Benvenuto Ospite

Forum Entomologi Italiani

www.entomologiitaliani.net/forum
 
Oggi è 23/03/2026, 10:47

Tutti gli orari sono UTC + 1 ora [ ora legale ]

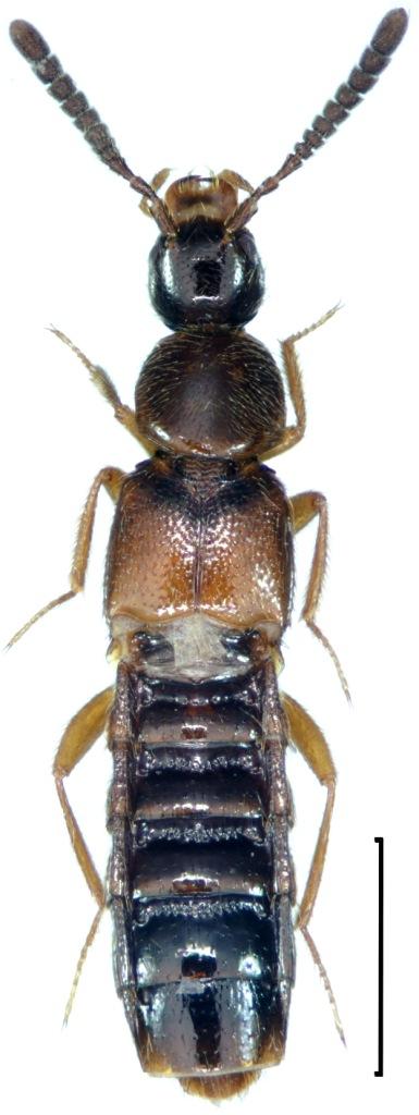
Amarochara sp. - Staphylinidae Aleocharinae

17.III.2015 - ITALIA - Abruzzo - PE, Micarone, Catignano, 160m


nuovo argomento
rispondi
Pagina 1 di 1 [ 12 messaggi ]
Autore Messaggio
MessaggioInviato: 17/04/2015, 12:42 
Avatar utente

Iscritto il: 23/06/2010, 19:05
Messaggi: 2588
Località: Pescara
Nome: Alessio Morelli
Stesso posto, stessa sottofamiglia, cambia solo la specie. Immagino qualcosa come Ilyobates sp. :roll: .
Premetto che ho visto e scaricato questo meraviglioso file di Jan, ma voglio sentire comunque il vostro parere in merito, visto che le mie determinazioni non sono affidabili come le vostre :gh:.

Raccolto in pozze temporanee (che a lungo andare, anche per il leggero strato di alghe che si era creato, erano diventate delle vere e proprie trappole naturali per insetti).

4mm
Aleocharinae 1.jpg


Aleocharinae 1 palpi.JPG


Aleocharinae 1 pubescenza.JPG


Aleocharinae 1 pubescenza pronoto.JPG


Aleocharinae 1 genitali.JPG


Aleocharinae 1 e.JPG



Top
profilo
MessaggioInviato: 17/04/2015, 13:40 
Avatar utente

Iscritto il: 09/11/2009, 14:12
Messaggi: 5196
Località: Hradec Kralove,Czech republik
Nome: Jan Matějíček
Assing, V. 1999.A revision of Ilyobates Kraatz, 1856 (Coleoptera Staphylinidae, Aleocharinae, Oxypodini). - Beitr. Ent. Berlin 49 295-342.

http://www.uschovna.cz/zasilka/ELIWA24R ... 4JX8DM7Y3K

sei sicuro Ilyobates ?

:hi:


Bez názvu.jpg


_________________
Research Fields
Taxonomy, ecology, biomonitoring , faunistic of Staphylinidae
Top
profilo
MessaggioInviato: 17/04/2015, 16:37 
 

Iscritto il: 02/11/2010, 22:33
Messaggi: 991
Nome: Aleksei Kovalev
This is not Ilyobates... maybe Calodera? :?
:hi:


Top
profilo
MessaggioInviato: 17/04/2015, 17:21 
Avatar utente

Iscritto il: 23/06/2010, 19:05
Messaggi: 2588
Località: Pescara
Nome: Alessio Morelli
Honza ha scritto:
sei sicuro Ilyobates ?

No, non più :oops:
AetherisIgnis ha scritto:
This is not Ilyobates... maybe Calodera?

...or Amarochara, Tachyusa, etc :26 :gh:


:birra:


Top
profilo
MessaggioInviato: 17/04/2015, 17:47 
 

Iscritto il: 02/11/2010, 22:33
Messaggi: 991
Nome: Aleksei Kovalev
Alessio, this is clearly in Oxypodini (not Tachyusini). If Amarochara, what species is it? :oops: A. forticornis is not similar to your specimen and other species of Amarochara are much smaller.
Do you have this book? http://www.beck-shop.de/Harde-Lohse-Fre ... uct=498865


Top
profilo
MessaggioInviato: 17/04/2015, 18:20 
Avatar utente

Iscritto il: 09/11/2009, 14:12
Messaggi: 5196
Località: Hradec Kralove,Czech republik
Nome: Jan Matějíček
Amarochara - Italia

Amarochara bonnairei (Fauvel, 1865) (S)
Amarochara crassicornis Quedenfeldt, 1882 (Si)
Amarochara cribripennis Mulsant & Rey, 1874 (Sa)
Amarochara forticornis (Lacordaire, 1835) (N, S, Si, Sa)
Amarochara umbrosa (Erichson, 1837) (N, S, Si)


In questa zona, solo due specie


Amarochara umbrosa (Erichson, 1837)
Amarochara umbrosa (Erichson, 1837).jpg

Amarochara forticornis (Lacordaire, 1835)
Amarochara forticornis (Lacordaire, 1835).jpg


_________________
Research Fields
Taxonomy, ecology, biomonitoring , faunistic of Staphylinidae


Ultima modifica di Honza il 17/04/2015, 18:48, modificato 1 volta in totale.
Top
profilo
MessaggioInviato: 17/04/2015, 18:46 
Avatar utente

Iscritto il: 23/06/2010, 19:05
Messaggi: 2588
Località: Pescara
Nome: Alessio Morelli
AetherisIgnis ha scritto:
Alessio, this is clearly in Oxypodini (not Tachyusini). If Amarochara, what species is it? A. forticornis is not similar to your specimen and other species of Amarochara are much smaller.
Do you have this book? http://www.beck-shop.de/Harde-Lohse-Fre ... uct=498865

I thought that we "pulled at guessing" :oops: :oops: :oops: . Are genres that seem to me all the same, I forgot that also you are a expert.
I don't know absolutely the genus Amarochara. :ses

No, I haven't that book.

:hi:


Top
profilo
MessaggioInviato: 17/04/2015, 18:52 
Avatar utente

Iscritto il: 09/11/2009, 14:12
Messaggi: 5196
Località: Hradec Kralove,Czech republik
Nome: Jan Matějíček
Harde / Lohse / Freude
Die Käfer Mitteleuropas, Bd. 5: Staphylinidae II


http://www.uschovna.cz/zasilka/EL743I8E ... 7BCAM8WHGW

_________________
Research Fields
Taxonomy, ecology, biomonitoring , faunistic of Staphylinidae


Top
profilo
MessaggioInviato: 17/04/2015, 19:28 
 

Iscritto il: 02/11/2010, 22:33
Messaggi: 991
Nome: Aleksei Kovalev
in addition :)
http://rghost.ru/8QXLfvp8T
http://rghost.ru/7WQkNYcJw
http://rghost.ru/7MwVs4mmp
:hi:


Top
profilo
MessaggioInviato: 18/04/2015, 20:36 
Avatar utente

Iscritto il: 23/06/2010, 19:05
Messaggi: 2588
Località: Pescara
Nome: Alessio Morelli
Honza ha scritto:
Harde / Lohse / Freude
Die Käfer Mitteleuropas, Bd. 5: Staphylinidae II
http://www.uschovna.cz/zasilka/EL743I8E ... 7BCAM8WHGW


AetherisIgnis ha scritto:


Grazie veramente di tutto :lov2: :lov2: , non so quando avrò il tempo di leggerli.
Certo che i numeri di "Die Käfer Mitteleuropas" sono tanti! :o

Comunque per me sembra molto simile a Amarochara forticornis :oops: :oops: :oops: , sia per la descrizione (in Die Käfer Mitteleuropas, Bd. 5: Staphylinidae II) che per la foto di Jan.
Proverò a tradurre meglio la chiave in tedesco :ok: .

:hi: :hi:


Top
profilo
MessaggioInviato: 22/04/2015, 16:00 
 

Iscritto il: 02/11/2010, 22:33
Messaggi: 991
Nome: Aleksei Kovalev
Yes, you're right! :ok: This is Amarochara (Mniobates)! but A. forticornis I've seen are "brighter colored" and I'm not sure this is the same species :?
:hi:


Top
profilo
MessaggioInviato: 22/04/2015, 17:52 
Avatar utente

Iscritto il: 23/06/2010, 19:05
Messaggi: 2588
Località: Pescara
Nome: Alessio Morelli
Altre foto...
Amarochara elitre.jpg


Amarochara - addome.jpg



Top
profilo
Visualizza ultimi messaggi:  Ordina per  
nuovo argomento
rispondi
Pagina 1 di 1 [ 12 messaggi ]

Tutti gli orari sono UTC + 1 ora [ ora legale ]


Chi c’è in linea

Visitano il forum: Nessuno e 1 ospite


Non puoi aprire nuovi argomenti
Non puoi rispondere negli argomenti
Non puoi modificare i tuoi messaggi
Non puoi cancellare i tuoi messaggi
Non puoi inviare allegati

Cerca per:
Vai a: