Benvenuto Ospite

Forum Entomologi Italiani

www.entomologiitaliani.net/forum
 
Oggi è 13/04/2026, 3:28

Tutti gli orari sono UTC + 1 ora [ ora legale ]

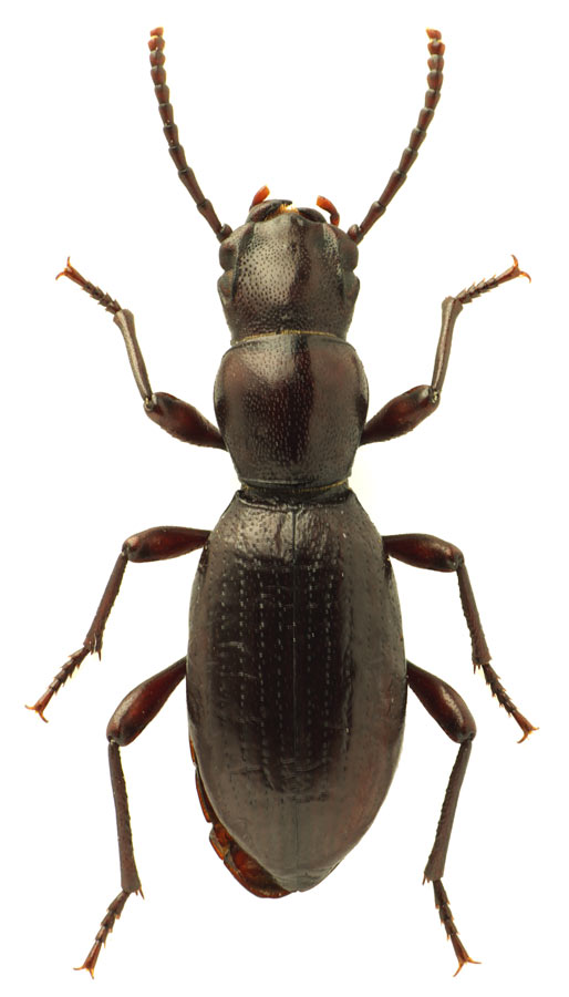
Mesostena (Mesostenopa) picea sinaitica (Schatzmayr & Koch, 1934) - Tenebrionidae

12.I.2015 - EGITTO - EE, Sharm-El-Sheikh


nuovo argomento
rispondi
Pagina 1 di 1 [ 3 messaggi ]
Autore Messaggio
MessaggioInviato: 25/08/2015, 12:37 
Avatar utente

Iscritto il: 13/04/2013, 14:10
Messaggi: 401
Località: Moscow
Nome: Ilya Zabaluev
~8 mm


Mesostena_sp.jpg

Top
profilo
 Oggetto del messaggio: Re: Mesostena ? - Tenebrionidae
MessaggioInviato: 26/08/2015, 9:00 
Avatar utente

Iscritto il: 05/02/2009, 17:47
Messaggi: 7252
Località: Cagliari
Nome: Piero Leo
Mesostena (Mesostenopa) picea sinaitica (Schatzmayr & Koch, 1934)

:) Ciao
Piero


Top
profilo
 Oggetto del messaggio: Re: Mesostena ? - Tenebrionidae
MessaggioInviato: 26/08/2015, 10:38 
Avatar utente

Iscritto il: 13/04/2013, 14:10
Messaggi: 401
Località: Moscow
Nome: Ilya Zabaluev
Tenebrio ha scritto:
Mesostena (Mesostenopa) picea sinaitica (Schatzmayr & Koch, 1934)

:) Ciao
Piero

Thanks :ok:


Top
profilo
Visualizza ultimi messaggi:  Ordina per  
nuovo argomento
rispondi
Pagina 1 di 1 [ 3 messaggi ]

Tutti gli orari sono UTC + 1 ora [ ora legale ]


Chi c’è in linea

Visitano il forum: Nessuno e 15 ospiti


Non puoi aprire nuovi argomenti
Non puoi rispondere negli argomenti
Non puoi modificare i tuoi messaggi
Non puoi cancellare i tuoi messaggi
Non puoi inviare allegati

Cerca per:
Vai a:  
cron