Benvenuto Ospite

Forum Entomologi Italiani

www.entomologiitaliani.net/forum
 
Oggi è 24/04/2026, 23:25

Tutti gli orari sono UTC + 1 ora [ ora legale ]

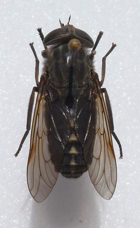
Tabanus bovinus Linnaeus 1758 (cf.) ♀ - Tabanidae

22.VIII.2015 - ITALIA - Toscana - FI, Campigno, 550 m, sopra Marradi


nuovo argomento
rispondi
Pagina 1 di 1 [ 7 messaggi ]
Autore Messaggio
MessaggioInviato: 27/08/2015, 19:26 
 

Iscritto il: 08/12/2013, 1:52
Messaggi: 7703
Località: Bagnacavallo (RA)
Nome: Giorgio Pezzi
Salve, lo posto solo perchè date le dimensioni e l'aspetto, chissà se è identificabile. Corpo mm 20, quindi bello grosso. venuto alla luce bianca all'imbrunire. grazie.
Giorgio. :hi:
DSCF1903.JPG



DSCF1900.JPG

DSCF1899.JPG

Top
profilo
 Oggetto del messaggio: Re: grosso tabanide nero
MessaggioInviato: 27/08/2015, 19:43 
Avatar utente

Iscritto il: 19/06/2012, 14:35
Messaggi: 5666
Località: Alfonsine (RA)
Nome: Marco Villani
Diciamola tutta: in realtà l'hai preso solo perché spaventava le falene sul telo con il suo volo isterico :gh:
A me sembra un Tabanus (qualcosa tipo il bovinus).


Top
profilo
 Oggetto del messaggio: Re: grosso tabanide nero
MessaggioInviato: 27/08/2015, 22:04 
Avatar utente

Iscritto il: 13/06/2015, 13:46
Messaggi: 1684
Località: Milano
Nome: Claudio Leali
Credo sia un Tabanus paradoxus.

:hi: Claudio

_________________
"E' ciò che non si vede, non quello che si vede che fa paura."
Christopher Lee


Top
profilo
 Oggetto del messaggio: Re: grosso tabanide nero
MessaggioInviato: 28/08/2015, 21:07 
 

Iscritto il: 08/12/2013, 1:52
Messaggi: 7703
Località: Bagnacavallo (RA)
Nome: Giorgio Pezzi
Grazie!
:hi:


Top
profilo
 Oggetto del messaggio: Re: grosso tabanide nero
MessaggioInviato: 28/08/2015, 21:08 
 

Iscritto il: 08/12/2013, 1:52
Messaggi: 7703
Località: Bagnacavallo (RA)
Nome: Giorgio Pezzi
marco villa ha scritto:
Diciamola tutta: in realtà l'hai preso solo perché spaventava le falene sul telo con il suo volo isterico :gh:
A me sembra un Tabanus (qualcosa tipo il bovinus).

In realtà ogni tanto li prendo, soprattutto se mi ronzano troppo attorno. :gun:


Top
profilo
 Oggetto del messaggio: Re: grosso tabanide nero
MessaggioInviato: 28/08/2015, 22:57 
Avatar utente

Iscritto il: 30/12/2010, 11:51
Messaggi: 4548
Località: San Giovanni Valdarno (AR)
Nome: Giovanni Altadonna
Chalybion ha scritto:
marco villa ha scritto:
Diciamola tutta: in realtà l'hai preso solo perché spaventava le falene sul telo con il suo volo isterico :gh:
A me sembra un Tabanus (qualcosa tipo il bovinus).

In realtà ogni tanto li prendo, soprattutto se mi ronzano troppo attorno. :gun:

Per vendetta? :mrgreen:

_________________
"L' uomo che è cieco alle bellezze della natura ha perduto metà del piacere di vivere"
Sir Robert Baden Powell

Giovanni Altadonna


Top
profilo
 Oggetto del messaggio: Re: grosso tabanide nero
MessaggioInviato: 25/10/2015, 17:17 
 

Iscritto il: 10/08/2010, 14:39
Messaggi: 3260
Località: Milano
Nome: Carlo Monari
Ho passato un po' di tempo a cercare di arrivare ad una conclusione convincente usando le chiavi di Krčmar et al. per i Tabanidae di Croazia, senza successo; penso però che tra le due ipotesi finora proposte, sia più vicina alla realtà quella di Marco Villa. Proporrei quindi Tabanus bovinus Linnaeus 1758 (cf.), femmina. Se si riuscisse a disporre di foto con maggiore visibilità generica dei colori (l'esposizione è bilanciata sull'intero fotogramma, il soggetto risulta sottoesposto per attenuare lo sfondo bianco) e con maggiore dettaglio su antenne e palpi e di una foto ventrale dell'addome si potrebbe migliorare la determinazione.

_________________
Ciao

Carlo


Top
profilo
Visualizza ultimi messaggi:  Ordina per  
nuovo argomento
rispondi
Pagina 1 di 1 [ 7 messaggi ]

Tutti gli orari sono UTC + 1 ora [ ora legale ]


Chi c’è in linea

Visitano il forum: Nessuno e 0 ospiti


Non puoi aprire nuovi argomenti
Non puoi rispondere negli argomenti
Non puoi modificare i tuoi messaggi
Non puoi cancellare i tuoi messaggi
Non puoi inviare allegati

Cerca per:
Vai a: