Benvenuto Ospite

Forum Entomologi Italiani

www.entomologiitaliani.net/forum
 
Oggi è 20/11/2025, 16:03

Tutti gli orari sono UTC + 1 ora [ ora legale ]

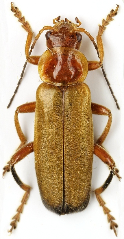
Cantharis (Cantharis) livida Linnaeus, 1758 - Cantharidae

30.V.2011 - ITALIA - Sicilia - ME, Parco dei Nebrodi


nuovo argomento
rispondi
Pagina 1 di 1 [ 3 messaggi ]
Autore Messaggio
MessaggioInviato: 26/06/2015, 21:35 
 

Iscritto il: 25/03/2015, 15:12
Messaggi: 167
Località: Czech Rep.
Nome: Frantisek Houska
This is the 3rd and my last species from Sicilia, size 13.5 mm!
:hi:


IMG_3100.JPG

Top
profilo
 Oggetto del messaggio: Re: Cantharis sp.
MessaggioInviato: 26/06/2015, 22:23 
 
of the shape of prothorax and the size can only be C. livida


Top
 Oggetto del messaggio: Re: Cantharis sp.
MessaggioInviato: 26/06/2015, 22:40 
 

Iscritto il: 25/03/2015, 15:12
Messaggi: 167
Località: Czech Rep.
Nome: Frantisek Houska
:no1:
OK, thank you once more, Fabrizio.


Top
profilo
Visualizza ultimi messaggi:  Ordina per  
nuovo argomento
rispondi
Pagina 1 di 1 [ 3 messaggi ]

Tutti gli orari sono UTC + 1 ora [ ora legale ]


Chi c’è in linea

Visitano il forum: Nessuno e 0 ospiti


Non puoi aprire nuovi argomenti
Non puoi rispondere negli argomenti
Non puoi modificare i tuoi messaggi
Non puoi cancellare i tuoi messaggi
Non puoi inviare allegati

Cerca per:
Vai a: