Benvenuto Ospite

Forum Entomologi Italiani

www.entomologiitaliani.net/forum
 
Oggi è 22/11/2025, 7:44

Tutti gli orari sono UTC + 1 ora [ ora legale ]

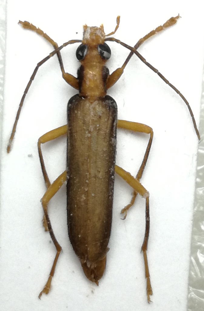
Nacerdes (Xanthochroa) carniolica peloponesiaca Švihla, 1991 - Oedemeridae

22.VII.2017 - ITALIA - Calabria - RC, Stilo,incrocio sp90 sp9, Località "Morzu"


nuovo argomento
rispondi
Pagina 1 di 1 [ 5 messaggi ]
Autore Messaggio
MessaggioInviato: 12/01/2018, 2:29 
 

Iscritto il: 14/10/2011, 14:54
Messaggi: 226
Località: Castelnuovo Bocca d'Adda (LO)
Nome: Luciano Arcorace
Queste dovrebbero essere Nacerdes (Xanthochroa) carniolica carniolica (Gistl, 1834)
anche se i dubbi che erano venuti fuori in questa discussione rimangono

lo scorso anno questa specie è capitata in discreto numero nelle trappole dolci messe ai limiti della faggeta

la maggior parte degli esemplari aveva una colorazione simile ai due menzionati in quella discussione
1.jpg


1b.jpg



ma alcuni esemplari avevano una colorazione più scura con i lati delle elitre scuri fin quasi all'apice
3.jpg


_________________
Ciao Lucio


Top
profilo
MessaggioInviato: 12/01/2018, 10:51 
Avatar utente

Iscritto il: 21/05/2009, 14:59
Messaggi: 6994
Località: Parigi
Nome: Riccardo Poloni
Ciao Lucio, come ti dicevo a Entomodena (o almeno mi pare) la Nacerdes carniolica ha un certo range di variabilità, mai come la melanura che ha esemplari quasi completamente scuri, ma comunque ha un certo range di variabilità. Questo range è evidente se si considera la popolazione attraverso lo spazio, infatti alcune differenze che possono essere piccole in una stessa popolazione finiscono per esasperarsi e rendersi stabili in alcune popolazioni in particolare, le sottospecie fondamentalmente. Almeno in questa specie capita così, ma non sto dicendo che sia la definizione di sottospecie, che è molto più complessa.
Detto ciò queste sono sicuramente N. carniolica carniolica, però un'occhiatina a qualche esemplare la darei volentieri, visto che ne hai presi tanti, perchè non si sa mai.
Nelle trappole ci finiscono spesso insieme alle Oncomera e qualche volta agli Sparedrus, in Croazia le ho prese nelle stesso ambiente, ovvero in faggeta, proprio in trappole a vino.

_________________
Riccardo Poloni
La dignità degli elementi
la libertà della poesia,
al di là dei tradimenti degli uomini
è magia, è magia, è magia...
Negrita, Rotolando verso sud


Top
profilo
MessaggioInviato: 12/01/2018, 15:35 
 

Iscritto il: 14/10/2011, 14:54
Messaggi: 226
Località: Castelnuovo Bocca d'Adda (LO)
Nome: Luciano Arcorace
Ciao Riccardo,

chiaramente la situazione sarebbe da indagare e forse è solo questione di fenotipi più frequenti (che poi anche questo non è detto, magari nella trappolata del prossimo anno capiteranno più esemplari "scuri")

comunque , almeno per ora, tutte quelle che mi sono capitate in trappola sul piacentino sono invariabilmente più scure e ,passami il termine, "tipiche" rispetto a tutte quelle prese in Calabria

Plagionotus ha scritto:
Detto ciò queste sono sicuramente N. carniolica carniolica, però un'occhiatina a qualche esemplare la darei volentieri, visto che ne hai presi tanti, perchè non si sa mai.

ricontrolla quel flacone che ti ho dato a Modena con il tappo arancio (quello che perdeva), dovrebbero essercene parecchi esemplari misti ad Oncomera. Poi nel caso a me sono rimasti una decina di esemplari e se servono :ok:

_________________
Ciao Lucio


Top
profilo
MessaggioInviato: 12/01/2018, 16:01 
Avatar utente

Iscritto il: 21/05/2009, 14:59
Messaggi: 6994
Località: Parigi
Nome: Riccardo Poloni
Quel flacone che mi avevi dato lo avevo aperto subito dopo Entomodena e avevo preparato una buona parte degli esemplari, perchè perdeva appunto, altri li ho messi in alcol. Mi ricordo però solo di Oncomera femoralis, però oggi guardo tra gli esemplari in alcol.

_________________
Riccardo Poloni
La dignità degli elementi
la libertà della poesia,
al di là dei tradimenti degli uomini
è magia, è magia, è magia...
Negrita, Rotolando verso sud


Top
profilo
MessaggioInviato: 03/10/2019, 23:26 
Avatar utente

Iscritto il: 21/05/2009, 14:59
Messaggi: 6994
Località: Parigi
Nome: Riccardo Poloni
Dopo un esame di un buon numero di esemplari e dei paratipi della N. carniolica peloponesiaca e atlantica, abbiamo stabilito che queste popolazioni appartengono alla ssp. peloponesiaca. Per chi avesse voglia è disponibile la pubblicazioni qui: https://sei.pagepress.org/index.php/bol ... EI.2019.61

_________________
Riccardo Poloni
La dignità degli elementi
la libertà della poesia,
al di là dei tradimenti degli uomini
è magia, è magia, è magia...
Negrita, Rotolando verso sud


Top
profilo
Visualizza ultimi messaggi:  Ordina per  
nuovo argomento
rispondi
Pagina 1 di 1 [ 5 messaggi ]

Tutti gli orari sono UTC + 1 ora [ ora legale ]


Chi c’è in linea

Visitano il forum: Nessuno e 1 ospite


Non puoi aprire nuovi argomenti
Non puoi rispondere negli argomenti
Non puoi modificare i tuoi messaggi
Non puoi cancellare i tuoi messaggi
Non puoi inviare allegati

Cerca per:
Vai a:  
cron