Benvenuto Ospite

Forum Entomologi Italiani

www.entomologiitaliani.net/forum
 
Oggi è 11/03/2026, 10:30

Tutti gli orari sono UTC + 1 ora [ ora legale ]

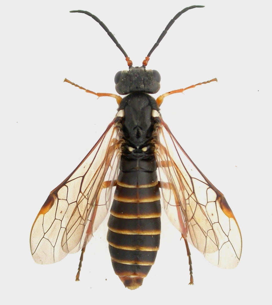
Strongylogaster multifasciata (Geoffroy, 1785) ♀ - Tenthredinidae - Selandriinae

4.V.2016 - ITALIA - Sardegna - CA, Sìnnai, M.te Crèsia, loc. Bau Arrèxini, R. Rattu leg.


nuovo argomento
rispondi
Pagina 1 di 1 [ 3 messaggi ]
Autore Messaggio
MessaggioInviato: 05/05/2016, 18:04 
Avatar utente

Iscritto il: 02/09/2009, 20:57
Messaggi: 8703
Località: Cagliari
Nome: Roberto Rattu
Esemplare lungo 12.5 mm, raccolto a sfalcio in un prato umido:

DSCN1826.JPG



Top
profilo
 Oggetto del messaggio: Re: Symphyta da id.
MessaggioInviato: 06/05/2016, 10:37 
Avatar utente

Iscritto il: 22/11/2010, 18:16
Messaggi: 1130
Località: Donzy (Bourgogne : Dipart. Nièvre) - Francia
Nome: Jean-Pierre Balmer
Saluti,
Strongylogaster multifasciata (Geoffroy, 1785) ♀
Ciao.
D & JP Balmer


Top
profilo
 Oggetto del messaggio: Re: Symphyta da id.
MessaggioInviato: 06/05/2016, 20:09 
Avatar utente

Iscritto il: 02/09/2009, 20:57
Messaggi: 8703
Località: Cagliari
Nome: Roberto Rattu
Grazie Jean-Pierre :ok:

:hi:


Top
profilo
Visualizza ultimi messaggi:  Ordina per  
nuovo argomento
rispondi
Pagina 1 di 1 [ 3 messaggi ]

Tutti gli orari sono UTC + 1 ora [ ora legale ]


Chi c’è in linea

Visitano il forum: Nessuno e 0 ospiti


Non puoi aprire nuovi argomenti
Non puoi rispondere negli argomenti
Non puoi modificare i tuoi messaggi
Non puoi cancellare i tuoi messaggi
Non puoi inviare allegati

Cerca per:
Vai a:  
cron