Benvenuto Ospite

Forum Entomologi Italiani

www.entomologiitaliani.net/forum
 
Oggi è 27/04/2026, 19:02

Tutti gli orari sono UTC + 1 ora [ ora legale ]

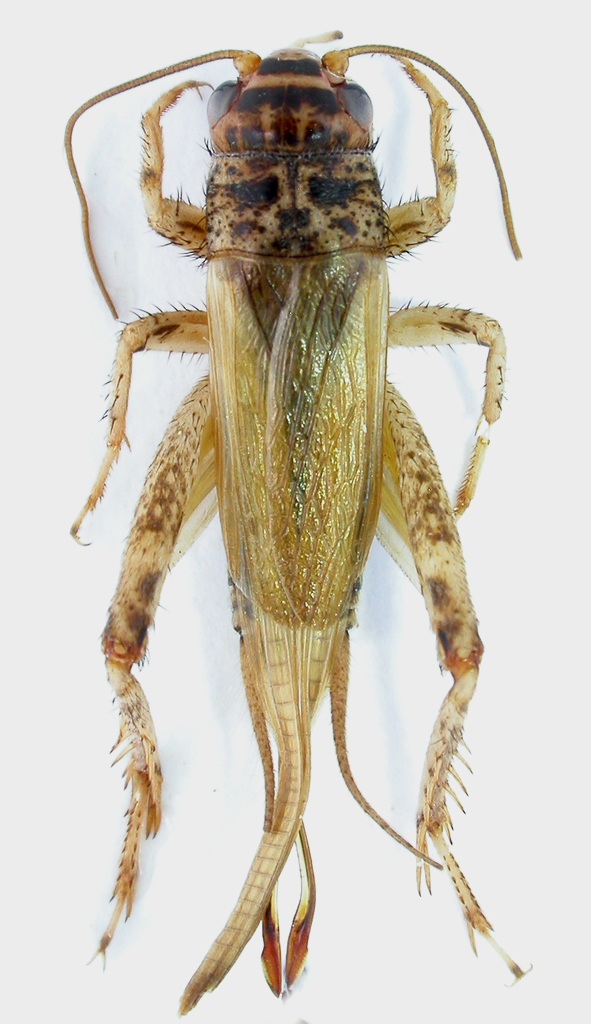
Eumodicogryllus sp. - Gryllidae

14.V.2017 - MAROCCO - EE, MEKNES-TAFILALT, Erg-Chebbi, 3.8 Km N di Merzouga, R. Rattu leg.


nuovo argomento
rispondi
Pagina 1 di 1 [ 2 messaggi ]
Autore Messaggio
 Oggetto del messaggio: Eumodicogryllus sp. - Gryllidae
MessaggioInviato: 30/05/2017, 19:26 
Avatar utente

Iscritto il: 02/09/2009, 20:57
Messaggi: 8703
Località: Cagliari
Nome: Roberto Rattu
In Marocco abbiamo raccolto anche un po' di ortotteri, alcuni dei quali alla lampada, come questo. Misura 12 mm (senza ovopositore):

DSCN2773.JPG



Top
profilo
 Oggetto del messaggio: Re: Gryllidae da id.
MessaggioInviato: 10/08/2017, 15:55 
Avatar utente

Iscritto il: 19/06/2012, 14:35
Messaggi: 5667
Località: Alfonsine (RA)
Nome: Marco Villani
Scusa il ritardo. Potrebbe essere Eumodicogryllus bordigalensis bordigalensis (Latreille, 1804) oppure Eumodicogryllus theryi (Chopard, 1943). Servirebbe il lavoro di Chopard* per capire quali sono le differenze. Altrimenti controlla se hai un esemplare maschio. In tal caso si potrebbe fare l'estrazione.

*Chopard. 1943. Faune de l'Empire Français 1:188.

:hi:


Top
profilo
Visualizza ultimi messaggi:  Ordina per  
nuovo argomento
rispondi
Pagina 1 di 1 [ 2 messaggi ]

Tutti gli orari sono UTC + 1 ora [ ora legale ]


Chi c’è in linea

Visitano il forum: Nessuno e 1 ospite


Non puoi aprire nuovi argomenti
Non puoi rispondere negli argomenti
Non puoi modificare i tuoi messaggi
Non puoi cancellare i tuoi messaggi
Non puoi inviare allegati

Cerca per:
Vai a: