Benvenuto Ospite

Forum Entomologi Italiani

www.entomologiitaliani.net/forum
 
Oggi è 28/02/2026, 23:42

Tutti gli orari sono UTC + 1 ora [ ora legale ]

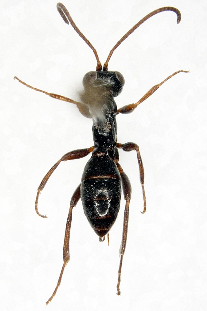
Gelis sp., femmina attera. Ichneumonidae, Cryptinae



nuovo argomento
rispondi
Pagina 1 di 1 [ 4 messaggi ]
Autore Messaggio
MessaggioInviato: 19/05/2009, 14:26 
Avatar utente

Iscritto il: 02/02/2009, 23:32
Messaggi: 5645
Località: da Ferrara ad Alghero
Nome: Roberto A. Pantaleoni
Gli Icneumonidi atteri sono i miei preferiti. Ma penso ci sia poco da fare con le determinazioni (e con le conoscenze sulla loro biologia) :( :cry: :( !

Torralba; 16-VII-1994; ombrello; vigneto; 4-5 mm
Torralba_16-VII-1994_ombrello_vigneto.jpg


Torralba_16-VII-1994_ombrello_vigneto_4-5mm.jpg




Roberto :to:

_________________
verum stabile cetera fumus


Top
profilo
 Oggetto del messaggio: Re: Icneumonide attero
MessaggioInviato: 19/05/2009, 16:34 
Amministratore
Avatar utente

Iscritto il: 02/02/2009, 23:30
Messaggi: 7105
Località: Capaci (Pa)
Nome: Marcello Romano
A mio avviso si tratta di un Ichneumonidae della sottofamiglia Cryptinae, molto probabilmente del genere Gelis, che comprende centinaia di specie in Europa (vedi faunaeur) e nel paleartico.
Alcune immagini di confronto sul web di rappresentanti di questo genere: qui e qui.
Qualche informazione sul genere e sulla biologia di questo gruppo nelle pagine del già citato:
Ceballos G. (1941-43). Las Tribus de los Himenopteros de España.


Immagine


Immagine

_________________
:hi: Marcello Romano


Top
profilo
 Oggetto del messaggio: Re: Icneumonide attero
MessaggioInviato: 19/05/2009, 18:47 
Avatar utente

Iscritto il: 06/02/2009, 9:02
Messaggi: 1429
Località: Verona - Roma - Foggia e sporadicamente Padova
Nome: Filippo Di Giovanni
Penso anche io sia una Gelis, ma sono un fottìo... Ci sono fortunatamente dei lavori di revisione di M.Schwarz, "Revision der westpalaarktischen Arten der Gattungen Gelis mit apteren Weibchen und Thaumatogelis" in 4 parti. Io ancora non mi ci sono messo su, anche se ho qualche esemplare da studiare... :dead:

_________________
"Non posso separare il piacere estetico che provo nel vedere una farfalla dal piacere scientifico di sapere che cosa è" (V.Nabokov)


Top
profilo
MessaggioInviato: 19/05/2009, 20:54 
Avatar utente

Iscritto il: 02/02/2009, 23:32
Messaggi: 5645
Località: da Ferrara ad Alghero
Nome: Roberto A. Pantaleoni
Bene, bene, ne dovrei avere altre, ... diverse !
Appena posso le fotografo.

Roberto :to:

_________________
verum stabile cetera fumus


Top
profilo
Visualizza ultimi messaggi:  Ordina per  
nuovo argomento
rispondi
Pagina 1 di 1 [ 4 messaggi ]

Tutti gli orari sono UTC + 1 ora [ ora legale ]


Chi c’è in linea

Visitano il forum: Nessuno e 0 ospiti


Non puoi aprire nuovi argomenti
Non puoi rispondere negli argomenti
Non puoi modificare i tuoi messaggi
Non puoi cancellare i tuoi messaggi
Non puoi inviare allegati

Cerca per:
Vai a:  
cron