Benvenuto Ospite

Forum Entomologi Italiani

www.entomologiitaliani.net/forum
 
Oggi è 29/05/2026, 19:34

Tutti gli orari sono UTC + 1 ora [ ora legale ]

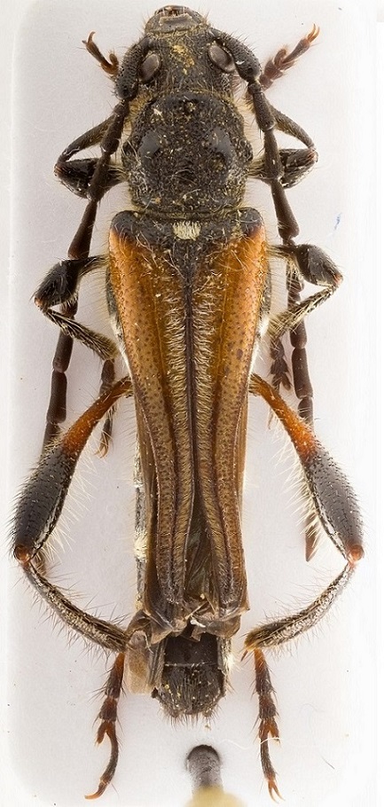
Stenopterus creticus Sama, 1995 - Cerambycidae

30.V.2018 - GRECIA - EE, Crete , Kourtalioti Canyon , 35°12'12.1''N,24°28' 01.8''E


nuovo argomento
rispondi
Pagina 1 di 1 [ 5 messaggi ]
Autore Messaggio
MessaggioInviato: 03/08/2018, 13:12 
Avatar utente

Iscritto il: 09/11/2009, 14:12
Messaggi: 5199
Località: Hradec Kralove,Czech republik
Nome: Jan Matějíček
chiedo aiuto Stenopterus sp.

Creta queste specie:
Stenopterus ater
Stenopterus atricornis
Stenopterus creticus
Stenopterus rufus
Stenopterus similatus


Stenopterus sp. - Kopie.JPG


_________________
Research Fields
Taxonomy, ecology, biomonitoring , faunistic of Staphylinidae
Top
profilo
 Oggetto del messaggio: Re: Stenopterus sp.
MessaggioInviato: 03/08/2018, 13:19 
Avatar utente

Iscritto il: 22/12/2009, 13:31
Messaggi: 9646
Località: Napoli
Nome: Francesco Izzillo
Sembrerebbe il creticus

_________________
Francesco Izzillo


Top
profilo
 Oggetto del messaggio: Re: Stenopterus sp.
MessaggioInviato: 16/08/2018, 9:55 
 

Iscritto il: 05/08/2010, 12:21
Messaggi: 41
Località: Hlučín-Bobrovníky, Repubblica Ceca
Nome: Marion Mantič
Greece, Crete bor., Lavris, june 2018
elytra longer and straigter, antenae longer, is it creticus too?


t2bs.jpg

t2as.jpg


_________________
Marion Mantič
marion.m@seznam.cz
Top
profilo
 Oggetto del messaggio: Re: Stenopterus sp.
MessaggioInviato: 17/08/2018, 21:26 
Avatar utente

Iscritto il: 21/05/2009, 14:59
Messaggi: 6996
Località: Parigi
Nome: Riccardo Poloni
I've seen now these specimens, both are Stenopterus creticus :)

_________________
Riccardo Poloni
La dignità degli elementi
la libertà della poesia,
al di là dei tradimenti degli uomini
è magia, è magia, è magia...
Negrita, Rotolando verso sud


Top
profilo
 Oggetto del messaggio: Re: Stenopterus sp.
MessaggioInviato: 20/08/2018, 7:12 
 

Iscritto il: 05/08/2010, 12:21
Messaggi: 41
Località: Hlučín-Bobrovníky, Repubblica Ceca
Nome: Marion Mantič
thank you very much

_________________
Marion Mantič
marion.m@seznam.cz


Top
profilo
Visualizza ultimi messaggi:  Ordina per  
nuovo argomento
rispondi
Pagina 1 di 1 [ 5 messaggi ]

Tutti gli orari sono UTC + 1 ora [ ora legale ]


Chi c’è in linea

Visitano il forum: Nessuno e 7 ospiti


Non puoi aprire nuovi argomenti
Non puoi rispondere negli argomenti
Non puoi modificare i tuoi messaggi
Non puoi cancellare i tuoi messaggi
Non puoi inviare allegati

Cerca per:
Vai a: