Benvenuto Ospite

Forum Entomologi Italiani

www.entomologiitaliani.net/forum
 
Oggi è 31/12/2025, 6:41

Tutti gli orari sono UTC + 1 ora [ ora legale ]

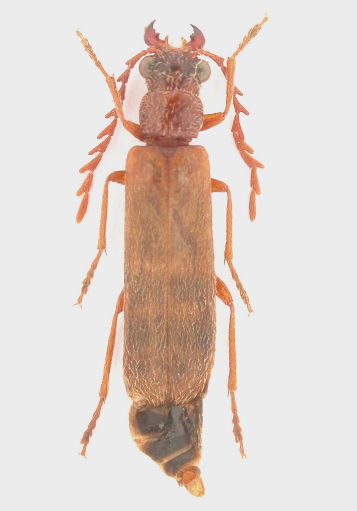
Emmita serricornis (Escalera, 1913) - Dascillidae

27.V.2013 - MAROCCO - EE, Souss-Massa-Draâ, Tiznit, Arbaa Ait Ahmed


nuovo argomento
rispondi
Pagina 1 di 1 [ 3 messaggi ]
Autore Messaggio
MessaggioInviato: 15/10/2014, 12:57 
Avatar utente

Iscritto il: 02/09/2009, 20:57
Messaggi: 8703
Località: Cagliari
Nome: Roberto Rattu
Questa specie mancava ancora nella galleria del forum: Emmita serricornis è un endemita del Marocco, noto di varie località soprattutto delle province di Marrakech-Tensift-El Haouz, Souss-Massa-Draâ e Guelmim-Es Semara. Se non mi sono perso novità credo che la specie sia nota del solo sesso maschile.
L'esemplare misura 11 mm

DSCN8135.JPG



Top
profilo
MessaggioInviato: 15/10/2014, 14:32 
Avatar utente

Iscritto il: 30/12/2009, 22:20
Messaggi: 31564
Località: Roma
Nome: Maurizio Gigli
Non sembra nemmeno un Dascillidae!

_________________
Maurizio Gigli
http://utenti.romascuola.net/bups
http://bup.xoom.it/


Top
profilo
MessaggioInviato: 15/10/2014, 14:40 
Avatar utente

Iscritto il: 05/02/2009, 17:47
Messaggi: 7252
Località: Cagliari
Nome: Piero Leo
Julodis ha scritto:
Non sembra nemmeno un Dascillidae!
In effetti fino a non molti anni fa veniva considerato un Drilidae.

:) Ciao
Piero


Top
profilo
Visualizza ultimi messaggi:  Ordina per  
nuovo argomento
rispondi
Pagina 1 di 1 [ 3 messaggi ]

Tutti gli orari sono UTC + 1 ora [ ora legale ]


Chi c’è in linea

Visitano il forum: Nessuno e 0 ospiti


Non puoi aprire nuovi argomenti
Non puoi rispondere negli argomenti
Non puoi modificare i tuoi messaggi
Non puoi cancellare i tuoi messaggi
Non puoi inviare allegati

Cerca per:
Vai a:  
cron