Benvenuto Ospite

Forum Entomologi Italiani

www.entomologiitaliani.net/forum
 
Oggi è 23/01/2026, 22:44

Tutti gli orari sono UTC + 1 ora [ ora legale ]

Pristaulacus galitae (Gribodo, 1879) - Aulacidae

14.VIII.2015 - MALTA - EE, isola di Malta, Buskett Garden, R. Rattu leg.


nuovo argomento
rispondi
Pagina 1 di 1 [ 4 messaggi ]
Autore Messaggio
MessaggioInviato: 18/07/2015, 8:13 
Avatar utente

Iscritto il: 02/09/2009, 20:57
Messaggi: 8703
Località: Cagliari
Nome: Roberto Rattu
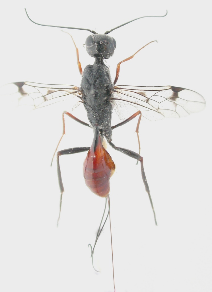
Esemplare lungo 10 mm, mi è sfarfallato da legna di lentisco:

DSCN0363.jpg



Top
profilo
 Oggetto del messaggio: Re: Ichneumomidae da id.
MessaggioInviato: 18/07/2015, 9:18 
Avatar utente

Iscritto il: 17/02/2009, 0:05
Messaggi: 8521
Località: Isola d'Elba - Arcipelago Toscano
Nome: Leonardo Forbicioni
Direi Aulacidae. Mi ricorda un Pristaulacus.....prova a dare un'occhiata al mio:
http://www.entomologiitaliani.net/public/forum/phpBB3/viewtopic.php?f=23&t=9861
;)

_________________
"Stay hungry, stay foolish".
Steve Jobs, 2005
___________________
jjuniper8(at)gmail.com
Twitter: @weevil_forbix
cell. 339/5275910
___________________


Top
profilo
 Oggetto del messaggio: Re: Ichneumomidae da id.
MessaggioInviato: 18/07/2015, 9:28 
Avatar utente

Iscritto il: 02/09/2009, 20:57
Messaggi: 8703
Località: Cagliari
Nome: Roberto Rattu
Ciao Leo, grazie del suggerimento, direi che ci siamo :ok: . Da quello che leggo nel post linkato sembra una famiglia e un genere interessante.

:hi:


Top
profilo
MessaggioInviato: 30/08/2019, 14:14 
Avatar utente

Iscritto il: 02/09/2009, 20:57
Messaggi: 8703
Località: Cagliari
Nome: Roberto Rattu
G. F. Turrisi lo ha determinato come Pristaulacus galitae; una breve nota su questo reperto è scaricabile qui.
:hi:


Top
profilo
Visualizza ultimi messaggi:  Ordina per  
nuovo argomento
rispondi
Pagina 1 di 1 [ 4 messaggi ]

Tutti gli orari sono UTC + 1 ora [ ora legale ]


Chi c’è in linea

Visitano il forum: Nessuno e 0 ospiti


Non puoi aprire nuovi argomenti
Non puoi rispondere negli argomenti
Non puoi modificare i tuoi messaggi
Non puoi cancellare i tuoi messaggi
Non puoi inviare allegati

Cerca per:
Vai a: