Benvenuto Ospite

Forum Entomologi Italiani

www.entomologiitaliani.net/forum
 
Oggi è 19/01/2026, 5:36

Tutti gli orari sono UTC + 1 ora [ ora legale ]

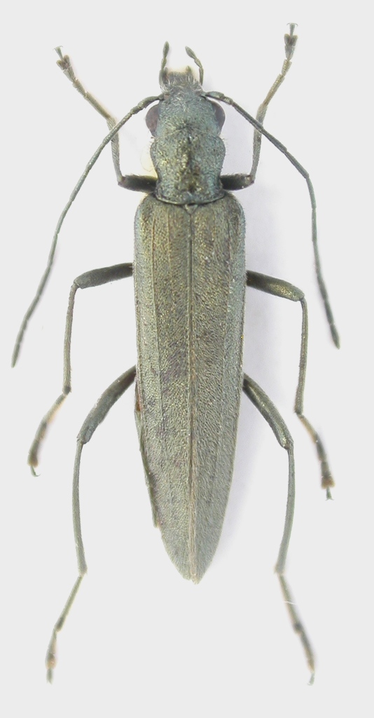
Oedemera gr. virescens - Oedemeridae

30.III.2015 - MALTA - EE, isola di Gozo, dune di Ramla, R. Rattu leg.


nuovo argomento
rispondi
Pagina 1 di 1 [ 3 messaggi ]
Autore Messaggio
 Oggetto del messaggio: Oedemera gr. virescens - Oedemeridae
MessaggioInviato: 03/09/2015, 14:50 
Avatar utente

Iscritto il: 02/09/2009, 20:57
Messaggi: 8703
Località: Cagliari
Nome: Roberto Rattu
Dovrebbe trattarsi di un'Oedemera del gruppo virescens, probabilmente da confrontare con caudata Sedlitz, 1899. Misura 7.5 mm:

DSCN0541.JPG



Top
profilo
MessaggioInviato: 03/09/2015, 16:39 
 

Iscritto il: 08/12/2013, 1:52
Messaggi: 7616
Località: Bagnacavallo (RA)
Nome: Giorgio Pezzi
caudata sembra ancora sinonimo di crassipes: utile vedere dettaglio degli ultimi sterniti di questa presumibile femmina, ma la crassipes dovrebbe essere la sola specie del gruppo a Malta, secondo X. A. Vasquez e la Faunaeur. :hi:


Top
profilo
MessaggioInviato: 03/09/2015, 19:32 
Avatar utente

Iscritto il: 02/09/2009, 20:57
Messaggi: 8703
Località: Cagliari
Nome: Roberto Rattu
Ciao, grazie, scollo e verifico appena possibile. Ho certamente anche dei maschi, presi in varie località dell'Arcipelago Maltese e probabilmente riferibili alla medesima specie. Quando li tolgo dal freezer preparo ed estraggo.

:hi:


Top
profilo
Visualizza ultimi messaggi:  Ordina per  
nuovo argomento
rispondi
Pagina 1 di 1 [ 3 messaggi ]

Tutti gli orari sono UTC + 1 ora [ ora legale ]


Chi c’è in linea

Visitano il forum: Nessuno e 0 ospiti


Non puoi aprire nuovi argomenti
Non puoi rispondere negli argomenti
Non puoi modificare i tuoi messaggi
Non puoi cancellare i tuoi messaggi
Non puoi inviare allegati

Cerca per:
Vai a:  
cron