| Autore |
Messaggio |
|
Uncle Adam
|
Inviato: 14/07/2014, 2:10 |
|
Iscritto il: 17/11/2010, 4:40 Messaggi: 269 Località: POLSKA - Warszawa
Nome: Adam Woźniak
|
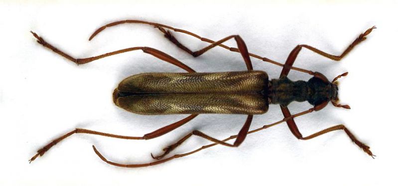
Good morning everyone! Today I would like to show you a very interesting and not commonly seen species: Leptorhabdium caucasicum KRAATZ, 1879. The illustrated specimen was shaken from the blooming hawthorn. Leptorhabdium caucasicumGeorgia, near Tbilisi 10 V 2014, leg., det. A. Woźniak & D. Hofmański
Leptorhabdium caucasicum_male

|
|
|
| Top |
|
 |
|
Entomarci
|
Inviato: 14/07/2014, 7:30 |
|
Iscritto il: 05/08/2009, 18:02 Messaggi: 2264
Nome: Marcello Benelli
|
|
Very interesting! Did you collected it around 18:30 pm as for other species of this gender?
_________________ Marci "S'i fosse fuoco, arderei 'l mondo, S'i fosse vento, lo tempesterei, S'i fosse acqua, i' l'annegherei s'i fosse dio, mandereil' en profondo" ( Cecco Angiolieri).
|
|
| Top |
|
 |
|
Uncle Adam
|
Inviato: 28/07/2014, 23:05 |
|
Iscritto il: 17/11/2010, 4:40 Messaggi: 269 Località: POLSKA - Warszawa
Nome: Adam Woźniak
|
I do not know, Marci! The other members of the genus Leptoprhabdium not yet met. This species I collected only once, after the rain, about hours of 15:00 - 16:00. 
|
|
| Top |
|
 |
|
Entomarci
|
Inviato: 01/08/2014, 21:23 |
|
Iscritto il: 05/08/2009, 18:02 Messaggi: 2264
Nome: Marcello Benelli
|
your findings after the storm could be explained as an adult slammed down from a tree by wind and rain. I collected nitidum, as i wrote, after 18:30, and i can assure you that before this hour beetles weren't! They were probably in the forest, hidden in trees. Anyway according to Miroshnikov leptorhabdium caucasicum is a beetle use to be in activity around 18-20:00 of afternoon, so it is possible to think caucasicum and nitidum should have the same biology, unlike illyricum that should be active during daylight hours! Maybe we need more relics to establish well the biology of the genera... 
_________________ Marci "S'i fosse fuoco, arderei 'l mondo, S'i fosse vento, lo tempesterei, S'i fosse acqua, i' l'annegherei s'i fosse dio, mandereil' en profondo" ( Cecco Angiolieri).
|
|
| Top |
|
 |
|
Uncle Adam
|
Inviato: 03/08/2014, 12:49 |
|
Iscritto il: 17/11/2010, 4:40 Messaggi: 269 Località: POLSKA - Warszawa
Nome: Adam Woźniak
|
Dear Marci! Specimens have collected along with Darek Hofmańskim (4 exx.) sitting on flowers and leaves of hawthorns. They were quiet, because it was the rain. They were not active because the weather was bad. In any case, all the specimens were hawthorns, although they were not seen. Certainly a need for further observations habits of the genus Leptorhabdium. 
|
|
| Top |
|
 |
|
Entomarci
|
Inviato: 04/08/2014, 8:08 |
|
Iscritto il: 05/08/2009, 18:02 Messaggi: 2264
Nome: Marcello Benelli
|
Uncle Adam ha scritto: Dear Marci! Specimens have collected along with Darek Hofmańskim (4 exx.) sitting on flowers and leaves of hawthorns. They were quiet, because it was the rain. They were not active because the weather was bad. In any case, all the specimens were hawthorns, although they were not seen. Certainly a need for further observations habits of the genus Leptorhabdium.  My next target is to find illyricum cause it is more spreaded in Balcans than nitidum, so i suppose i can try to find it in Galicica, a locality where it have been found many times from many entomologist... but maybe we are just in 2016 because next year i'm preparing a trip in Cyprus!!! 
_________________ Marci "S'i fosse fuoco, arderei 'l mondo, S'i fosse vento, lo tempesterei, S'i fosse acqua, i' l'annegherei s'i fosse dio, mandereil' en profondo" ( Cecco Angiolieri).
|
|
| Top |
|
 |
|
Uncle Adam
|
Inviato: 04/08/2014, 12:05 |
|
Iscritto il: 17/11/2010, 4:40 Messaggi: 269 Località: POLSKA - Warszawa
Nome: Adam Woźniak
|
In Cyprus rather not find Leptorhabdium spp. In 2015 I am going to Greece, probably in the Peloponnese. When I'm there, then I shall pay particular attention to Illyricum L. and L. nitidum. 
|
|
| Top |
|
 |
|
Entomarci
|
Inviato: 04/08/2014, 14:43 |
|
Iscritto il: 05/08/2009, 18:02 Messaggi: 2264
Nome: Marcello Benelli
|
Uncle Adam ha scritto: In Cyprus rather not find Leptorhabdium spp. In 2015 I am going to Greece, probably in the Peloponnese. When I'm there, then I shall pay particular attention to Illyricum L. and L. nitidum.  Not in peloponnese them...just in continental greece!!
_________________ Marci "S'i fosse fuoco, arderei 'l mondo, S'i fosse vento, lo tempesterei, S'i fosse acqua, i' l'annegherei s'i fosse dio, mandereil' en profondo" ( Cecco Angiolieri).
|
|
| Top |
|
 |
|
Uncle Adam
|
Inviato: 05/08/2014, 14:46 |
|
Iscritto il: 17/11/2010, 4:40 Messaggi: 269 Località: POLSKA - Warszawa
Nome: Adam Woźniak
|
I know Marci, I know. North Greece: L. illyricum - near Meteora, L. nitidum - near Metsovo. But look for these species in other parts of Greece, in the new positions!
|
|
| Top |
|
 |
|
Entomarci
|
Inviato: 05/08/2014, 18:11 |
|
Iscritto il: 05/08/2009, 18:02 Messaggi: 2264
Nome: Marcello Benelli
|
|
Im sure they should be spreaded all along the central mountainous axis of continental greece...just look for woodlands with fagus and abies...but i know you just know it...!!! The real problem is weather...in greece more rain than i supposed...
_________________ Marci "S'i fosse fuoco, arderei 'l mondo, S'i fosse vento, lo tempesterei, S'i fosse acqua, i' l'annegherei s'i fosse dio, mandereil' en profondo" ( Cecco Angiolieri).
|
|
| Top |
|
 |
|