Benvenuto Ospite

Forum Entomologi Italiani

www.entomologiitaliani.net/forum
 
Oggi è 30/11/2025, 10:59

Tutti gli orari sono UTC + 1 ora [ ora legale ]

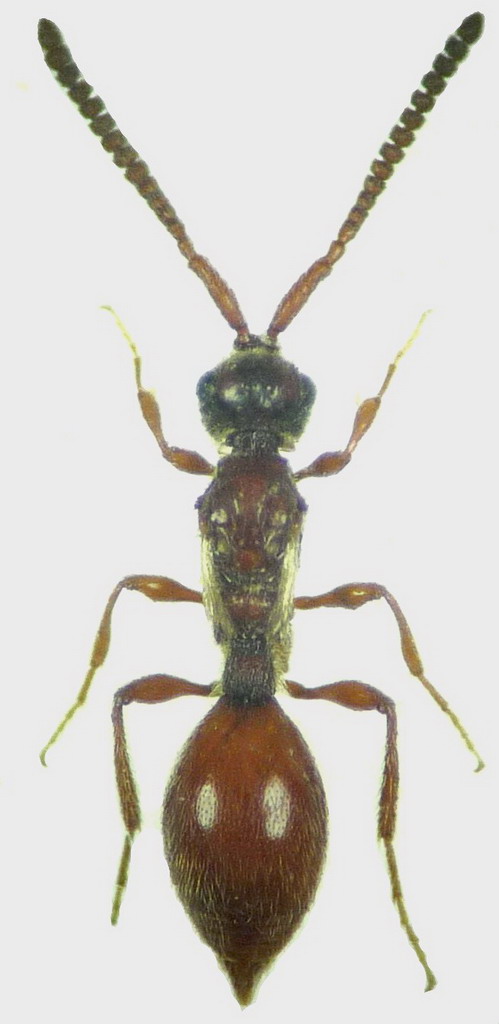
Diapridiidae sp (cf.) - Hymenoptera

3.VIII.2013 - ITALIA - Trentino-Alto Adige - TN, Molveno - 1000 m slm ca.


nuovo argomento
rispondi
Pagina 1 di 1 [ 3 messaggi ]
Autore Messaggio
 Oggetto del messaggio: Diapridiidae sp (cf.) - Hymenoptera
MessaggioInviato: 17/08/2013, 22:24 
Avatar utente

Iscritto il: 21/02/2011, 15:25
Messaggi: 3879
Località: Montecchio Emilia (RE)
Nome: Violi Michele
Durante la mia scorsa vacanza in Trentino, stavolta sulle Dolomiti del Brenta, a Molveno, ho avuto l'occasione di mettere qualche trappola ad aceto nel bosco di abeti appena sopra il paese, a 1000 m circa, nei pressi della bidonvia che porta al Pradel. Purtroppo una cosa tira l'altra e alla fine ho messo le trappole solo tre giorni prima del ritorno a casa :sick: Tuttavia qualcosa di bellino l'ho trovato (di carabidi solo miseri Abax :dead: ), tra cui questo bell'imenotterino. Trovo delle somiglianze con la famiglia Diapridiidae, ma a voi la parola :D
3,5 mm

P1480001 - Copia - Copia.jpg


_________________
Michele :D


Top
profilo
 Oggetto del messaggio: Re: Diapridiidae sp? - Hymenoptera
MessaggioInviato: 22/08/2013, 13:50 
Avatar utente

Iscritto il: 21/02/2011, 15:25
Messaggi: 3879
Località: Montecchio Emilia (RE)
Nome: Violi Michele
Riporto su, magari il gomphus online potrà aiutarmi :D

_________________
Michele :D


Top
profilo
 Oggetto del messaggio: Re: Diapridiidae sp? - Hymenoptera
MessaggioInviato: 28/06/2017, 22:08 
Avatar utente

Iscritto il: 09/06/2012, 20:57
Messaggi: 4283
Località: Mesola (FE)
Nome: Daniele Maccapani
Qualcuno si pronuncia? :hi:

_________________
"Lasciate questo mondo un po' migliore di come lo avete trovato" (Sir Robert Baden Powell)
Immagine Daniele


Top
profilo
Visualizza ultimi messaggi:  Ordina per  
nuovo argomento
rispondi
Pagina 1 di 1 [ 3 messaggi ]

Tutti gli orari sono UTC + 1 ora [ ora legale ]


Chi c’è in linea

Visitano il forum: Nessuno e 0 ospiti


Non puoi aprire nuovi argomenti
Non puoi rispondere negli argomenti
Non puoi modificare i tuoi messaggi
Non puoi cancellare i tuoi messaggi
Non puoi inviare allegati

Cerca per:
Vai a: