Benvenuto Ospite

Forum Entomologi Italiani

www.entomologiitaliani.net/forum
 
Oggi è 22/03/2026, 19:26

Tutti gli orari sono UTC + 1 ora [ ora legale ]

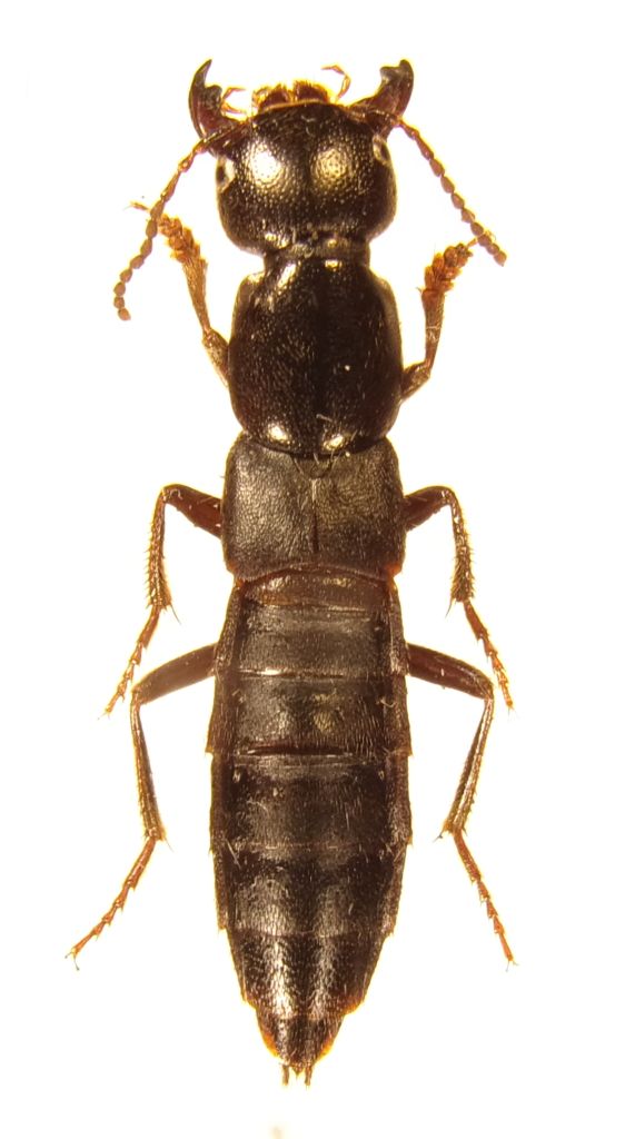
Ocypus (Pseudocypus) sylvaticus Wollaston, 1865 - Staphylinidae

28.I.2016 - SPAGNA - EE, Canarie, Is. di Gomera, dint. di Las Hayas, m 1170


nuovo argomento
rispondi
Pagina 1 di 1 [ 6 messaggi ]
Autore Messaggio
MessaggioInviato: 08/03/2016, 16:53 
 

Iscritto il: 08/12/2013, 1:52
Messaggi: 7678
Località: Bagnacavallo (RA)
Nome: Giorgio Pezzi
Ho fatto del mio meglio: si riconosce? mm 20. In tratto di bosco bruciato. Grazie.
:hi:
103_0192.JPG



103_0191.JPG

Top
profilo
 Oggetto del messaggio: Re: Stafilinide da ID
MessaggioInviato: 08/03/2016, 20:25 
Avatar utente

Iscritto il: 09/11/2009, 14:12
Messaggi: 5196
Località: Hradec Kralove,Czech republik
Nome: Jan Matějíček
:?: Ocypus sylvaticus Wollaston, 1865

confrontare


Bez názvu.jpg


_________________
Research Fields
Taxonomy, ecology, biomonitoring , faunistic of Staphylinidae


Ultima modifica di Honza il 08/03/2016, 20:37, modificato 1 volta in totale.
Top
profilo
 Oggetto del messaggio: Re: Stafilinide da ID
MessaggioInviato: 08/03/2016, 20:32 
Avatar utente

Iscritto il: 19/06/2012, 14:35
Messaggi: 5665
Località: Alfonsine (RA)
Nome: Marco Villani
A me sembra piuttosto simile a questo: viewtopic.php?f=11&t=66694&hilit=stafilinide.

:hi:


Top
profilo
 Oggetto del messaggio: Re: Stafilinide da ID
MessaggioInviato: 09/03/2016, 23:06 
 

Iscritto il: 08/12/2013, 1:52
Messaggi: 7678
Località: Bagnacavallo (RA)
Nome: Giorgio Pezzi
Grazie Jan!
Marco, hai delle chiavi?
:hi:


Top
profilo
 Oggetto del messaggio: Re: Stafilinide da ID
MessaggioInviato: 04/04/2016, 17:06 
Avatar utente

Iscritto il: 19/06/2012, 14:35
Messaggi: 5665
Località: Alfonsine (RA)
Nome: Marco Villani
Ieri Giorgio mi ha gentilmente portato 4 di questi Ocypus e posso confermare che si tratta di Ocypus (Pseudocypus) sylvaticus.
:hi:


Top
profilo
 Oggetto del messaggio: Re: Stafilinide da ID
MessaggioInviato: 07/04/2016, 20:54 
 

Iscritto il: 08/12/2013, 1:52
Messaggi: 7678
Località: Bagnacavallo (RA)
Nome: Giorgio Pezzi
Anche le mie osservazioni di un maschio estratto mi portano alla specie suddetta e ipotizzata da Jan. Ho fatto foto che posto, di edeago e ultimo tergite/sternite : spero siano apprezzabili a sufficienza. Grazie anche a Marco per l'attenzione.
Giorgio. :hi:
103_0288.JPG



103_0283.JPG

Top
profilo
Visualizza ultimi messaggi:  Ordina per  
nuovo argomento
rispondi
Pagina 1 di 1 [ 6 messaggi ]

Tutti gli orari sono UTC + 1 ora [ ora legale ]


Chi c’è in linea

Visitano il forum: Nessuno e 0 ospiti


Non puoi aprire nuovi argomenti
Non puoi rispondere negli argomenti
Non puoi modificare i tuoi messaggi
Non puoi cancellare i tuoi messaggi
Non puoi inviare allegati

Cerca per:
Vai a: