Benvenuto Ospite

Forum Entomologi Italiani

www.entomologiitaliani.net/forum
 
Oggi è 17/04/2026, 18:40

Tutti gli orari sono UTC + 1 ora [ ora legale ]

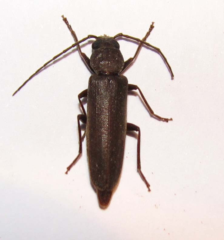
Arhopalus syriacus (Reitter, 1895) (cf.) - Cerambycidae

15.VIII.2014 - ITALIA - Toscana - GR, Montieri


nuovo argomento
rispondi
Pagina 1 di 1 [ 7 messaggi ]
Autore Messaggio
MessaggioInviato: 22/08/2014, 20:44 
 

Iscritto il: 17/05/2014, 20:49
Messaggi: 375
Località: Prato
Nome: Daniele Totis
Ho visto giusto ?

In cella pupale su piccolo pinus sp. morto ma in piedi.
Lungh. circa 2,2 cm.

Grazie.


Arhopalus syriacus.jpg

Top
profilo
 Oggetto del messaggio: Re: Arhopalus syriacus ??
MessaggioInviato: 22/08/2014, 22:44 
Avatar utente

Iscritto il: 21/05/2009, 14:59
Messaggi: 6995
Località: Parigi
Nome: Riccardo Poloni
A occhiometro-usta direi syriacus, ma controlla questo carattere: tarsi anteriori bilobati fino alla base nel caso del syriacus/rusticus, ma quest'ultimo lo escluderei. Se non sono bilobati fino alla base è il ferus.

_________________
Riccardo Poloni
La dignità degli elementi
la libertà della poesia,
al di là dei tradimenti degli uomini
è magia, è magia, è magia...
Negrita, Rotolando verso sud


Top
profilo
 Oggetto del messaggio: Re: Arhopalus syriacus ??
MessaggioInviato: 24/08/2014, 15:27 
 

Iscritto il: 17/05/2014, 20:49
Messaggi: 375
Località: Prato
Nome: Daniele Totis
Ciao,
guardando anche le discussioni precedenti riguardo il syriacus e ciò che aveva detto Sama e guardando altre foto direi che i tarsi anteriori sono bilobati fino alla base. La difficoltà distinguere se è rusticus o syriacus.


Top
profilo
 Oggetto del messaggio: Re: Arhopalus syriacus ??
MessaggioInviato: 24/08/2014, 16:14 
Avatar utente

Iscritto il: 21/05/2010, 23:05
Messaggi: 2984
Località: San Godenzo (FI)
Nome: Carlo Massarone
A questo punto:

* apice elitrale "angoloso", a volte con una piccola spina; occhi pubescenti (peli sparsi tra gli ommatidi) ..... rusticus;
* apice elitrale arrotondato; occhi glabri ......................................................................................... syriacus.

_________________
Carlo Massarone


Top
profilo
 Oggetto del messaggio: Re: Arhopalus syriacus ??
MessaggioInviato: 24/08/2014, 19:04 
Avatar utente

Iscritto il: 21/05/2009, 14:59
Messaggi: 6995
Località: Parigi
Nome: Riccardo Poloni
Io escluderei il rusticus, lì proprio non è il suo ambiente secondo me.

_________________
Riccardo Poloni
La dignità degli elementi
la libertà della poesia,
al di là dei tradimenti degli uomini
è magia, è magia, è magia...
Negrita, Rotolando verso sud


Top
profilo
 Oggetto del messaggio: Re: Arhopalus syriacus ??
MessaggioInviato: 24/08/2014, 19:39 
Avatar utente

Iscritto il: 21/05/2010, 23:05
Messaggi: 2984
Località: San Godenzo (FI)
Nome: Carlo Massarone
Montieri é a circa 700 metri di altezza. Tempo fa io l'ho trovato qui da me che é molto piú basso.
Non lo escluderei a priori....

_________________
Carlo Massarone


Top
profilo
 Oggetto del messaggio: Re: Arhopalus syriacus ??
MessaggioInviato: 25/08/2014, 9:26 
Avatar utente

Iscritto il: 21/05/2009, 14:59
Messaggi: 6995
Località: Parigi
Nome: Riccardo Poloni
Dunque, sì, io lo avevo escluso perchè l'ho visto di posti di montagna o alta collina e non vicino al mare. Quindi vedendo Grosseto mi era già venuto il dubbio. Il carattere degli occhi comunque fugherà ogni dubbio.

_________________
Riccardo Poloni
La dignità degli elementi
la libertà della poesia,
al di là dei tradimenti degli uomini
è magia, è magia, è magia...
Negrita, Rotolando verso sud


Top
profilo
Visualizza ultimi messaggi:  Ordina per  
nuovo argomento
rispondi
Pagina 1 di 1 [ 7 messaggi ]

Tutti gli orari sono UTC + 1 ora [ ora legale ]


Chi c’è in linea

Visitano il forum: Nessuno e 2 ospiti


Non puoi aprire nuovi argomenti
Non puoi rispondere negli argomenti
Non puoi modificare i tuoi messaggi
Non puoi cancellare i tuoi messaggi
Non puoi inviare allegati

Cerca per:
Vai a: