Benvenuto Ospite

Forum Entomologi Italiani

www.entomologiitaliani.net/forum
 
Oggi è 29/04/2026, 18:58

Tutti gli orari sono UTC + 1 ora [ ora legale ]

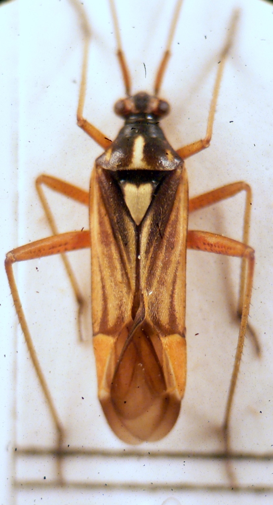
Miris striatus (Linnaeus, 1758) (forma chiara) - Miridae



nuovo argomento
rispondi
Pagina 1 di 1 [ 2 messaggi ]
Autore Messaggio
MessaggioInviato: 24/02/2010, 11:16 
Avatar utente

Iscritto il: 11/11/2009, 20:54
Messaggi: 4857
Località: Pesaro
Nome: Marco Paglialunga
...sempre lui?
Pesaro V-95
9 mm


P1020109.JPG

P1020110.JPG


_________________
O voi ch'avete li 'ntelletti sani, mirate la dottrina che s'asconde sotto 'l velame de li versi strani
(InfeRRno - canto IX - vv. 61-63)
Top
profilo
 Oggetto del messaggio: Re: Miris striatus (Linnaeus, 1758)?
MessaggioInviato: 24/02/2010, 20:40 
Avatar utente

Iscritto il: 05/02/2009, 17:36
Messaggi: 780
Nome: Attilio Carapezza
Forma chiara di Miris striatus (Linnaeus, 1758). Complimenti per la perfetta preparazione di questo esemplare! I Miridae in particolare, ma anche altre famiglie di Eterotteri, andrebbero preparati sempre così, con le antenne ben 'stirate' in avanti in modo da potere misurare facilmente la lunghezza dei diversi articoli.


Top
profilo
Visualizza ultimi messaggi:  Ordina per  
nuovo argomento
rispondi
Pagina 1 di 1 [ 2 messaggi ]

Tutti gli orari sono UTC + 1 ora [ ora legale ]


Chi c’è in linea

Visitano il forum: Nessuno e 0 ospiti


Non puoi aprire nuovi argomenti
Non puoi rispondere negli argomenti
Non puoi modificare i tuoi messaggi
Non puoi cancellare i tuoi messaggi
Non puoi inviare allegati

Cerca per:
Vai a: