Benvenuto Ospite

Forum Entomologi Italiani

www.entomologiitaliani.net/forum
 
Oggi è 23/03/2026, 1:36

Tutti gli orari sono UTC + 1 ora [ ora legale ]

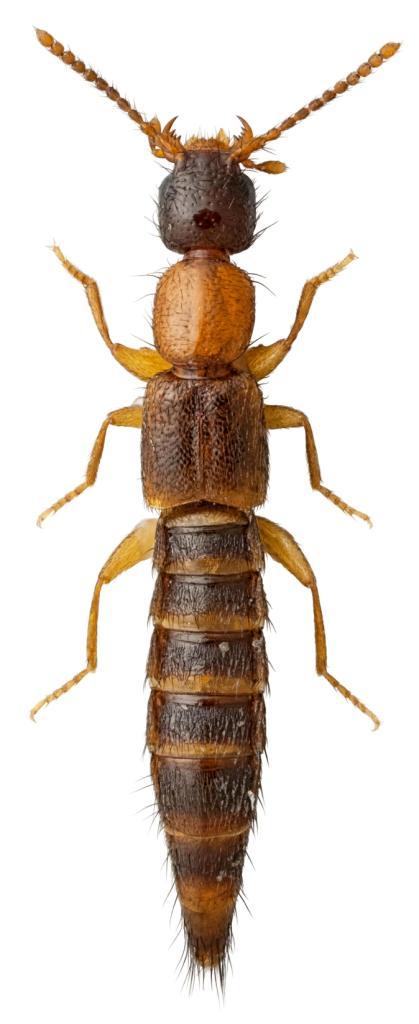
Sunius fallax (Lokay, 1919) - Staphylinidae

2.VI.2018 - GRECIA - EE, Crete Amari Dam Reservoir


nuovo argomento
rispondi
Pagina 1 di 1 [ 1 messaggio ]
Autore Messaggio
MessaggioInviato: 01/07/2018, 11:25 
Avatar utente

Iscritto il: 09/11/2009, 14:12
Messaggi: 5196
Località: Hradec Kralove,Czech republik
Nome: Jan Matějíček
Sunius fallax (Lokay, 1919)

GR. – Crete 2.6.2018 , Amari Dam Reservoir , 35°16'04.9''N,24°34' 17.1''E , Matějíček J. lgt.


Sunius fallax (Lokay, 1919).jpg

Sunius fallax (Lokay,  1919).jpg

Crete ,Amari Dam Reservoir.jpg

Crete ,Amari Dam Reservoir 1.jpg

Crete ,Amari Dam Reservoir 2 (2).jpg

Crete ,Amari Dam Reservoir 3.jpg


_________________
Research Fields
Taxonomy, ecology, biomonitoring , faunistic of Staphylinidae
Top
profilo
Visualizza ultimi messaggi:  Ordina per  
nuovo argomento
rispondi
Pagina 1 di 1 [ 1 messaggio ]

Tutti gli orari sono UTC + 1 ora [ ora legale ]


Chi c’è in linea

Visitano il forum: marco villa e 1 ospite


Non puoi aprire nuovi argomenti
Non puoi rispondere negli argomenti
Non puoi modificare i tuoi messaggi
Non puoi cancellare i tuoi messaggi
Non puoi inviare allegati

Cerca per:
Vai a: