| Autore |
Messaggio |
|
Julodis
|
Inviato: 15/02/2017, 0:10 |
|
Iscritto il: 30/12/2009, 22:20 Messaggi: 31564 Località: Roma
Nome: Maurizio Gigli
|
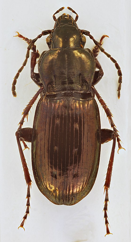
Colorazione simile a quella del bicolor, ma più scuro e più piccolo, e data la zona suppongo sia una specie simile. Trentino Alto Adige, Trento, Pozza di Fassa, Val San Nicolò, 2000 m circa, 29.VIII.1979, M. Gigli legit 12 mm
|
|
| Top |
|
 |
|
gomphus
|
Inviato: 15/02/2017, 0:30 |
|
Iscritto il: 05/02/2009, 17:31 Messaggi: 9527 Località: milano
Nome: maurizio pavesi
|
Pterostichus (Oreophilus) jurinei (Panzer, 1803) 
_________________ ***************** maurizio
|
|
| Top |
|
 |
|
Julodis
|
Inviato: 15/02/2017, 8:04 |
|
Iscritto il: 30/12/2009, 22:20 Messaggi: 31564 Località: Roma
Nome: Maurizio Gigli
|
|
Grazie Maurizio. Dalla discussione sugli esemplari di Luca sospettavo che uno dei candidati potesse essere questo, ma ancora non ho capito quali caratteri si debbano controllare per identificare le varie specie di ciascun gruppo (anzi, salvo qualcuno, non ho ancora ben presente come distinguere i sottogeneri).
|
|
| Top |
|
 |
|
aug
|
Inviato: 15/02/2017, 10:35 |
|
Iscritto il: 05/02/2009, 17:44 Messaggi: 2695 Località: Garbagnate Milanese
Nome: Augusto Franzini
|
|
Ah, non sono ovvii per nessuno, non preoccuparti. Per orientarsi, la tabella che si trova sul Suppl. I del Porta (ripresa da "I Pterostichus italiani" di A. Schatzmayr del 1929 in cui c'è anche la tabella dei sottogeneri) funziona bene, anche se alcuni nomi sono superati e ci mancano alcune specie o sottosp. descritte successivamente. Se a qualcuno interessa la pubblicazione di Schatzmayr e gli manca, mi può inviare un MP che lo carico su Dropbox.
_________________ Augusto (aug) Prediction is very difficult, especially about the future (Niels Bohr, fisico)
|
|
| Top |
|
 |
|
Julodis
|
Inviato: 15/02/2017, 12:04 |
|
Iscritto il: 30/12/2009, 22:20 Messaggi: 31564 Località: Roma
Nome: Maurizio Gigli
|
aug ha scritto: Ah, non sono ovvii per nessuno, non preoccuparti. Per orientarsi, la tabella che si trova sul Suppl. I del Porta (ripresa da "I Pterostichus italiani" di A. Schatzmayr del 1929 in cui c'è anche la tabella dei sottogeneri) funziona bene, anche se alcuni nomi sono superati e ci mancano alcune specie o sottosp. descritte successivamente. Se a qualcuno interessa la pubblicazione di Schatzmayr e gli manca, mi può inviare un MP che lo carico su Dropbox. Ti ringrazio ma per i Carabidi mi fido più delle vostre indicazioni che delle mie capacità di seguire le chiavi. E' giusto per mettere un po' d'ordine nelle mie poche cassette di questa famiglia.
|
|
| Top |
|
 |
|
gomphus
|
Inviato: 15/02/2017, 12:14 |
|
Iscritto il: 05/02/2009, 17:31 Messaggi: 9527 Località: milano
Nome: maurizio pavesi
|
Julodis ha scritto: ... ancora non ho capito quali caratteri si debbano controllare per identificare le varie specie di ciascun gruppo ... non è certo semplice da spiegare in due parole, cmq un carattere da verificare, sia negli Pterostichus che nei Poecilus, dato che spesso permette di separare specie simili (magari solo per convergenza), è la presenza o meno di setole sotto l'onichio
_________________ ***************** maurizio
|
|
| Top |
|
 |
|