Benvenuto Ospite

Forum Entomologi Italiani

www.entomologiitaliani.net/forum
 
Oggi è 21/04/2026, 14:32

Tutti gli orari sono UTC + 1 ora [ ora legale ]

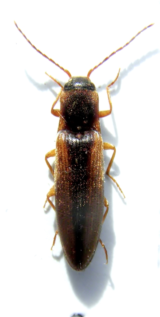
Dalopius marginatus (Linnaeus, 1758) - Elateridae

26.V.2016 - ITALIA - Friuli-Venezia Giulia - UD, Alpi Carniche - Monte Crostis 1900m


nuovo argomento
rispondi
Pagina 1 di 1 [ 4 messaggi ]
Autore Messaggio
MessaggioInviato: 23/10/2018, 16:29 
Avatar utente

Iscritto il: 24/04/2010, 8:24
Messaggi: 5095
Nome: Lucio Morin
praticamente ultimo ...se non ne trova altri nelle scatole ;)
dim 8mm ho cercato di fare due foto almeno una che non sia troppo brutta....
Grazie
Ciao Lucio
elateridae 014b.JPG

elateridae 014 (2).JPG


_________________
A VOLTE E' MEGLIO TACERE E SEMBRARE STUPIDI CHE APRIR BOCCA E TOGLIERE OGNI DUBBIO Oscar Wilde


Top
profilo
 Oggetto del messaggio: Re: elateride da det.
MessaggioInviato: 23/10/2018, 17:48 
Avatar utente

Iscritto il: 06/02/2009, 9:07
Messaggi: 1502
Località: Val Camonica (BS)
Nome: Davide Pedersoli
Dalopius marginatus :roll:

_________________
Pedux Camuno


Top
profilo
 Oggetto del messaggio: Re: elateride da det.
MessaggioInviato: 23/10/2018, 18:37 
Avatar utente

Iscritto il: 10/04/2016, 14:33
Messaggi: 1174
Località: Guidonia Montecelio (RM)
Nome: Edoardo Pulvirenti
È lui :ok:

_________________
”Da un grande potere derivano grandi responsabilità”
-Ben Parker


EDOARDO PULVIRENTI


Top
profilo
 Oggetto del messaggio: Re: elateride da det.
MessaggioInviato: 23/10/2018, 18:43 
Avatar utente

Iscritto il: 24/04/2010, 8:24
Messaggi: 5095
Nome: Lucio Morin
:ok: Grazie ad entrambi
Ciao Lucio

PS: non è l'ultimo ne ho trovati ancora 4 diversi.... ;)

_________________
A VOLTE E' MEGLIO TACERE E SEMBRARE STUPIDI CHE APRIR BOCCA E TOGLIERE OGNI DUBBIO Oscar Wilde


Top
profilo
Visualizza ultimi messaggi:  Ordina per  
nuovo argomento
rispondi
Pagina 1 di 1 [ 4 messaggi ]

Tutti gli orari sono UTC + 1 ora [ ora legale ]


Chi c’è in linea

Visitano il forum: Nessuno e 1 ospite


Non puoi aprire nuovi argomenti
Non puoi rispondere negli argomenti
Non puoi modificare i tuoi messaggi
Non puoi cancellare i tuoi messaggi
Non puoi inviare allegati

Cerca per:
Vai a: