Benvenuto Ospite

Forum Entomologi Italiani

www.entomologiitaliani.net/forum
 
Oggi è 30/03/2026, 9:41

Tutti gli orari sono UTC + 1 ora [ ora legale ]

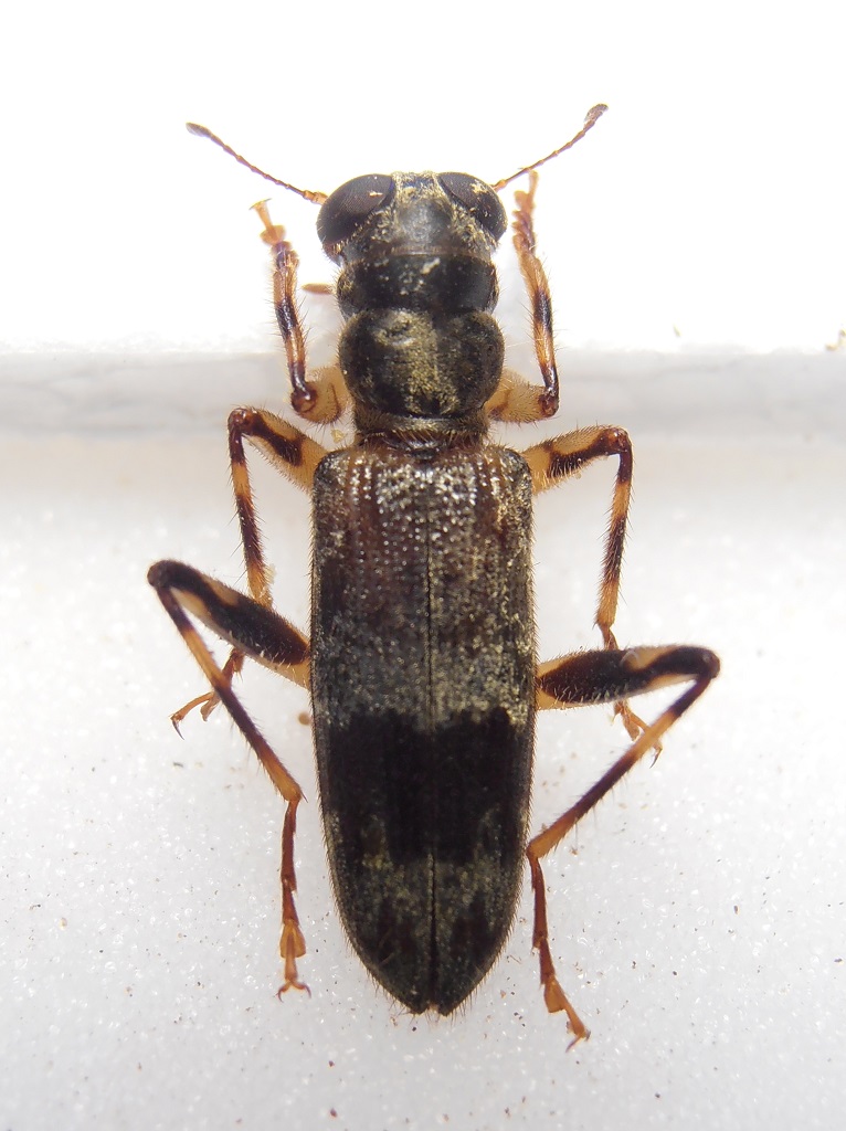
Omadius sp. - Cleridae

27.XII.2014 - INDONESIA - EST - EE, Tatui, Yapen island, Papua


nuovo argomento
rispondi
Pagina 1 di 1 [ 5 messaggi ]
Autore Messaggio
 Oggetto del messaggio: Omadius sp. - Cleridae
MessaggioInviato: 08/03/2015, 17:54 
Avatar utente

Iscritto il: 06/11/2011, 23:59
Messaggi: 1134
Località: Casola Valsenio
Nome: Carlo Arrigo Casadio
Quando li ho visti li ho scambiati per dei Cicindelidi da tanto erano veloci a correre e volare, poi ho pensato ai Cleridi.
Stavano sui tronchi a terra o secchi in piedi (in questo caso sempre a testa in giù) in cerca di prede.
Difficili da prendere a mano e molto mordaci!

Lunghezza 16,45 mm
Cleride 1.jpg



Cleride 4.jpg

Con la macchina automatica la messa a fuoco è sempre una scommessa
Cleride 2.jpg


_________________
Carlo Arrigo

"Solo un entomologo può capire il piacere da me provato nel cacciare per ore in qua e in là, sotto il sole cocente, tra i rami e i ramoscelli e la corteccia degli alberi caduti"
Alfred Russel Wallace
Top
profilo
 Oggetto del messaggio: Re: Cleride Papua
MessaggioInviato: 08/03/2015, 19:17 
Avatar utente

Iscritto il: 22/12/2009, 13:31
Messaggi: 9646
Località: Napoli
Nome: Francesco Izzillo
Non ho la più pallida idea di cosa sia ma è moooolto bello! :o

_________________
Francesco Izzillo


Top
profilo
 Oggetto del messaggio: Re: Cleride Papua
MessaggioInviato: 08/03/2015, 20:10 
Avatar utente

Iscritto il: 06/02/2009, 9:07
Messaggi: 1500
Località: Val Camonica (BS)
Nome: Davide Pedersoli
sembrano cugini degli Opilo sp. :roll:

_________________
Pedux Camuno


Top
profilo
 Oggetto del messaggio: Re: Cleride Papua
MessaggioInviato: 08/03/2015, 23:05 
Avatar utente

Iscritto il: 18/06/2009, 16:54
Messaggi: 1093
Località: Casalecchio di Reno (BO)
Nome: Iuri Zappi
Omadius sp.
Veramente molto bello e interessante!

_________________
:hi: :hi: :hi:
Iuri


Top
profilo
 Oggetto del messaggio: Re: Cleride Papua
MessaggioInviato: 09/03/2015, 15:20 
 

Iscritto il: 08/12/2013, 1:52
Messaggi: 7683
Località: Bagnacavallo (RA)
Nome: Giorgio Pezzi
Enoplium ha scritto:
Omadius sp.
Veramente molto bello e interessante!

Come dire... :p :p :p
:lol: :lol: :lol:


Top
profilo
Visualizza ultimi messaggi:  Ordina per  
nuovo argomento
rispondi
Pagina 1 di 1 [ 5 messaggi ]

Tutti gli orari sono UTC + 1 ora [ ora legale ]


Chi c’è in linea

Visitano il forum: Nessuno e 1 ospite


Non puoi aprire nuovi argomenti
Non puoi rispondere negli argomenti
Non puoi modificare i tuoi messaggi
Non puoi cancellare i tuoi messaggi
Non puoi inviare allegati

Cerca per:
Vai a:  
cron