Benvenuto Ospite

Forum Entomologi Italiani

www.entomologiitaliani.net/forum
 
Oggi è 31/03/2026, 23:13

Tutti gli orari sono UTC + 1 ora [ ora legale ]

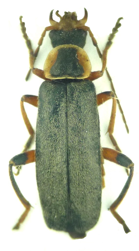
Cantharis (Cantharis) nigricans (O. F. Müller, 1776) - Cantharidae

27.VII.2014 - ITALIA - Trentino-Alto Adige - TN, Val San Nicolò, 1800 m slm


nuovo argomento
rispondi
Pagina 1 di 1 [ 3 messaggi ]
Autore Messaggio
MessaggioInviato: 28/08/2014, 18:00 
Avatar utente

Iscritto il: 21/02/2011, 15:25
Messaggi: 3879
Località: Montecchio Emilia (RE)
Nome: Violi Michele
Non ricordo con precisione come abbia trovato questo, probabilmente su ombrellifera o su Achillea.
11 mm


P1500894.jpg


_________________
Michele :D
Top
profilo
 Oggetto del messaggio: Re: Cantharidae #4
MessaggioInviato: 28/08/2014, 19:14 
 
Cantharis (Cantharis) nigricans (O. F. Müller, 1776)


Top
 Oggetto del messaggio: Re: Cantharidae #4
MessaggioInviato: 28/08/2014, 20:05 
Avatar utente

Iscritto il: 21/02/2011, 15:25
Messaggi: 3879
Località: Montecchio Emilia (RE)
Nome: Violi Michele
Grazie :ok:

_________________
Michele :D


Top
profilo
Visualizza ultimi messaggi:  Ordina per  
nuovo argomento
rispondi
Pagina 1 di 1 [ 3 messaggi ]

Tutti gli orari sono UTC + 1 ora [ ora legale ]


Chi c’è in linea

Visitano il forum: Nessuno e 1 ospite


Non puoi aprire nuovi argomenti
Non puoi rispondere negli argomenti
Non puoi modificare i tuoi messaggi
Non puoi cancellare i tuoi messaggi
Non puoi inviare allegati

Cerca per:
Vai a: