Benvenuto Ospite

Forum Entomologi Italiani

www.entomologiitaliani.net/forum
 
Oggi è 17/01/2026, 16:19

Tutti gli orari sono UTC + 1 ora [ ora legale ]

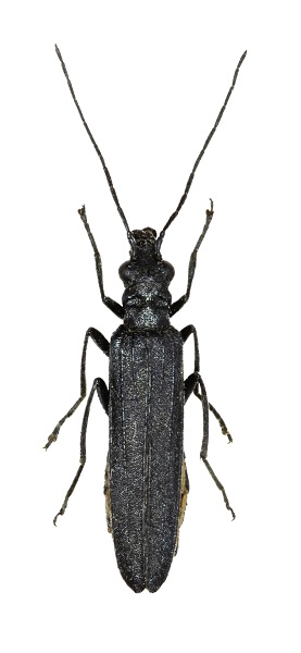
Oedemera sp. - Oedemeridae

1.VI.2013 - GERMANIA - EE, Northeim


nuovo argomento
rispondi
Pagina 1 di 1 [ 3 messaggi ]
Autore Messaggio
 Oggetto del messaggio: Oedemera sp. - Oedemeridae
MessaggioInviato: 04/09/2016, 20:47 
Avatar utente

Iscritto il: 31/07/2014, 16:09
Messaggi: 619
Località: Northeim, Lower Saxony, Germany
Nome: Alex Hasenkampf
:hi: 9mm


2016-09-04_15-21-25 M=C R=50 S=10.jpg

8mm.jpg

Top
profilo
 Oggetto del messaggio: Re: Oedemeridae
MessaggioInviato: 05/09/2016, 1:23 
Avatar utente

Iscritto il: 16/02/2009, 23:39
Messaggi: 1368
Località: Mirano (Venezia)
Nome: Enrico Ruzzier
Oedemera sp. There are a couple of candidate species with such pronotum and body profile; a male would be welcome

:hi:

_________________
«Discendiamo da scimmie evolute, non da angeli caduti» Robert Ardrey


Top
profilo
 Oggetto del messaggio: Re: Oedemeridae
MessaggioInviato: 05/09/2016, 19:29 
 

Iscritto il: 08/12/2013, 1:52
Messaggi: 7614
Località: Bagnacavallo (RA)
Nome: Giorgio Pezzi
Ciao! In case of females only, a micro-picture of the shape of last abdominal segments (ventral view of pigidium and last sternite) could be enough.
:hi:


Top
profilo
Visualizza ultimi messaggi:  Ordina per  
nuovo argomento
rispondi
Pagina 1 di 1 [ 3 messaggi ]

Tutti gli orari sono UTC + 1 ora [ ora legale ]


Chi c’è in linea

Visitano il forum: Nessuno e 0 ospiti


Non puoi aprire nuovi argomenti
Non puoi rispondere negli argomenti
Non puoi modificare i tuoi messaggi
Non puoi cancellare i tuoi messaggi
Non puoi inviare allegati

Cerca per:
Vai a: