Benvenuto Ospite

Forum Entomologi Italiani

www.entomologiitaliani.net/forum
 
Oggi è 18/02/2026, 21:15

Tutti gli orari sono UTC + 1 ora [ ora legale ]

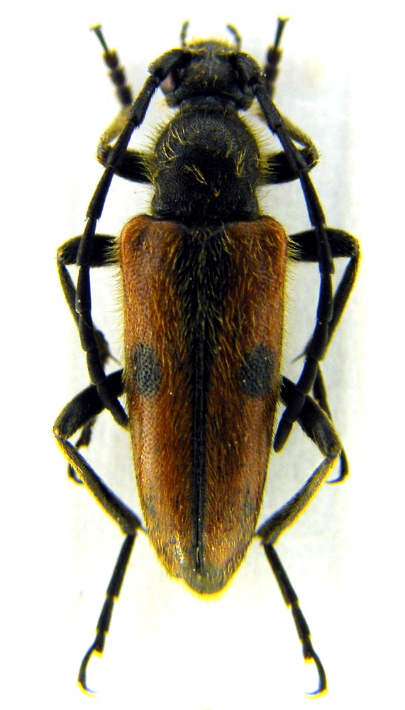
Vadonia unipunctata unipunctata (Fabricius, 1787) - Cerambycidae

9.V.2012 - GRECIA - EE, Ahaia - Kalogria


nuovo argomento
rispondi
Pagina 1 di 1 [ 10 messaggi ]
Autore Messaggio
MessaggioInviato: 07/01/2013, 19:27 
Avatar utente

Iscritto il: 22/12/2009, 13:31
Messaggi: 9646
Località: Napoli
Nome: Francesco Izzillo
Vorrei una eventuale conferma per quanto possibile. 20 mm.


Unico insetto visto in una intera mattinata (che non fosse un Criside)
DSCF3423.JPG


_________________
Francesco Izzillo
Top
profilo
MessaggioInviato: 08/01/2013, 0:31 
 

Iscritto il: 13/09/2009, 18:04
Messaggi: 882
Nome: Pierpaolo Rapuzzi
Ciao Francesco,
mi pare di vedere al l'apice della tibia posteriore destra due spine. Se così fosse si tratta di Vadonia unipunctata. Vadonia dojranensis ha al l'apice delle tibie posteriori del maschio una spina sola.
Pierpaolo


Top
profilo
MessaggioInviato: 08/01/2013, 9:10 
Avatar utente

Iscritto il: 22/12/2009, 13:31
Messaggi: 9646
Località: Napoli
Nome: Francesco Izzillo
Xylosteus ha scritto:
Ciao Francesco,
mi pare di vedere al l'apice della tibia posteriore destra due spine. Se così fosse si tratta di Vadonia unipunctata. Vadonia dojranensis ha al l'apice delle tibie posteriori del maschio una spina sola.
Pierpaolo


Grazie Pierpaolo, hai visto bene: due spine, quindi: Vadonia unipunctata. Ciao.

_________________
Francesco Izzillo


Top
profilo
MessaggioInviato: 08/01/2013, 9:19 
Avatar utente

Iscritto il: 26/03/2010, 14:55
Messaggi: 5989
Località: Romania
Nome: Cosmin-Ovidiu Manci
f.izzillo ha scritto:
Xylosteus ha scritto:
Ciao Francesco,
mi pare di vedere al l'apice della tibia posteriore destra due spine. Se così fosse si tratta di Vadonia unipunctata. Vadonia dojranensis ha al l'apice delle tibie posteriori del maschio una spina sola.
Pierpaolo


Grazie Pierpaolo, hai visto bene: due spine, quindi: Vadonia unipunctata. Ciao.


e piu bene estrarla.

:hi:

_________________
Cosmin-Ovidiu Manci
**********************
cosmln's place - my blog
just insects
Dragonflies of Romania


Top
profilo
MessaggioInviato: 08/01/2013, 14:01 
Avatar utente

Iscritto il: 22/12/2009, 13:31
Messaggi: 9646
Località: Napoli
Nome: Francesco Izzillo
Mi pare che Pierpaolo abbai detto una parola definitiva, se qualcuno che può rinomina...
In quanto all'estrazione...ma per chi mi avete preso! Pervertiti!!! :lol1: :gh:

_________________
Francesco Izzillo


Top
profilo
MessaggioInviato: 08/01/2013, 14:12 
Avatar utente

Iscritto il: 17/02/2009, 0:05
Messaggi: 8524
Località: Isola d'Elba - Arcipelago Toscano
Nome: Leonardo Forbicioni
f.izzillo ha scritto:
Mi pare che Pierpaolo abbai detto una parola definitiva, se qualcuno che può rinomina..

Ogni tuo desiderio...... :ok: :ok:

P.S. - Ho un paio di Coccinelle dell'Azerbaijan....tra qualche giorno le posto! ;)

_________________
"Stay hungry, stay foolish".
Steve Jobs, 2005
___________________
jjuniper8(at)gmail.com
Twitter: @weevil_forbix
cell. 339/5275910
___________________


Top
profilo
MessaggioInviato: 08/01/2013, 14:13 
Avatar utente

Iscritto il: 22/12/2009, 13:31
Messaggi: 9646
Località: Napoli
Nome: Francesco Izzillo
FORBIX ha scritto:
f.izzillo ha scritto:
Mi pare che Pierpaolo abbai detto una parola definitiva, se qualcuno che può rinomina..

Ogni tuo desiderio...... :ok: :ok:

P.S. - Ho un paio di Coccinelle dell'Azerbaijan....tra qualche giorno le posto! ;)

Grazie, troppo buono! Ma le coccinelle... :cry:

_________________
Francesco Izzillo


Top
profilo
MessaggioInviato: 04/03/2015, 21:51 
Avatar utente

Iscritto il: 22/12/2009, 13:31
Messaggi: 9646
Località: Napoli
Nome: Francesco Izzillo
Rivedendo questo post mi sorge il dubbio che questo esemplare (a guardare la provenienza) vada iscritto alla ssp makedonica; chiedo lumi a chi può. :hi:

_________________
Francesco Izzillo


Top
profilo
MessaggioInviato: 21/05/2015, 9:16 
 
Vadonia unipunctata ikariaensis Danilevsky & Vartanis 2015,This year I'm going to the island of Ikaria, in the case of interest will be cuts in exchange.


V.unipunctat ikariaensis Danielvsky&Vartanis 2015
V.unip.ikariaensis.jpg

Top
MessaggioInviato: 06/06/2016, 7:57 
 
A new kind Vadonia samosensis Vartanis 2016 I described this year comes from the island of Samos-Greece. :hp:


Vadonia samosensis Vartanis 2016.pdf [250.4 KiB]
Scaricato 110 volte
Top
Visualizza ultimi messaggi:  Ordina per  
nuovo argomento
rispondi
Pagina 1 di 1 [ 10 messaggi ]

Tutti gli orari sono UTC + 1 ora [ ora legale ]


Chi c’è in linea

Visitano il forum: Nessuno e 2 ospiti


Non puoi aprire nuovi argomenti
Non puoi rispondere negli argomenti
Non puoi modificare i tuoi messaggi
Non puoi cancellare i tuoi messaggi
Non puoi inviare allegati

Cerca per:
Vai a: