Benvenuto Ospite

Forum Entomologi Italiani

www.entomologiitaliani.net/forum
 
Oggi è 19/11/2025, 10:11

Tutti gli orari sono UTC + 1 ora [ ora legale ]

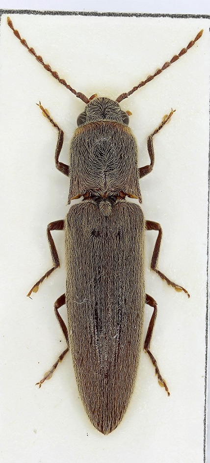
Synaptus filiformis (Fabricius, 1781) - Elateridae

4.I.2009 - ITALIA - Basilicata - MT, Scanzano Jonico, I. Zappi leg.


nuovo argomento
rispondi
Pagina 1 di 1 [ 4 messaggi ]
Autore Messaggio
MessaggioInviato: 15/02/2018, 20:27 
Avatar utente

Iscritto il: 18/06/2009, 16:54
Messaggi: 1093
Località: Casalecchio di Reno (BO)
Nome: Iuri Zappi
Lunghezza = 10,6 mm
Penso Agriotes ma guardando le foto presenti sul Forum non ho trovato nulla di simile.
Assomiglia ad A. modestus ma già con le dimensioni non ci siamo.
Ho provato con le chiavi dicotomiche ma mi sono arenato non avendo materiale di confronto.
Boh e mah?
Non essendo specialista del gruppo meglio affidarsi a chi ne sa molto di più.
Grazie in anticipo.


Elateridae-Scanzano1 - Copia.jpg


_________________
:hi: :hi: :hi:
Iuri
Top
profilo
 Oggetto del messaggio: Re: Elateridae della Basilicata
MessaggioInviato: 15/02/2018, 20:41 
Avatar utente

Iscritto il: 13/10/2010, 18:21
Messaggi: 1990
Nome: Andrea Liberto
Synaptus filiformis (Fabricius, 1781). Ma sei sicuro della data di raccolta ?

Ciao, A.


Top
profilo
 Oggetto del messaggio: Re: Elateridae della Basilicata
MessaggioInviato: 15/02/2018, 21:23 
Avatar utente

Iscritto il: 18/06/2009, 16:54
Messaggi: 1093
Località: Casalecchio di Reno (BO)
Nome: Iuri Zappi
Grazie mille Andrea!
Si vede che di Elateridae non so assolutamente nulla!
:lol:
Questo esemplare l'ho raccolto al lido di Terza Madonna. Quel giorno andai sicuramente a raccogliere legna. Non so se l'ho trovato sotto qualche tronco o detrito in riva al mare oppure scortecciando qualche albero morto o proprio facendo legna. Non credo di aver fatto altri tipi di ricerche.
Il materiale che raccoglievo in Basilicata per le feste di Natale-Capodanno (generalmente andavo dal 2 al 6 gennaio) l'ho sempre preparato subito e cartellinato perché il numero di exx. era sempre modesto.
Del resto ieri sono tornato dall'Istituto e ho trovato una bella Ptosima undecimmaculata vicino al camino. Ma questo è normale. Sarà uscita dalla legna che ho lì vicino. Ora che ci penso è meglio che ci aggiungo una noticina sul cartellino!
Ancora grazie

_________________
:hi: :hi: :hi:
Iuri


Top
profilo
 Oggetto del messaggio: Re: Elateridae della Basilicata
MessaggioInviato: 15/02/2018, 21:29 
Avatar utente

Iscritto il: 13/10/2010, 18:21
Messaggi: 1990
Nome: Andrea Liberto
Allora immagino individuo svernante, a me non è mai capitato di trovarne. Tra l'altro è un esemplare ben conservato, con tutta la pubescenza al suo posto.
Ciao, A.


Top
profilo
Visualizza ultimi messaggi:  Ordina per  
nuovo argomento
rispondi
Pagina 1 di 1 [ 4 messaggi ]

Tutti gli orari sono UTC + 1 ora [ ora legale ]


Chi c’è in linea

Visitano il forum: Nessuno e 10 ospiti


Non puoi aprire nuovi argomenti
Non puoi rispondere negli argomenti
Non puoi modificare i tuoi messaggi
Non puoi cancellare i tuoi messaggi
Non puoi inviare allegati

Cerca per:
Vai a: