARIO LUNA
Si chiede conferma.

Catturato con sfalcio, su piccoli cespugli.
In collezione alcuni esemplari anche di altre sp. datati non di recente, manifestano un'untuosità che a volte si estende su tutta la superfice del corpo, compreso le elitre, un esempio è questo postato, cercherò in qualche modo di porvi rimedio.
Alcuni tentativi di prova, non hanno avuto l'esito desiderato.

:hi: :hi:
Mario


.Poecilium fasc.,- ..jpg

Top
profilo
MessaggioInviato: 06/09/2013, 21:00 
Avatar utente

Iscritto il: 01/11/2010, 21:21
Messaggi: 2111
Località: Brescia
Nome: Mario Grottolo
E' un problema per molti esemplari anche di altri generi: prova ad usare uno sgrassatore.
Ciao
Mario


Top
profilo
MessaggioInviato: 06/09/2013, 21:04 
Avatar utente

Iscritto il: 30/12/2009, 22:20
Messaggi: 31564
Località: Roma
Nome: Maurizio Gigli
Tienilo qualche ora in acetone, poi lo metti ad asciugare tra due fogli di carta igienica, uno sotto ed uno sopra, in modo che la carta assorba l'acetone estraendo anche le sostanze grasse. Noterai un netto miglioramento. Anche le specie pubescenti tornano quasi come in origine.
Il più delle volte non serve nemmeno staccarli dal cartellino.

_________________
Maurizio Gigli
http://utenti.romascuola.net/bups
http://bup.xoom.it/


Top
profilo
MessaggioInviato: 06/09/2013, 21:20 
 

Iscritto il: 23/07/2011, 16:51
Messaggi: 398
Nome: MARIO LUNA
Grazie a Mario, e Maurizio per le pronte risposte, il problema e che dovrò rimettere ordine nella collezione ci sono altri problemucci da risolvere altre l'untuosità, qualche ex. è attaccato da filamenti sottili biancastri, credo si tratti di muffe, :x meglio non pensare.
Per la determinazione? Nessuno consiglio? C'è qualcuno che mi può correggere il titolo Poecilium fasciatum un altro errore di battitura. :x

:hi: :hi:
Mario


Top
profilo
MessaggioInviato: 06/09/2013, 22:01 
Avatar utente

Iscritto il: 30/12/2009, 22:20
Messaggi: 31564
Località: Roma
Nome: Maurizio Gigli
Questo te lo posso confermare anche io.

Per le muffe la pulizia è più difficile. Io solito li metto per un po' in alcool al 70% e poi li pulisco con pennellino e pinzette.

_________________
Maurizio Gigli
http://utenti.romascuola.net/bups
http://bup.xoom.it/


Top
profilo
MessaggioInviato: 06/09/2013, 22:15 
 

Iscritto il: 23/07/2011, 16:51
Messaggi: 398
Nome: MARIO LUNA
Grazie Maurizio per la conferma.
Per la ripulitura dalle muffe quindi, mi aspetta un arduo lavoro, speravo in qualche scappatoia :cry:.

:hi: :hi:
Mario


Top
profilo
MessaggioInviato: 06/09/2013, 22:23 
Avatar utente

Iscritto il: 30/12/2009, 22:20
Messaggi: 31564
Località: Roma
Nome: Maurizio Gigli
Purtroppo non abbiamo ancora trovato un sistema valido. Io ho provato di tutto: acqua, etanolo, acetone, benzina, etere, aceto, ammoniaca, candeggina, acido cloridrico, da soli o combinati, ma il massimo che ho ottenuto è stato di rammollirle e renderle elastiche (almeno, però, muoiono e smettono di crescere). Ma poi bisogna sempre ricorrere all'azione meccanica. Non ho ancora provato la bollitura.
Le peggiori sono le ife lucide e nerastre, veramente tenaci, Quelle bianche sono in genere meno resistenti.
C'è anche da stare attenti al fatto che le muffe digeriscono i tessuti interni, per cui è facile che pulendoli si stacchi qualche pezzo.

_________________
Maurizio Gigli
http://utenti.romascuola.net/bups
http://bup.xoom.it/


Top
profilo
MessaggioInviato: 07/09/2013, 15:24 
 

Iscritto il: 23/07/2011, 16:51
Messaggi: 398
Nome: MARIO LUNA
Grazie ancora Maurizio, per avermi illustrato tutti i vari tentativi che hai fatto, ancor più mi rendo conto che
mi devo armare di pazienza, pennellino e pinzette.
Trascuravo una domanda molto importante: a capo dei filamenti bianchi ci sono piccoli rigonfiamenti per dare un esempio rassomigliano moltissimo, una volta visti ad elevati ingrandimenti al fiore del tarassaco.
Sono sicuramente gli sporangi, difatti basta urtarli con uno spillo entomologico e si assiste ad una vera esplosione, rilasciando nell'aria una sottile nebbiolina (le spore), tutto ciò sempre mentre si osserva allo stereomicroscopio.
Tornando alla domanda: non sono pericolose per noi che possiamo inevitabilmente ispirarle mentre si fa la ripulitura?
Non si parla tanto bene delle spore delle muffe, in genere!

:hi: :hi:
Mario


Top
profilo
MessaggioInviato: 07/09/2013, 21:13 
Avatar utente

Iscritto il: 30/12/2009, 22:20
Messaggi: 31564
Località: Roma
Nome: Maurizio Gigli
MARIO LUNA ha scritto:
Tornando alla domanda: non sono pericolose per noi che possiamo inevitabilmente ispirarle mentre si fa la ripulitura?
Non si parla tanto bene delle spore delle muffe, in genere!

:hi: :hi:
Mario

L'unica cosa che posso dirti è che io sono ancora qui. Però non garantisco che siano innocue, anche se queste muffe si nutrono di tessuti morti, per cui non dovrebbero attaccare organismi vivi. C'è comunque la possibilità che contengano qualche sostanza tossica, quindi meglio evitare di inalarle.
Ma se immergi l'insetto in un liquido, alcool o altro, il problema si risolve, perchè non possono più disperdersi.

_________________
Maurizio Gigli
http://utenti.romascuola.net/bups
http://bup.xoom.it/


Top
profilo
MessaggioInviato: 07/09/2013, 21:49 
 

Iscritto il: 23/07/2011, 16:51
Messaggi: 398
Nome: MARIO LUNA
Grazie Maurizio, che mi hai risposto e in un certo senso anche rassicurato, meglio comunque adottare sempre un po' di precauzioni nell'affrontare la già noiosa fase di restauro.

:hi: :hi:
Mario


Top
profilo
Visualizza ultimi messaggi:  Ordina per  
nuovo argomento
rispondi
Pagina 1 di 1 [ 10 messaggi ]

Tutti gli orari sono UTC + 1 ora [ ora legale ]


Chi c’è in linea

Visitano il forum: Nessuno e 11 ospiti


Non puoi aprire nuovi argomenti
Non puoi rispondere negli argomenti
Non puoi modificare i tuoi messaggi
Non puoi cancellare i tuoi messaggi
Non puoi inviare allegati

Cerca per:
Vai a: