Benvenuto Ospite

Forum Entomologi Italiani

www.entomologiitaliani.net/forum
 
Oggi è 22/05/2026, 10:13

Tutti gli orari sono UTC + 1 ora [ ora legale ]

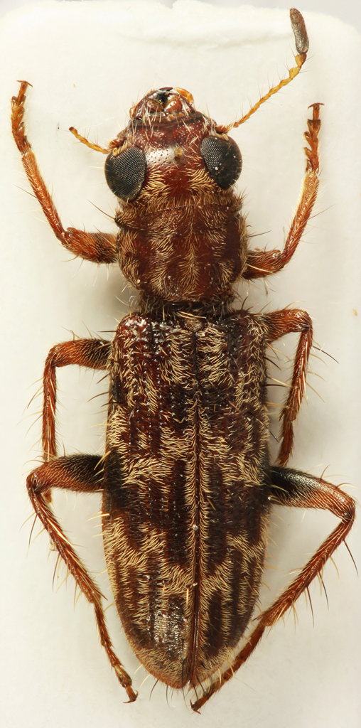
Stigmatium sp. - Cleridae

VI.2016 - GABON - EE, Makokou, Parc Nat. Ivindo, Ipassa, S. Biondi leg.


nuovo argomento
rispondi
Pagina 1 di 1 [ 4 messaggi ]
Autore Messaggio
 Oggetto del messaggio: Stigmatium sp. - Cleridae
MessaggioInviato: 12/07/2016, 20:07 
Avatar utente

Iscritto il: 08/02/2010, 23:01
Messaggi: 6190
Località: Vicenza
Nome: Silvano Biondi
fei1.jpg


fei2.jpg


8 mm

Esemplare unico, alla lampada.

:hi:

_________________



Silvano


Top
profilo
 Oggetto del messaggio: Re: Cleridae - Gabon
MessaggioInviato: 12/07/2016, 23:30 
Avatar utente

Iscritto il: 09/06/2012, 20:57
Messaggi: 4283
Località: Mesola (FE)
Nome: Daniele Maccapani
Wow che bello :p

Iniziano le nuove bestie gabonesi :hp: :hp: :birra:

_________________
"Lasciate questo mondo un po' migliore di come lo avete trovato" (Sir Robert Baden Powell)
Immagine Daniele


Top
profilo
 Oggetto del messaggio: Re: Cleridae - Gabon
MessaggioInviato: 13/07/2016, 13:48 
Avatar utente

Iscritto il: 18/06/2009, 16:54
Messaggi: 1093
Località: Casalecchio di Reno (BO)
Nome: Iuri Zappi
Dovrebbe essere uno Stigmatium sp..
Sono in vacanza in Malesia e non ho modo di controllare.
Comunque se ben ricordo questo non l'avevate ancora raccolto!
:hp:

_________________
:hi: :hi: :hi:
Iuri


Top
profilo
 Oggetto del messaggio: Re: Cleridae - Gabon
MessaggioInviato: 13/07/2016, 14:27 
Avatar utente

Iscritto il: 08/02/2010, 23:01
Messaggi: 6190
Località: Vicenza
Nome: Silvano Biondi
Grazie Iuri. In effetti io non l'avevo mai visto nelle spedizioni precedenti.
Quando l'avrai sotto il binoculare magari si potrà arrivare anche alla specie.
Buona vacanza!

:hi:

_________________



Silvano


Top
profilo
Visualizza ultimi messaggi:  Ordina per  
nuovo argomento
rispondi
Pagina 1 di 1 [ 4 messaggi ]

Tutti gli orari sono UTC + 1 ora [ ora legale ]


Chi c’è in linea

Visitano il forum: Nessuno e 0 ospiti


Non puoi aprire nuovi argomenti
Non puoi rispondere negli argomenti
Non puoi modificare i tuoi messaggi
Non puoi cancellare i tuoi messaggi
Non puoi inviare allegati

Cerca per:
Vai a: