Benvenuto Ospite

Forum Entomologi Italiani

www.entomologiitaliani.net/forum
 
Oggi è 25/12/2025, 18:33

Tutti gli orari sono UTC + 1 ora [ ora legale ]

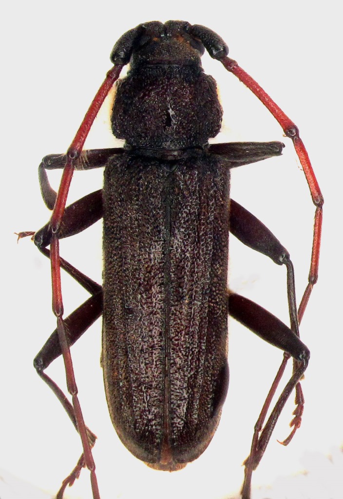
Stromatium barbatum (Fabricius, 1775) - Cerambycidae

15.VIII.2012 - PAKISTAN - EE, Muzaffarabad, leg. G.Sabatinelli


nuovo argomento
rispondi
Pagina 1 di 1 [ 4 messaggi ]
Autore Messaggio
MessaggioInviato: 26/09/2014, 8:51 
Avatar utente

Iscritto il: 28/08/2009, 13:45
Messaggi: 1947
Località: Ginevra, Svizzera
Nome: Guido Sabatinelli
Presento qualche Cerambicide catturato alla luce in Kashmir.
Lunghezza 6 cm.
Pakistan 100.JPG



Pakistan 069.JPG


_________________
Guido Sabatinelli
Museo di storia naturale, Ginevra, Svizzera
http://www.glaphyridae.com
http://www.scarabeidi.it
Top
profilo
 Oggetto del messaggio: Re: Cerambicidae - Pakistan
MessaggioInviato: 26/09/2014, 9:17 
 

Iscritto il: 13/09/2009, 18:04
Messaggi: 881
Nome: Pierpaolo Rapuzzi
Ciao Guido,
questo è uno Stromatium barbatum.
Un caro saluto,
Pierpaolo


Top
profilo
 Oggetto del messaggio: Re: Cerambicidae - Pakistan
MessaggioInviato: 26/09/2014, 9:24 
Avatar utente

Iscritto il: 28/08/2009, 13:45
Messaggi: 1947
Località: Ginevra, Svizzera
Nome: Guido Sabatinelli
Xylosteus ha scritto:
Ciao Guido,
questo è uno Stromatium barbatum.
Un caro saluto, Pierpaolo
Grazie! Dunque diffusissimo nelle piangagioni di tek. I prossimi giorni presentero' altre specie spero piu' interessanti. Ciao, Guido


Top
profilo
 Oggetto del messaggio: Re: Cerambicidae - Pakistan
MessaggioInviato: 06/10/2014, 6:54 
Avatar utente

Iscritto il: 28/08/2009, 13:45
Messaggi: 1947
Località: Ginevra, Svizzera
Nome: Guido Sabatinelli
Per favore rinominare il post. Grazie


Top
profilo
Visualizza ultimi messaggi:  Ordina per  
nuovo argomento
rispondi
Pagina 1 di 1 [ 4 messaggi ]

Tutti gli orari sono UTC + 1 ora [ ora legale ]


Chi c’è in linea

Visitano il forum: Nessuno e 3 ospiti


Non puoi aprire nuovi argomenti
Non puoi rispondere negli argomenti
Non puoi modificare i tuoi messaggi
Non puoi cancellare i tuoi messaggi
Non puoi inviare allegati

Cerca per:
Vai a: