Benvenuto Ospite

Forum Entomologi Italiani

www.entomologiitaliani.net/forum
 
Oggi è 30/04/2026, 15:59

Tutti gli orari sono UTC + 1 ora [ ora legale ]

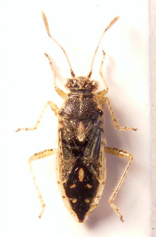
Brachycarenus tigrinus (Schilling 1829) - Rhopalidae

17.VII.2014 - ITALIA - Sardegna - CA, Sinnai, loc. Bau Arrexini


nuovo argomento
rispondi
Pagina 1 di 1 [ 3 messaggi ]
Autore Messaggio
MessaggioInviato: 29/07/2014, 8:37 
Avatar utente

Iscritto il: 01/11/2009, 9:51
Messaggi: 2332
Nome: Andrea Rattu
Raccolto a sfalcio da mio fratello Roberto alias Fumea crassiorella. Misura 6 mm. Brachycarenus tigrinus (Schilling 1829)? Grazie a tutti.


2.jpg

1.jpg


_________________
Se gettassi su di un piatto della bilancia tutto ciò che ho imparato a comprendere in quelle ore di meditazione di fronte all'acquario, e sull'altro tutto ciò che ho ricavato dai libri, come rimarrebbe leggero il secondo!
Konrad Lorenz
Top
profilo
 Oggetto del messaggio: Re: Rhopalide 1 da ID
MessaggioInviato: 30/07/2014, 13:16 
Avatar utente

Iscritto il: 05/02/2009, 17:36
Messaggi: 781
Nome: Attilio Carapezza
Confermo: Brachycarenus tigrinus (Schilling 1829) - Rhopalidae


Top
profilo
MessaggioInviato: 30/07/2014, 17:04 
Avatar utente

Iscritto il: 01/11/2009, 9:51
Messaggi: 2332
Nome: Andrea Rattu
Urrah! Grazie Attilio :hp: .

_________________
Se gettassi su di un piatto della bilancia tutto ciò che ho imparato a comprendere in quelle ore di meditazione di fronte all'acquario, e sull'altro tutto ciò che ho ricavato dai libri, come rimarrebbe leggero il secondo!
Konrad Lorenz


Top
profilo
Visualizza ultimi messaggi:  Ordina per  
nuovo argomento
rispondi
Pagina 1 di 1 [ 3 messaggi ]

Tutti gli orari sono UTC + 1 ora [ ora legale ]


Chi c’è in linea

Visitano il forum: Nessuno e 0 ospiti


Non puoi aprire nuovi argomenti
Non puoi rispondere negli argomenti
Non puoi modificare i tuoi messaggi
Non puoi cancellare i tuoi messaggi
Non puoi inviare allegati

Cerca per:
Vai a: