Benvenuto Ospite

Forum Entomologi Italiani

www.entomologiitaliani.net/forum
 
Oggi è 23/01/2026, 15:15

Tutti gli orari sono UTC + 1 ora [ ora legale ]

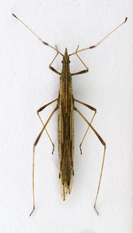
Berytinus (s. str.) hirticornis (Brullé, 1835). Sasso Marconi (BO)

15.III.2010 - ITALIA - Emilia-Romagna - BO, Sasso Marconi - Palazzo Rossi


nuovo argomento
rispondi
Pagina 1 di 1 [ 3 messaggi ]
Autore Messaggio
MessaggioInviato: 18/03/2010, 0:06 
Avatar utente

Iscritto il: 05/02/2009, 17:25
Messaggi: 4894
Località: Zola Predosa (BO)
Nome: Loris Colacurcio
...non è tra i più esili, ma sicuramente lo possiamo definire filiforme :gh: ...è sempre un Beytinus ?

Raccolto battendo alcuni ciuffi di graminacee secche sul pendio di alcune collinette.

Sasso Marconi (BO) - Palazzo Rossi, 15.III.2010
Lunghezza: 8 mm.circa
Heterottero fiino2.JPG


_________________
Loris


Top
profilo
MessaggioInviato: 19/03/2010, 2:17 
Avatar utente

Iscritto il: 05/02/2009, 17:36
Messaggi: 780
Nome: Attilio Carapezza
Malgrado la fotografia non sia ben a fuoco, mi sembra di scorgere, soprattutto sulle antenne, dei peli eretti perpendicolari. Se quanto ho scritto risponde al vero, si tratta di Berytinus (s. str.) hirticornis (Brullé, 1835).
Ci sono, comunque, Eterotteri ancora più filiformi!


Top
profilo
MessaggioInviato: 19/03/2010, 11:03 
Avatar utente

Iscritto il: 05/02/2009, 17:25
Messaggi: 4894
Località: Zola Predosa (BO)
Nome: Loris Colacurcio
..confermo la presenza dei peletti eretti, con l'occasione porgo i miei più sentiti ringraziamenti "cumulativi" per le tue determinazioni. :birra:

Sono a conoscenza di heterotteri molto più filiformi e ne ho pure trovati....spero di poterli raccogliere nuovamente anche quest'anno e condividerli con voi !
:hi:

_________________
Loris


Top
profilo
Visualizza ultimi messaggi:  Ordina per  
nuovo argomento
rispondi
Pagina 1 di 1 [ 3 messaggi ]

Tutti gli orari sono UTC + 1 ora [ ora legale ]


Chi c’è in linea

Visitano il forum: Nessuno e 2 ospiti


Non puoi aprire nuovi argomenti
Non puoi rispondere negli argomenti
Non puoi modificare i tuoi messaggi
Non puoi cancellare i tuoi messaggi
Non puoi inviare allegati

Cerca per:
Vai a: