Benvenuto Ospite

Forum Entomologi Italiani

www.entomologiitaliani.net/forum
 
Oggi è 24/12/2025, 18:18

Tutti gli orari sono UTC + 1 ora [ ora legale ]

Oberea (Oberea) pedemontana Chevrolat, 1856 Dettagli della specie

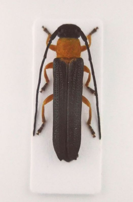
14.VI.2019 - ITALIA - Emilia-Romagna - RE, Comune di Canossa, loc. Cerezzola, 250-300 m


nuovo argomento
rispondi
Pagina 1 di 1 [ 8 messaggi ]
Autore Messaggio
MessaggioInviato: 29/06/2019, 20:00 
Avatar utente

Iscritto il: 21/02/2011, 15:25
Messaggi: 3879
Località: Montecchio Emilia (RE)
Nome: Violi Michele
Altra bella e interessante specie, che però non ho avuto il piacere di poter allevare con successo :(
Avendo scoperto qualche alberello e stentato cespuglio di Rhamnus frangula, con numerosi segni della presenza di questa specie, in una stretta gola in fondo alla quale scorre un piccolo rio, affluente torrente Enza (nella foto, a sinistra, uno degli alberelli di Frangola), ho tentato l'allevamento asportando 4 rami attaccati a settembre 2017 e cercando di farli radicare in sabbia umida, senza riuscirvi. Tre giovani larve non sono sopravvissute, solo una larva, più grossa delle altre (quindi immagino al secondo anno di vita) ha portato a termine il ciclo nel giugno 2018, ma sfarfallando molto deformata e di piccole dimensioni, a causa del legno ormai secco da tempo. Metto le foto delle larve di questo tentativo di allevamento, la foto al povero Quasimodo ve la risparmio :(

Quest'anno però ho tenuto controllato il posto in questione, guardando sotto le foglie della pianta nutrice e aspettando di vedere qualche adulto, che non si è fatto attendere! Finalmente due settimane fa ho trovato il bellissimo adulto che vedete in foto!
Era già conosciuta della provincia di Reggio Emilia?


Foto 14-06-19, 16 12 35.jpg

Giovane larva, IX.2017, stessa località
Larva3 (6).JPG

Larva matura, IX.2017, stessa località
Larva5.JPG

15 mm
DSCN0004.JPG


_________________
Michele :D
Top
profilo
MessaggioInviato: 29/06/2019, 21:32 
Avatar utente

Iscritto il: 21/05/2009, 14:59
Messaggi: 6994
Località: Parigi
Nome: Riccardo Poloni
Ciao Michele, ma davvero l'hai trovata a Reggio? Questa non è la pupillata, ma la pedemontana, bella bestia davvero! Noi non l'abbiamo mai trovata e le citazioni sono tutte vecchie :hp:

_________________
Riccardo Poloni
La dignità degli elementi
la libertà della poesia,
al di là dei tradimenti degli uomini
è magia, è magia, è magia...
Negrita, Rotolando verso sud


Top
profilo
MessaggioInviato: 30/06/2019, 8:22 
Avatar utente

Iscritto il: 19/06/2012, 14:35
Messaggi: 5649
Località: Alfonsine (RA)
Nome: Marco Villani
Complimenti per il ritrovamento Michele :birra:
Marco :hi:


Top
profilo
MessaggioInviato: 30/06/2019, 11:49 
Avatar utente

Iscritto il: 21/02/2011, 15:25
Messaggi: 3879
Località: Montecchio Emilia (RE)
Nome: Violi Michele
Grazie Marco! :birra:

Plagionotus ha scritto:
Ciao Michele, ma davvero l'hai trovata a Reggio? Questa non è la pupillata, ma la pedemontana, bella bestia davvero! Noi non l'abbiamo mai trovata e le citazioni sono tutte vecchie :hp:
Reggio provincia, praticamente sul confine parmense ;) se mi vieni a trovare ti ci porto! Ma le citazioni vecchie che dici sono per il reggiano o l’Emilia in generale?

_________________
Michele :D


Top
profilo
MessaggioInviato: 30/06/2019, 16:13 
Avatar utente

Iscritto il: 07/09/2010, 12:59
Messaggi: 1920
Località: Como
Nome: Matteo Zugno
Bravo Michi! ;)


Top
profilo
MessaggioInviato: 01/07/2019, 10:08 
Avatar utente

Iscritto il: 21/05/2009, 14:59
Messaggi: 6994
Località: Parigi
Nome: Riccardo Poloni
Mikiphasmide ha scritto:
Grazie Marco! :birra:

Plagionotus ha scritto:
Ciao Michele, ma davvero l'hai trovata a Reggio? Questa non è la pupillata, ma la pedemontana, bella bestia davvero! Noi non l'abbiamo mai trovata e le citazioni sono tutte vecchie :hp:
Reggio provincia, praticamente sul confine parmense ;) se mi vieni a trovare ti ci porto! Ma le citazioni vecchie che dici sono per il reggiano o l’Emilia in generale?


Magari :hp: . Purtroppo quest'anno sono confinato in terra straniera. Magari un altr'anno! Per la citazione non so esattamente la località, però la checklist della fauna italiana la riporta. A me non risulta presente in Emilia e neanche nella checklist dei Cerambycidae emiliani che avevamo pubblicato un paio di anni fa, quindi suppongo sia una citazione o vecchia o del piacentino.

_________________
Riccardo Poloni
La dignità degli elementi
la libertà della poesia,
al di là dei tradimenti degli uomini
è magia, è magia, è magia...
Negrita, Rotolando verso sud


Top
profilo
MessaggioInviato: 01/07/2019, 12:47 
Avatar utente

Iscritto il: 21/02/2011, 15:25
Messaggi: 3879
Località: Montecchio Emilia (RE)
Nome: Violi Michele
Xylotrechus ha scritto:
Bravo Michi! ;)
Grazie Matteo! Fatti vivo ogni tanto! :mrgreen:
Plagionotus ha scritto:
A me non risulta presente in Emilia e neanche nella checklist dei Cerambycidae emiliani che avevamo pubblicato un paio di anni fa, quindi suppongo sia una citazione o vecchia o del piacentino.
Capito, bene :hp: Ho guardato sulla ckmap che per l'Emilia ci sono solo tre località bolognesi. Di altri dati emiliani conoscevo solo quello della prov. di Piacienza qui.

_________________
Michele :D


Top
profilo
MessaggioInviato: 01/07/2019, 13:37 
Avatar utente

Iscritto il: 21/05/2009, 14:59
Messaggi: 6994
Località: Parigi
Nome: Riccardo Poloni
Ecco, infatti per l'Emilia centrale non mi risultava!

_________________
Riccardo Poloni
La dignità degli elementi
la libertà della poesia,
al di là dei tradimenti degli uomini
è magia, è magia, è magia...
Negrita, Rotolando verso sud


Top
profilo
Visualizza ultimi messaggi:  Ordina per  
nuovo argomento
rispondi
Pagina 1 di 1 [ 8 messaggi ]

Tutti gli orari sono UTC + 1 ora [ ora legale ]


Chi c’è in linea

Visitano il forum: Nessuno e 1 ospite


Non puoi aprire nuovi argomenti
Non puoi rispondere negli argomenti
Non puoi modificare i tuoi messaggi
Non puoi cancellare i tuoi messaggi
Non puoi inviare allegati

Cerca per:
Vai a: