Benvenuto Ospite

Forum Entomologi Italiani

www.entomologiitaliani.net/forum
 
Oggi è 16/01/2026, 14:34

Tutti gli orari sono UTC + 1 ora [ ora legale ]

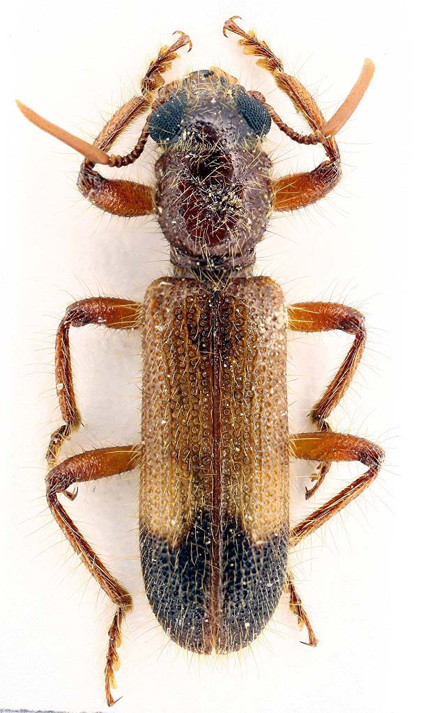
Phloiocopus andresi Schenkling, 1912 - Cleridae

10.V.2010 - ISRAELE - EE, Arava Valley


nuovo argomento
rispondi
Pagina 1 di 1 [ 15 messaggi ]
Autore Messaggio
MessaggioInviato: 12/05/2010, 19:10 
Avatar utente

Iscritto il: 28/08/2009, 13:45
Messaggi: 1947
Località: Ginevra, Svizzera
Nome: Guido Sabatinelli
Cleride preso in caccia notturna in Israele: Arava Valley, 10.V.2010


Cleridae_s.jpg


_________________
Guido Sabatinelli
Museo di storia naturale, Ginevra, Svizzera
http://www.glaphyridae.com
http://www.scarabeidi.it
Top
profilo
 Oggetto del messaggio: Re: Cleridae Israele Arava Valley
MessaggioInviato: 12/05/2010, 20:06 
Avatar utente

Iscritto il: 05/02/2009, 17:47
Messaggi: 7252
Località: Cagliari
Nome: Piero Leo
Con quelle antenne ricorda Teloclerus compressicornis (vedi viewtopic.php?f=290&t=5501&start=0), però in realtà sembra tutt'altra bestia.
Sicuramente Iuri ci saprà dire...

:) Ciao
Piero


Top
profilo
 Oggetto del messaggio: Re: Cleridae Israele Arava Valley
MessaggioInviato: 12/05/2010, 20:15 
Avatar utente

Iscritto il: 28/08/2009, 13:45
Messaggi: 1947
Località: Ginevra, Svizzera
Nome: Guido Sabatinelli
Ciao Piero, a proposito ho preso anche dei Tenebrionidi lisci come Ditiscidi. Non li fotografo sono troppo brutti... :lol:


Top
profilo
 Oggetto del messaggio: Re: Cleridae Israele Arava Valley
MessaggioInviato: 12/05/2010, 20:39 
Avatar utente

Iscritto il: 05/02/2009, 17:47
Messaggi: 7252
Località: Cagliari
Nome: Piero Leo
Guido Sabatinelli ha scritto:
Ciao Piero, a proposito ho preso anche dei Tenebrionidi lisci come Ditiscidi. Non li fotografo sono troppo brutti... :lol:
Ciao Guido, devono essere Zophosis...bruttissime :p , non fotografarle, conto di vederle dal vero :p


Top
profilo
 Oggetto del messaggio: Re: Cleridae Israele Arava Valley
MessaggioInviato: 12/05/2010, 20:49 
Avatar utente

Iscritto il: 18/06/2009, 16:54
Messaggi: 1093
Località: Casalecchio di Reno (BO)
Nome: Iuri Zappi
:hp: :hp: :hp:
L'avevo detto io che bisogna fare caccia al lume per trovare i Cleridae belli!!!!
Caro Guido,
quando hai scritto nella discussione sulle lampade-inverter-caccia al lume che avevi trovato un bel Cleridae ho subito pensato a lui.
Si tratta del Phloiocopus andresi Schenkling, 1912. Un bellissimo maschietto!
In verità potrebbe anche essere il Phloiocopus rufus Pic, 1935 che è stato messo in sinonimia una decina di anni fa proprio con il P. andresi. Io non sono del tutto convinto di tale sinonimia, benchè la livrea delle elitre risulti in questa specie molto variabile nella colorazione e nel disegno.
Ma veniamo al sodo!!!!!
Ad aprile quando hai ricevuto la mia scatola di Scarabaeidae che ti ha portato Stefano, mi hai detto "che bel materiale che mi mandi!".
Ne ho un'altra già pronta!!
Tante bellissime specie soprattutto della Cina che mi sono procurato sabato a EntoModena pensando proprio a te.
Dove dici che è meglio collocare questa meraviglia che hai trovato?
Tieni conto che ho messo la scatola con gli Scarabaeidae floricoli cinesi vicino al balcone, basta un piccolo urto e ...... chissà se sono ancora capaci di volare!
A parte gli scherzi........quando rimetti la lampada?
:lov2: :lov2: :lov2:

_________________
:hi: :hi: :hi:
Iuri


Top
profilo
 Oggetto del messaggio: Re: Cleridae Israele Arava Valley
MessaggioInviato: 12/05/2010, 21:03 
Avatar utente

Iscritto il: 28/08/2009, 13:45
Messaggi: 1947
Località: Ginevra, Svizzera
Nome: Guido Sabatinelli
senti Iuri, tu mi sei molto caro ma cavolo ho fatto 6 ore di macchina, dormito fuori una notte e passato una frontiera per andare all'Arava e prendere una Chyphonoxia praestabilis, 1 Oryctes, 2 Adoretus e il TUO cleride, non credo che per il momento tornero' all'Arava.
Invece domani sera vado a festeggiare il mio compleanno con una caccia in Siria!
Porto la lampada e se non sono brillo la utilizzo. ciao!
a proposito il cleride e' tuo, naturalmente.

_________________
Guido Sabatinelli
Museo di storia naturale, Ginevra, Svizzera
http://www.glaphyridae.com
http://www.scarabeidi.it


Top
profilo
 Oggetto del messaggio: Re: Cleridae Israele Arava Valley
MessaggioInviato: 12/05/2010, 21:22 
Avatar utente

Iscritto il: 02/09/2009, 20:57
Messaggi: 8703
Località: Cagliari
Nome: Roberto Rattu
Guido Sabatinelli ha scritto:
ho fatto 6 ore di macchina, dormito fuori una notte e passato una frontiera per andare all'Arava e prendere una Chyphonoxia praestabilis, 1 Oryctes


Un Oryctes? :p :lov3:


Top
profilo
 Oggetto del messaggio: Re: Cleridae Israele Arava Valley
MessaggioInviato: 12/05/2010, 21:29 
Avatar utente

Iscritto il: 18/06/2009, 16:54
Messaggi: 1093
Località: Casalecchio di Reno (BO)
Nome: Iuri Zappi
Grande Guido!!!
Ma allora voglio essere io il primo a farti gli auguri di
glit4a3df5a14725a1_66899861.gif



anche se lì in Giordania mancano meno di 2 ore a mezzanotte.
compleanno18.gif


_________________
:hi: :hi: :hi:
Iuri


Top
profilo
 Oggetto del messaggio: Re: Cleridae Israele Arava Valley
MessaggioInviato: 12/05/2010, 21:43 
Avatar utente

Iscritto il: 28/08/2009, 13:45
Messaggi: 1947
Località: Ginevra, Svizzera
Nome: Guido Sabatinelli
Tenebrio ha scritto:
Guido Sabatinelli ha scritto:
Ciao Piero, a proposito ho preso anche dei Tenebrionidi lisci come Ditiscidi. Non li fotografo sono troppo brutti... :lol:
Ciao Guido, devono essere Zophosis...bruttissime :p , non fotografarle, conto di vederle dal vero :p


per il momento accontentati in foto, Ciao!


DSCN3341.JPG

Top
profilo
 Oggetto del messaggio: Re: Cleridae Israele Arava Valley
MessaggioInviato: 12/05/2010, 21:45 
Avatar utente

Iscritto il: 28/08/2009, 13:45
Messaggi: 1947
Località: Ginevra, Svizzera
Nome: Guido Sabatinelli
Fumea crassiorella ha scritto:
Guido Sabatinelli ha scritto:
ho fatto 6 ore di macchina, dormito fuori una notte e passato una frontiera per andare all'Arava e prendere una Chyphonoxia praestabilis, 1 Oryctes


Un Oryctes? :p :lov3:
Rykanoryctes! http://www.glaphyridae.com/Dynastinae/Or_agamemnon.html

_________________
Guido Sabatinelli
Museo di storia naturale, Ginevra, Svizzera
http://www.glaphyridae.com
http://www.scarabeidi.it


Top
profilo
 Oggetto del messaggio: Re: Cleridae Israele Arava Valley
MessaggioInviato: 12/05/2010, 22:07 
Avatar utente

Iscritto il: 02/09/2009, 20:57
Messaggi: 8703
Località: Cagliari
Nome: Roberto Rattu
Queste Zophosis sembrano un incrocio tra un idrofilide e un Blaps... :shock: :shock:


Top
profilo
 Oggetto del messaggio: Re: Cleridae Israele Arava Valley
MessaggioInviato: 12/05/2010, 22:10 
Avatar utente

Iscritto il: 18/06/2009, 16:54
Messaggi: 1093
Località: Casalecchio di Reno (BO)
Nome: Iuri Zappi
Guido Sabatinelli ha scritto:
Porto la lampada e se non sono brillo la utilizzo.


Ma lo sai Guido che il P. andresi ha una fenologia da aprile a ottobre. Credo che sia uno dei pochissimi Cleridae che si possono trovare nei mesi di giugno, luglio, agosto e settembre in quelle zone. Sempre alla lampada ovviamente o con la legna.
Per forza! E' un vero nottambulo!! Gira solo con il freschino della notte.
Vi è un'altra specie simile a questa P. basalis (Klug, 1842) che potresti trovare nello stesso modo.
Che meraviglia!!!
Sono veramente contentissimo!!!!

P.S. Ammazza quanto son brutti sti Tenebrionidae! Mi sembrano microcacchine di capra!
Piero! Sto scerzando! Lo sai che per me tutti i coleotteri sono bellissimi, certo è che ogni scarrafone è bello a mamma soia...

_________________
:hi: :hi: :hi:
Iuri


Top
profilo
 Oggetto del messaggio: Re: Cleridae Israele Arava Valley
MessaggioInviato: 12/05/2010, 22:13 
Avatar utente

Iscritto il: 02/09/2009, 20:57
Messaggi: 8703
Località: Cagliari
Nome: Roberto Rattu
Enoplium ha scritto:

P.S. Ammazza quanto son brutti sti Tenebrionidae! Mi sembrano microcacchine di capra!



Piero non cedere alle provocazioni..... :gh:


Top
profilo
 Oggetto del messaggio: Re: Cleridae Israele Arava Valley
MessaggioInviato: 12/05/2010, 22:27 
Avatar utente

Iscritto il: 05/02/2009, 17:47
Messaggi: 7252
Località: Cagliari
Nome: Piero Leo
Ma io sono contento che i Tenebrionidi non piacciono a tutti. In realtà è roba per fini intenditori... :lol1:
Queste Zophosis poi sono bellissime...
(l'altro piccolo Tenebrionide è un Gonocephalum cfr. setulosum).

:) Ciao
Piero

Guido, per gli auguri ti scrivo domani


Top
profilo
 Oggetto del messaggio: Re: Cleridae Israele Arava Valley
MessaggioInviato: 12/05/2010, 22:36 
Avatar utente

Iscritto il: 18/06/2009, 16:54
Messaggi: 1093
Località: Casalecchio di Reno (BO)
Nome: Iuri Zappi
Ragazzi,
mi sono fatto un giro virtuale su Google Earth dal Mar Morto lungo il Wadi Araba fino a Eilat.
Che meraviglia di posti!! Mi sono guardato tutte le fotografie. Veramente una zona incantevole!!!!
Ho pure visto dove ci sono certi alberi e cespugli......
Questa notte sognerò il deserto e centinaia di Phloicopus andresi e basalis.
Va beh! OK OK. Sono da ricovero!
Vado a letto che è meglio!
Buonanotte a tutti!
Ciao e a domani.

_________________
:hi: :hi: :hi:
Iuri


Top
profilo
Visualizza ultimi messaggi:  Ordina per  
nuovo argomento
rispondi
Pagina 1 di 1 [ 15 messaggi ]

Tutti gli orari sono UTC + 1 ora [ ora legale ]


Chi c’è in linea

Visitano il forum: Nessuno e 0 ospiti


Non puoi aprire nuovi argomenti
Non puoi rispondere negli argomenti
Non puoi modificare i tuoi messaggi
Non puoi cancellare i tuoi messaggi
Non puoi inviare allegati

Cerca per:
Vai a: