Benvenuto Ospite

Forum Entomologi Italiani

www.entomologiitaliani.net/forum
 
Oggi è 20/11/2025, 7:49

Tutti gli orari sono UTC + 1 ora [ ora legale ]

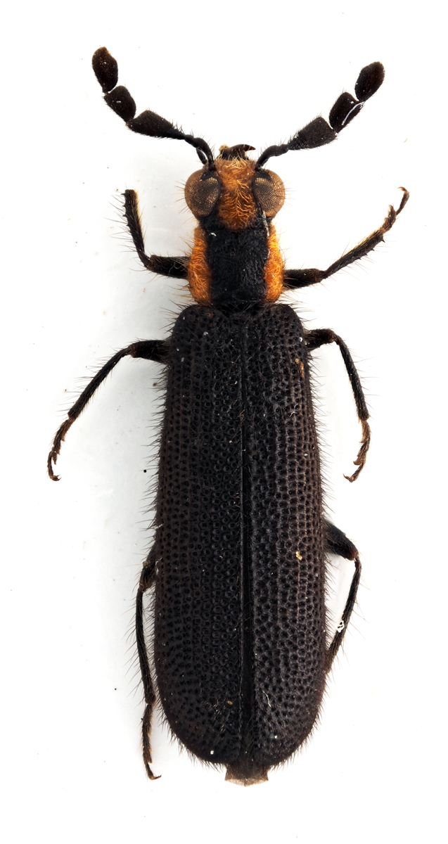
Pyticeroides laticornis (Say, 1835) - Cleridae

3.VII.2015 - STATI UNITI - EE, Frederick (Maryalnd)


nuovo argomento
rispondi
Pagina 1 di 1 [ 3 messaggi ]
Autore Messaggio
MessaggioInviato: 10/09/2015, 20:53 
Avatar utente

Iscritto il: 10/05/2009, 15:30
Messaggi: 7182
Località: Ancona
Nome: Giacomo Giovagnoli
Questa meraviglia penso imitasse dei Lycidae che mostrerò a breve.
Era su una catasta di legna.

Frederick (Maryland - USA); 03.VII.2015

[grazie zio per le foto!!! :birra: ]

Dimensioni: 7mm
CombM1794_15zF3cr.jpg


CombM1795_26zF3cr.jpg


CombM1796_92zF3cr.jpg


CombM1797_120zF3cr.jpg



Ciao :)

_________________
Immagine Giacomo


Top
profilo
 Oggetto del messaggio: Re: Cleridae da ID
MessaggioInviato: 10/09/2015, 22:10 
Avatar utente

Iscritto il: 02/12/2014, 19:04
Messaggi: 9
Località: Tours - Francia
Nome: BLOIN Pierrick
Hello,

I think it could be Pyticeroides laticornis.

Pierrick

_________________
http://www.flickriver.com/photos/bloinpierrick/


Top
profilo
 Oggetto del messaggio: Re: Cleridae da ID
MessaggioInviato: 11/09/2015, 13:57 
Avatar utente

Iscritto il: 18/06/2009, 16:54
Messaggi: 1093
Località: Casalecchio di Reno (BO)
Nome: Iuri Zappi
Pyticeroides laticornis (Say, 1835)
:ok:
Genere che conta diverse decine di specie in America centrale e meridionale.
Negli USA credo sia l'unica specie presente.

_________________
:hi: :hi: :hi:
Iuri


Top
profilo
Visualizza ultimi messaggi:  Ordina per  
nuovo argomento
rispondi
Pagina 1 di 1 [ 3 messaggi ]

Tutti gli orari sono UTC + 1 ora [ ora legale ]


Chi c’è in linea

Visitano il forum: Nessuno e 1 ospite


Non puoi aprire nuovi argomenti
Non puoi rispondere negli argomenti
Non puoi modificare i tuoi messaggi
Non puoi cancellare i tuoi messaggi
Non puoi inviare allegati

Cerca per:
Vai a:  
cron