Benvenuto Ospite

Forum Entomologi Italiani

www.entomologiitaliani.net/forum
 
Oggi è 23/11/2025, 3:00

Tutti gli orari sono UTC + 1 ora [ ora legale ]

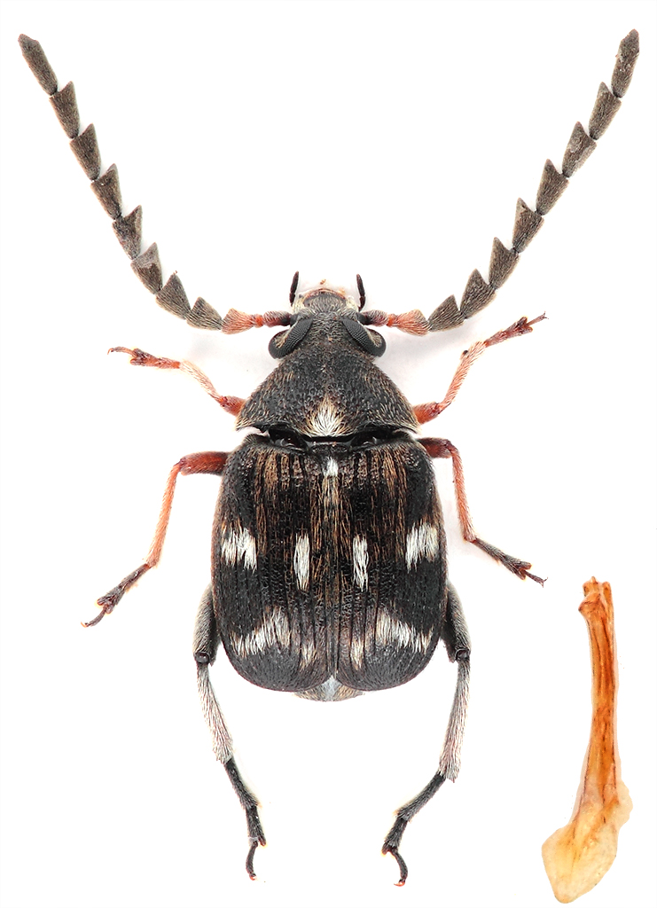
Bruchidius meleagrinus (Gené, 1839) (cf.) - Bruchidae

12.III.2014 - ITALIA - Toscana - LI, Portoferraio (LI) - Loc. Acquaviva


nuovo argomento
rispondi
Pagina 1 di 1 [ 6 messaggi ]
Autore Messaggio
MessaggioInviato: 19/03/2014, 11:25 
Avatar utente

Iscritto il: 17/02/2009, 0:05
Messaggi: 8521
Località: Isola d'Elba - Arcipelago Toscano
Nome: Leonardo Forbicioni
A Voi non piacciono :gh: .....ma io mi diverto un sacco a fotografarli ed alcuni li trovo anche parecchio fotogenici!! :P :P
Sperando che passi da queste parti il buon Lech :lov2: e che possa confermare la mia determinazione! ;)

Bruchidius-meleagrinus-UP.jpg

Bruchidius-meleagrinus-lateral.jpg

Bruchidius-meleagrinus-lateral-crop.jpg


_________________
"Stay hungry, stay foolish".
Steve Jobs, 2005
___________________
jjuniper8(at)gmail.com
Twitter: @weevil_forbix
cell. 339/5275910
___________________


Top
profilo
MessaggioInviato: 19/03/2014, 11:44 
Avatar utente

Iscritto il: 04/02/2009, 17:49
Messaggi: 5513
Località: Cagliari
Nome: Daniele Sechi
Che foto! :o

_________________
:hi:
Daniele


Top
profilo
MessaggioInviato: 19/03/2014, 11:59 
Avatar utente

Iscritto il: 22/05/2009, 21:00
Messaggi: 2777
Località: Pergine Valsugana (TN)
Nome: Andrea Carlin
:birra: "QUOTO" DANIELE!!! :birra:

:ok: BELLISSIME FOTO!!!! Complimenti Leonardo!!!! :ok:

:hi: :hi: :hi:

_________________
Andrea Carlin, Pergine Valsugana (TN) carlin.andrea(AT)gmail.com

Nota: tutti gli esemplari inseriti nelle discussioni aperte da me sono da ritenere "Andrea Carlin legit" se non diversamente specificato.


Top
profilo
MessaggioInviato: 21/03/2014, 20:16 
 

Iscritto il: 10/07/2010, 14:42
Messaggi: 4798
Nome: Giuseppe Pace
Andrea Pergine ha scritto:
Bruchidius meleagrinus (Gené, 1839) (cf.) - Bruchidae

Sembrerebbe lui.

Le dimensioni dovrebbero essere inferiori ai tre millimetri.

Se più grande potrebbe essere il jocosus.

Giuseppe


Top
profilo
MessaggioInviato: 21/03/2014, 20:29 
Avatar utente

Iscritto il: 08/02/2010, 23:01
Messaggi: 6172
Località: Vicenza
Nome: Silvano Biondi
Complimenti per le foto, Leonardo: riesci a far sembrare bello anche un Bruchidae :lol:

:hi:

_________________



Silvano


Top
profilo
MessaggioInviato: 22/03/2014, 9:47 
Avatar utente

Iscritto il: 17/02/2009, 0:05
Messaggi: 8521
Località: Isola d'Elba - Arcipelago Toscano
Nome: Leonardo Forbicioni
Grazie a tutti per gli interventi sul post del mio "tonchio"! :lol: :lol:

giuseppe55 ha scritto:
Le dimensioni dovrebbero essere inferiori ai tre millimetri. Se più grande potrebbe essere il jocosus.


Ora non posso controllare, ma appena torno a casa, misuro! :ok: :ok:
In effetti anche gli edeagi delle due specie si "assomigliano", ma avevo escluso il jocosus, perchè ne ho altri determinati in collezione, con una colorazione decisamente diversa. :roll: Ovvero molto meno "neri"! :?
Comunque "in serata" vedrò di controllare meglio. :ok:

_________________
"Stay hungry, stay foolish".
Steve Jobs, 2005
___________________
jjuniper8(at)gmail.com
Twitter: @weevil_forbix
cell. 339/5275910
___________________


Top
profilo
Visualizza ultimi messaggi:  Ordina per  
nuovo argomento
rispondi
Pagina 1 di 1 [ 6 messaggi ]

Tutti gli orari sono UTC + 1 ora [ ora legale ]


Chi c’è in linea

Visitano il forum: Nessuno e 2 ospiti


Non puoi aprire nuovi argomenti
Non puoi rispondere negli argomenti
Non puoi modificare i tuoi messaggi
Non puoi cancellare i tuoi messaggi
Non puoi inviare allegati

Cerca per:
Vai a: